Petco Text Logo
Petco Pet Logo

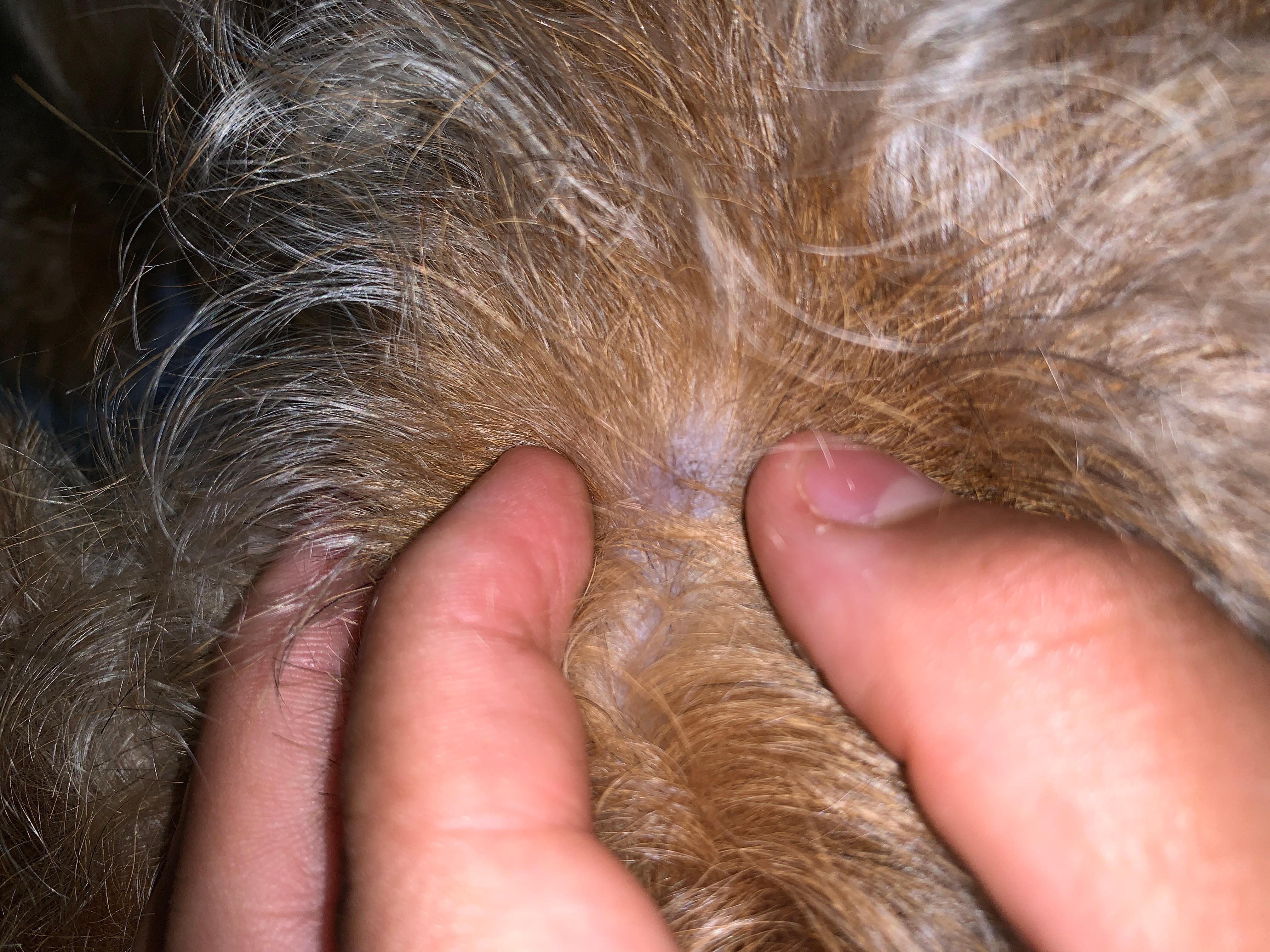
Dog's tick bite left a bump on neck that won't go away. What to do?

Updated On September 23rd, 2025

Pet's info: Dog | Mixed Breed Small (up to 22lb) | Male | unneutered | 1 year and 8 months old | 24 lbs

Hi my name is cesar and I just wanted to ask you guys a quick question to see if you guys could help me solve this question. I have a breed between a shih tzu and a mini pinscher and we removed a tick from the lower back of his neck couple months ago and it left a bump behind and it hasn’t gone away do you know if there could be something wrong?

This question includes photos that may contain sensitive content. Click to view.

View more to consider that the photos may include sensitive content.

1 Answer

Most Helpful Answer

Image profile

Answered By Destini R. Holloway, DVM

Veterinarian

Published on July 26th, 2019

This likley is some scar tissue left behind that was initially caused by a localized inflammatory response from the tick. However, to ensure it isn't something to be concerned about, you can opt to have this area tested through your vet with a skin cytology or biopsy. I hope that your fur baby Teddy does well moving forward. Best wishes and take care! : )

Vote icon

1Pet Parents found this answer helpful

image
Have A Vet Question?

Book an appointment with the pros – our expert vets are here to help.

Sponsored