Petco Text Logo
Petco Pet Logo

My dog has a skin lump that looks like a pimple. Could it be cancer?

Updated On September 23rd, 2025

Pet's info: Dog | Mixed Breed | Male | neutered | 5 years and 6 months old

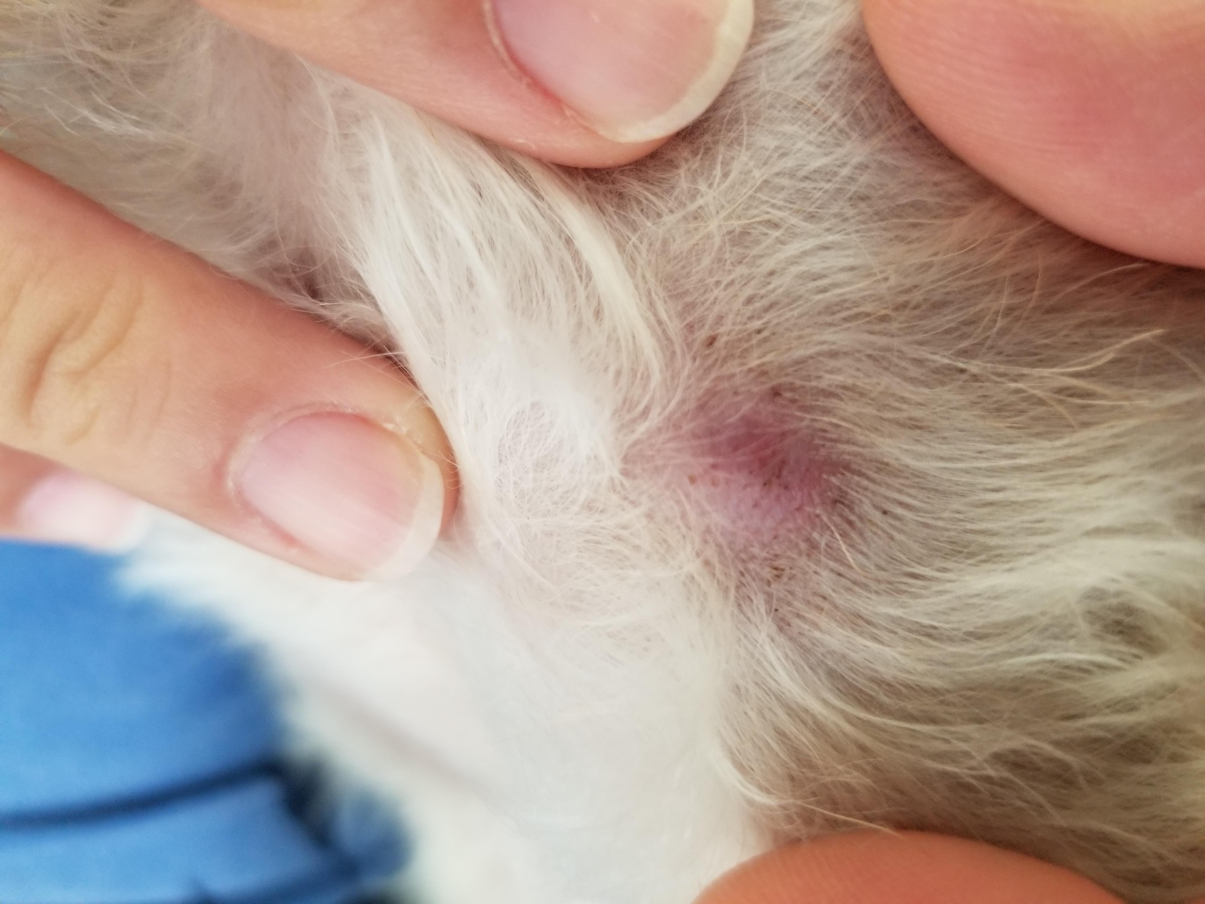
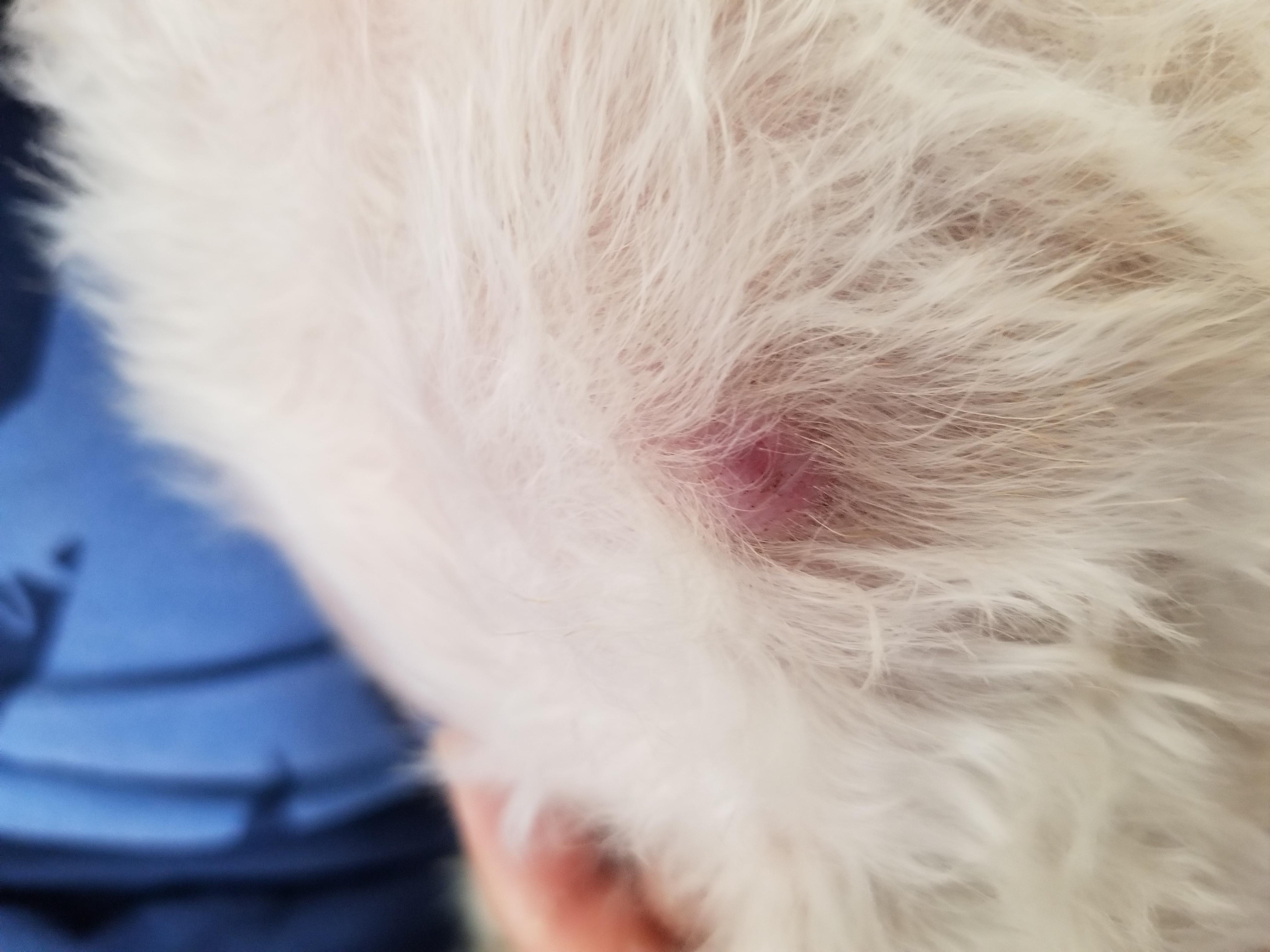
My dog has a lesion growing on his skin. It looks like pimple. Could it be something malign? He doesn't look its hurting.

This question includes photos that may contain sensitive content. Click to view.

View more to consider that the photos may include sensitive content.

2 Answers

Most Helpful Answer

Image profile

Answered By Dr. Strydom, DVM

Veterinarian

Published on July 14th, 2019

Any abnormal swelling should be checked by your vet. It could be one of any number of things: -cyst -abscess -tumor, malignant -tumor, benign Even though it doesn’t seem to be bothering him you should have him checked by your vet.

Vote icon

1Pet Parents found this answer helpful

Other Answers

  • Image profile

    Answered By Dr. Macartney, BVet Med, MRCVS

    Veterinarian

    Published on August 10th, 2017

    From the pictures you have sent the "bump" appears to be a skin growth. There are several types off masses that can grow in the skin of dogs such as cysts and lipomas. Some are benign and some are malignant, so careful observation is important, as well as having a vet examine it if you are concerned. . Since you only just noticed the lump, I would continue to monitor it for growth, ulceration, changes in texture or color. Measure the mass with a ruler so you can compare its growth in a couple weeks time. Rapidly growing masses are more concerning. I hope that this answer was helpful and more importantly that Yiur dog feels better soon. Warmest regards to you both.

    Vote icon

    3Pet Parents found this answer helpful

See More Answers
image
Have A Vet Question?

Book an appointment with the pros – our expert vets are here to help.

Sponsored