Petco Text Logo
Petco Pet Logo

My dog has bumps after topical flea/heartworm meds. Is it normal?

Updated On September 23rd, 2025

Pet's info: Dog | Cockapoo | Female | spayed | 1 year and 7 months old | 23.2 lbs

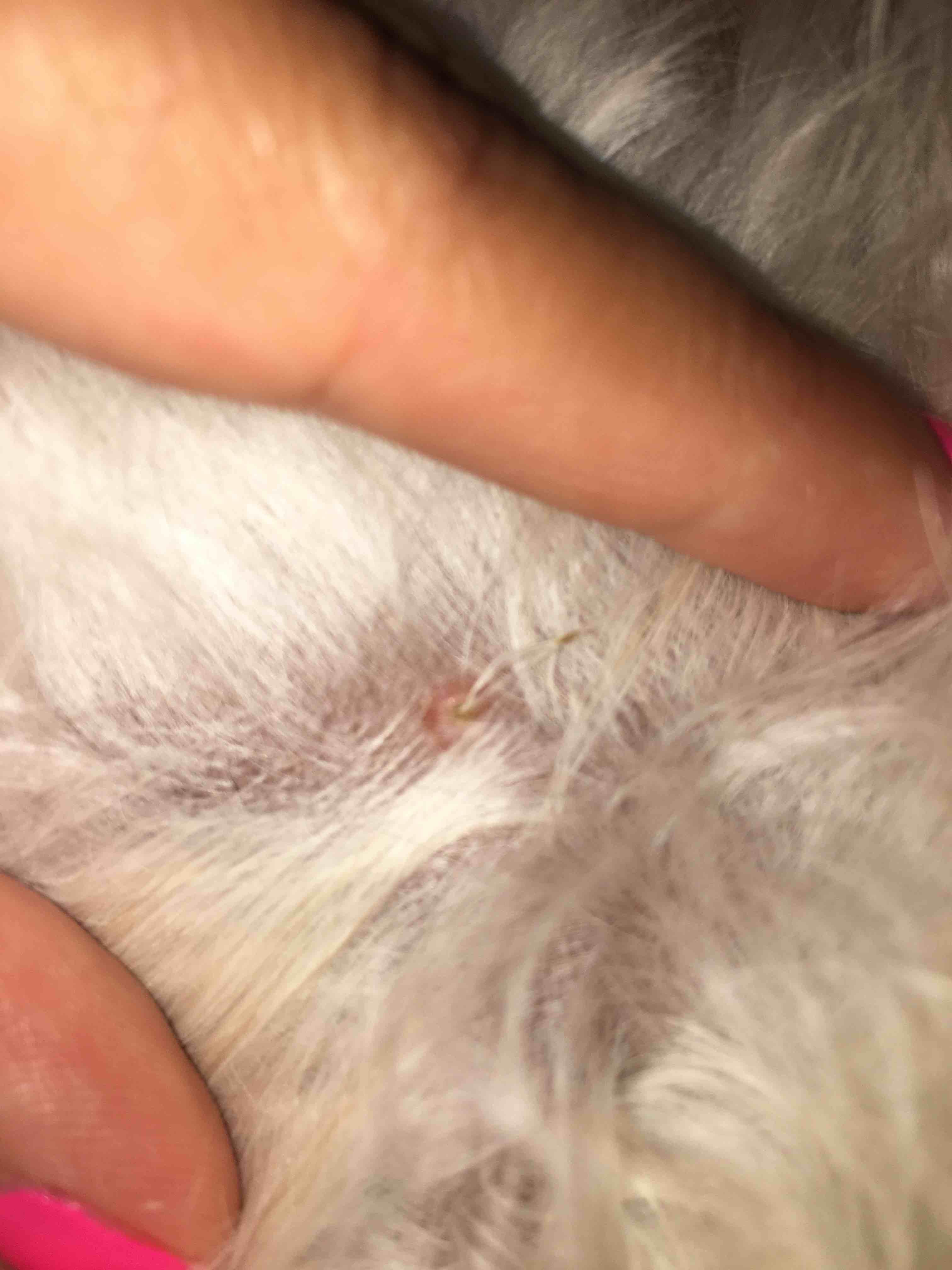
The vet recently changed Honey to Bravecto topical and Advantage Multi topical and I notice that these little bumps that look like pimples have shown up on her skin since using them. Could this be from the topical medication from both tick/flea and heartworm medication? Honey used to be on chewable ones but vet changed her to topical since they thought it would help better with her allergies. Will these little pumps eventually go away or will they cause skin issues?

This question includes photos that may contain sensitive content. Click to view.

View more to consider that the photos may include sensitive content.

1 Answer

Most Helpful Answer

Image profile

Answered By Dr. Melanie, BVSc MS

Veterinarian

Published on August 17th, 2019

This potentially could be a reaction to the medication, but without seeing Honey in person, I can't say for certain. I'd have her checked out by a vet, as these bumps may need treatment to go away. Best of luck.

Vote icon

1Pet Parents found this answer helpful

image
Have A Vet Question?

Book an appointment with the pros – our expert vets are here to help.

Sponsored