Petco Text Logo
Petco Pet Logo

My 1-year-old chihuahua has a bump on her private area. Is it serious?

Updated On September 23rd, 2025

Pet's info: Dog | Mixed Breed | Female | unspayed | 1 year and 1 month old | 1lb

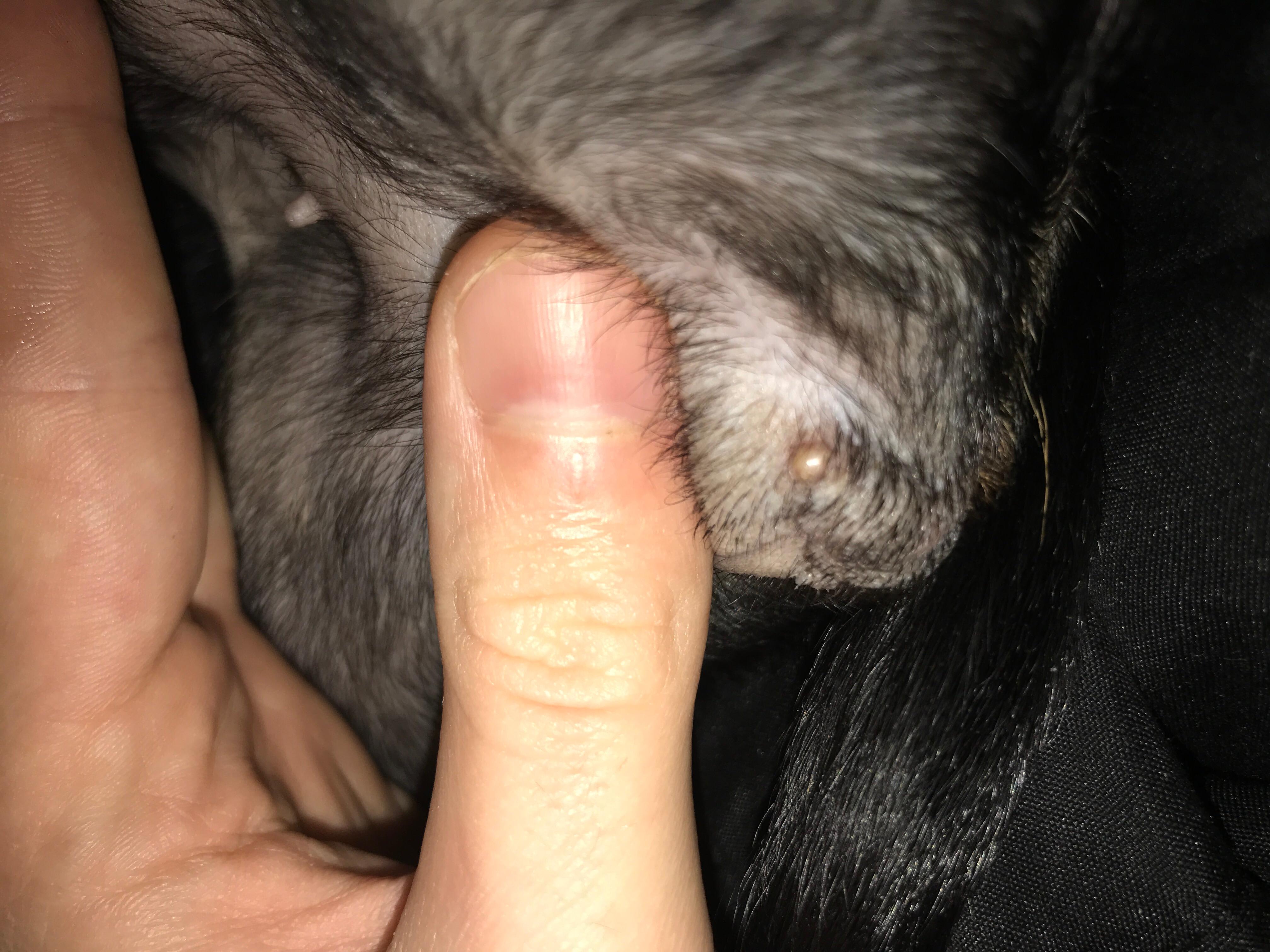
My 1 yr old chihuahua has a pimple like bump on her vagina. Is this something to worry about?? I’m very worried about her.

This question includes photos that may contain sensitive content. Click to view.

View more to consider that the photos may include sensitive content.

1 Answer

Most Helpful Answer

Image profile

Answered By Destini R. Holloway, DVM

Veterinarian

Published on October 6th, 2019

This could just be a cyst from the looks of it. Monitor it for the next week or so to see if it spontaneously regresses. IF it does not resolve on its own, or seems to bother Tia at any point, then its best to have your vet take a look at it. If it gets bigger it can then be sampled to determine what kind of growth it is, so that we know whether to worry about it or not. I do hope that Tia's growth resolves soon! Best wishes and take care.

Vote icon

6Pet Parents found this answer helpful

image
Have A Vet Question?

Book an appointment with the pros – our expert vets are here to help.

Sponsored