Petco Text Logo
Petco Pet Logo

My dog has a new skin flap on her upper tummy. What could it be?

Updated On September 23rd, 2025

Pet's info: Dog | Cockapoo | Female | spayed | 6 years and 2 months old | 30 lbs

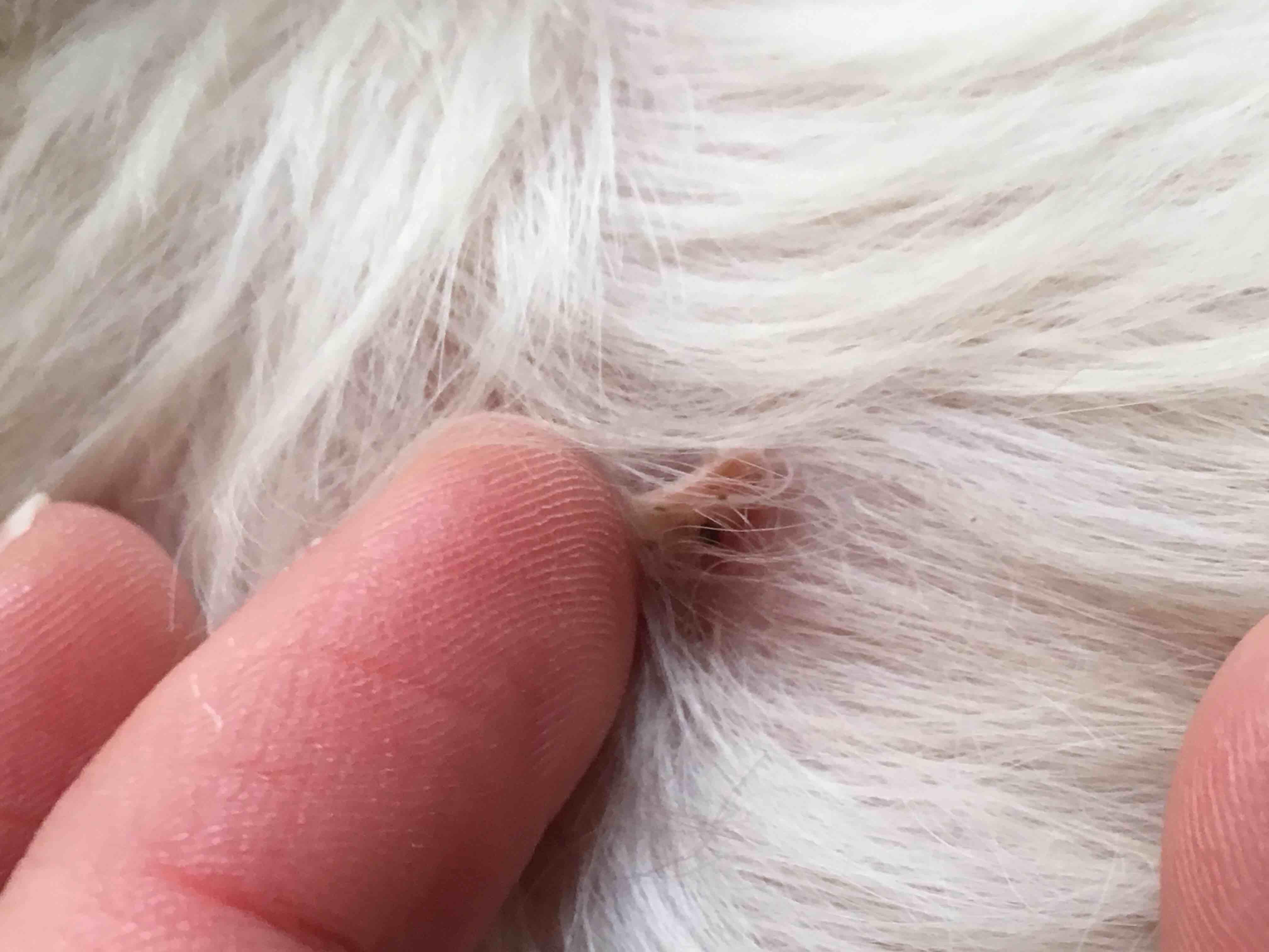
There’s an unfamiliar skin flap on my dogs upper tummy area. I’ve never noticed it before so I think it’s new. Do you know what it could be?

This question includes photos that may contain sensitive content. Click to view.

View more to consider that the photos may include sensitive content.

1 Answer

Most Helpful Answer

Image profile

Answered By Megan, DVM, CVA

Veterinarian

Published on September 17th, 2019

Without seeing her in person, it is difficult to say for sure what it is but it looks like a skin tag or a mass growing off of a nipple. Since it is new, it is always best to have your vet take a look at it once to ensure it doesn't need to be surgically removed. After that, if they think it is okay, I would just monitor it closely. I hope this helps!

Vote icon

1Pet Parents found this answer helpful

image
Have A Vet Question?

Book an appointment with the pros – our expert vets are here to help.

Sponsored