Petco Text Logo
Petco Pet Logo

My pitbull has a bloody shoulder lump. Is it a tick bite or growth?

Updated On September 23rd, 2025

Pet's info: Dog | Pit Bull Terrier | Female | unspayed | 35 lbs

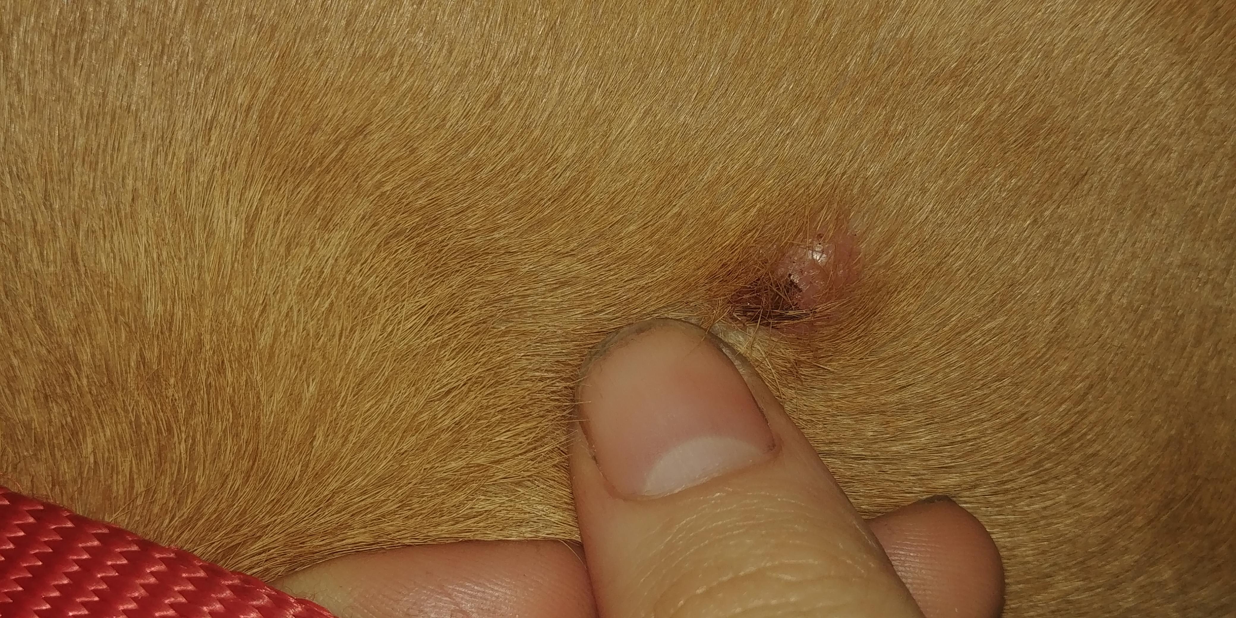
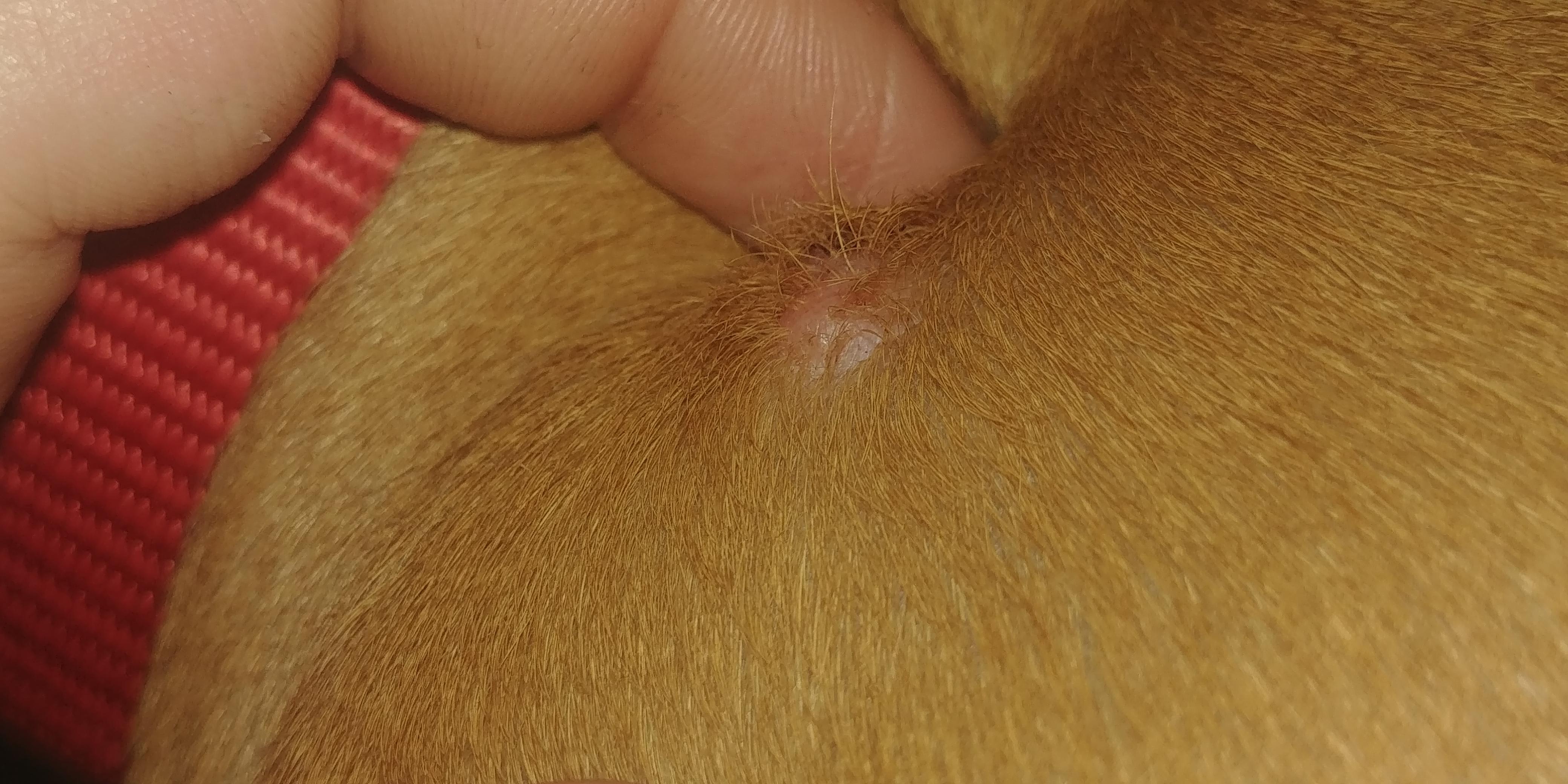
My pitbull recently formed a lump on her left shoulder. I adopted her from someone so I'm not sure how old she is, or if she's mixed or had any medical issues. She has canines, but the rest of her teeth are small. The lump is white and it looks like two lumps have formed together. It's sort of pinkish red too. It has dried blood on top of it, so could it possibly be from a tick or other insect? Maybe when she was playing with another dog? (I have two and they play a lot). Hope to hear soon!

This question includes photos that may contain sensitive content. Click to view.

View more to consider that the photos may include sensitive content.

1 Answer

Most Helpful Answer

Image profile

Answered By Ana M, DVM

Veterinarian

Published on September 5th, 2019

Thank you for submitting your question regarding Milo. I recommend that she sees a veterinarian. It will be good to have an overall examination on her. You can get an estimate on how old she is and make sure her vaccines are up to date. The mass can be evaluated as well. I do not believe it is an insect or tick bite. It appears to be a small growth. Her veterinarian will let you know if it is problematic or not. I hope this information helps!

Vote icon

1Pet Parents found this answer helpful

image
Have A Vet Question?

Book an appointment with the pros – our expert vets are here to help.

Sponsored