Petco Text Logo
Petco Pet Logo

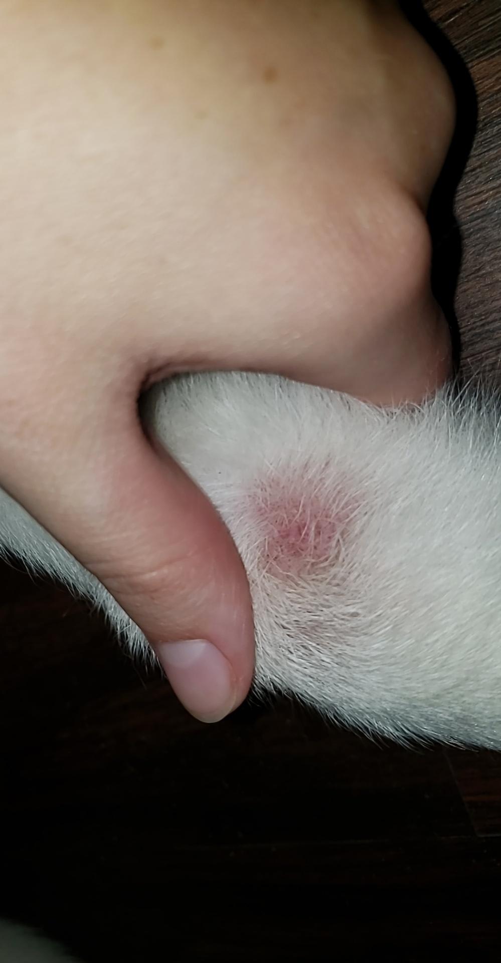
Why is my 4-month-old husky puppy's leg red, itchy, and losing fur?

Updated On September 23rd, 2025

Pet's info: Dog | Siberian Husky | Male | unneutered | 25 lbs

Hi I noticed a couple days ago that there was a spot on my dogs leg with thinner fur compared to the other leg and today he was itchy it with his teeth I stopped him and noticed it was red. He is almost 4 months and a husky. I attached photos of it

This question includes photos that may contain sensitive content. Click to view.

View more to consider that the photos may include sensitive content.

1 Answer

Most Helpful Answer

Image profile

Answered By Dr. Strydom, DVM

Veterinarian

Published on July 19th, 2019

You really should have your vet check this out. The number one reason for hair loss and itchiness in puppies is mange. Of course there are other things that could cause this type of lesion. That is why you will need your vet to examine him. There is only so much we can tell you via the internet with a photo. ( https://www.petcoach.co/article/demodectic-mange/ )

Vote icon

1Pet Parents found this answer helpful

image
Have A Vet Question?

Book an appointment with the pros – our expert vets are here to help.

Sponsored