Petco Text Logo
Petco Pet Logo

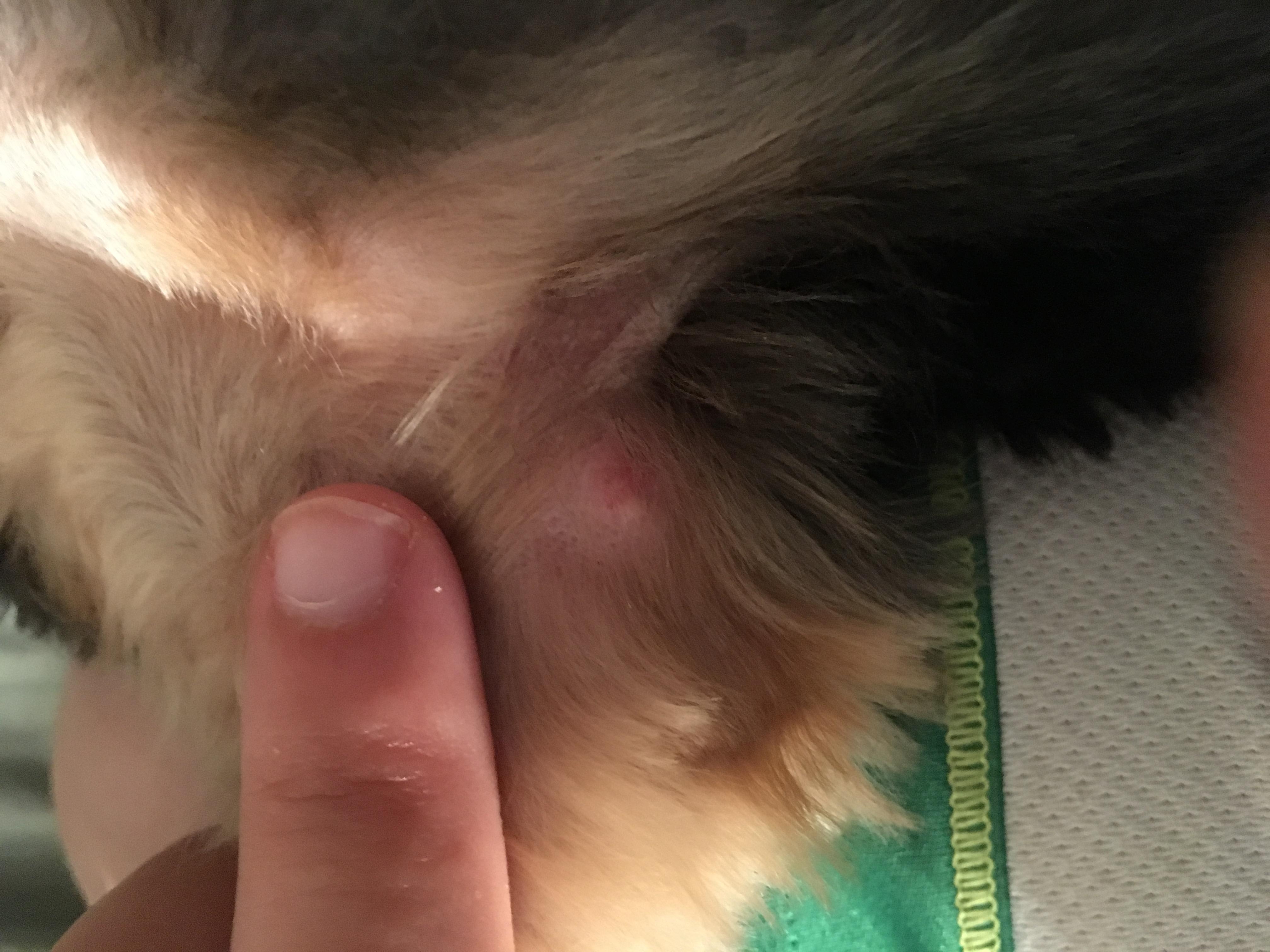
Why is my Yorkie yipping and has a purple lump after a haircut?

Updated On September 23rd, 2025

Pet's info: Dog | Yorkshire Terrier | Male | neutered | 6 years and 8 months old | 4 lbs

After a recent haircut, yorkie would yip when picked up. Lump started small yesterday, but has gone and turned purple

This question includes photos that may contain sensitive content. Click to view.

View more to consider that the photos may include sensitive content.

1 Answer

Most Helpful Answer

Image profile

Answered By Dr. Andrea

Veterinarian

Published on July 28th, 2019

I'ms sorry your Yorkie is having trouble. The yipping definitely means something is painful or making him uncomfortable. I'm not sure by your message, if you are meaning that he is painful in that area where the lump is. That lump could be related to the grooming or just a coincidence. It looks like an area of small infection and could be from allergies, a scrape or an impacted hair follicle or small cyst. Your vet will need to look at that to get a diagnosis. You can use some Neosporin on it and keep it clean until you can get him in with them.

Vote icon

2Pet Parents found this answer helpful

image
Have A Vet Question?

Book an appointment with the pros – our expert vets are here to help.

Sponsored