Petco Text Logo
Petco Pet Logo

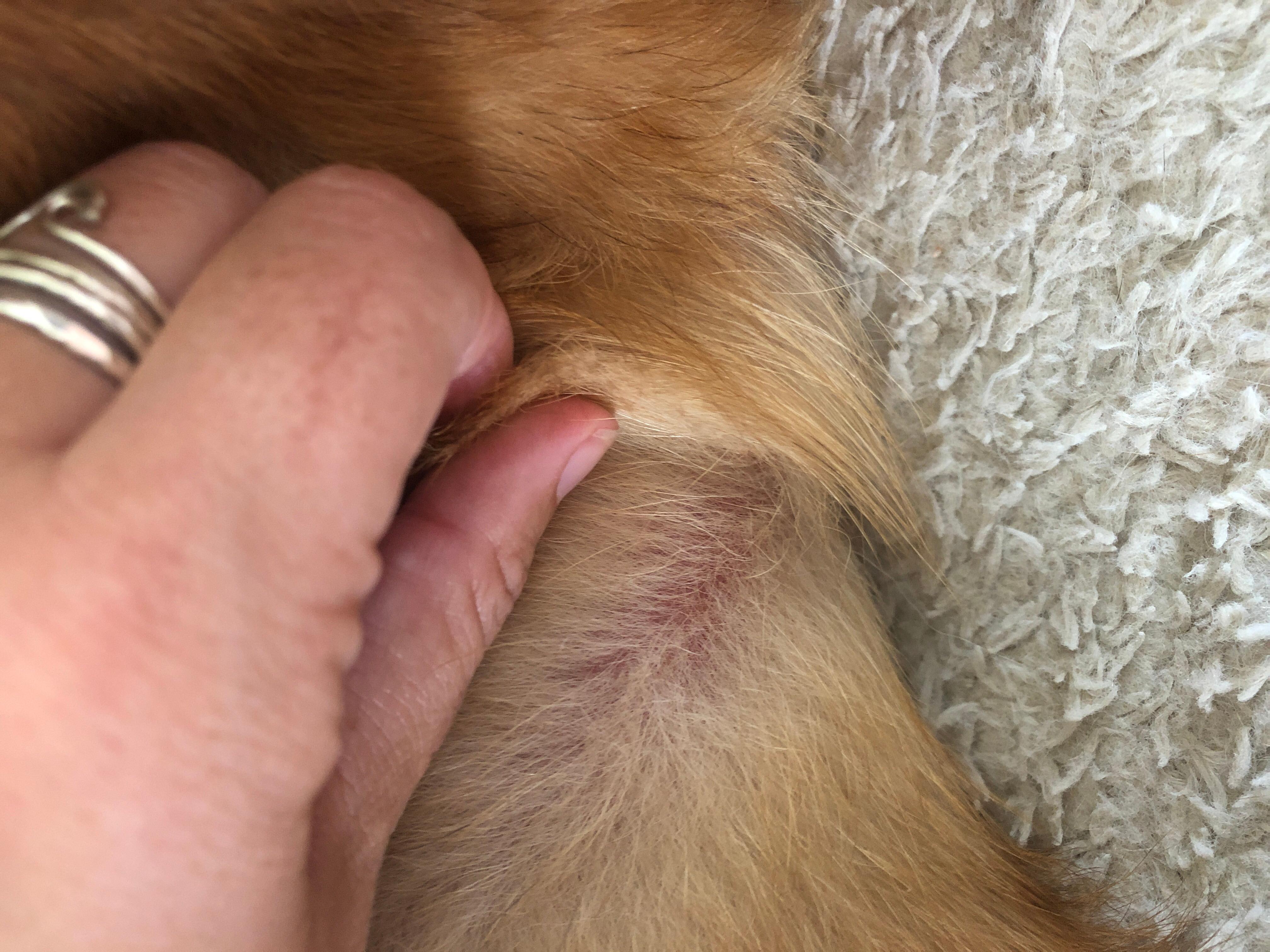
My dog was attacked, now has a red lump. Could it be a hematoma?

Updated On September 23rd, 2025

Pet's info: Dog | Mixed Breed Medium (23 - 60lb) | Female | spayed | 53 lbs

My dog got attacked by another dog so I took her to the vet. She needed 3 staples and was put on antibiotics. Three days lasted I noticed a lump on her side near an abrasion. When I check under the fur the spot is red. Could this be a hematoma? What’s the treatment?

This question includes photos that may contain sensitive content. Click to view.

View more to consider that the photos may include sensitive content.

1 Answer

Most Helpful Answer

Image profile

Answered By Sarah Derksen, DVM

Veterinarian

Published on August 21st, 2019

Hi there. Poor Marley. Based on these photos it appears to be bruising and irritation. But it is hard to tell from the photo. If it is actually a mass and red, it is possible that there could be a hematoma. I would recommend calling your veterinarian in the morning to have her looked at. If you have any further specific questions, please feel free to open a consultation.

Vote icon

1Pet Parents found this answer helpful

image
Have A Vet Question?

Book an appointment with the pros – our expert vets are here to help.

Sponsored