Petco Text Logo
Petco Pet Logo

My dog has bites and is itchy, but no fleas. What could it be?

Updated On September 23rd, 2025

Pet's info: Dog | Jack Russell Terrier | Male | unneutered | 20 lbs

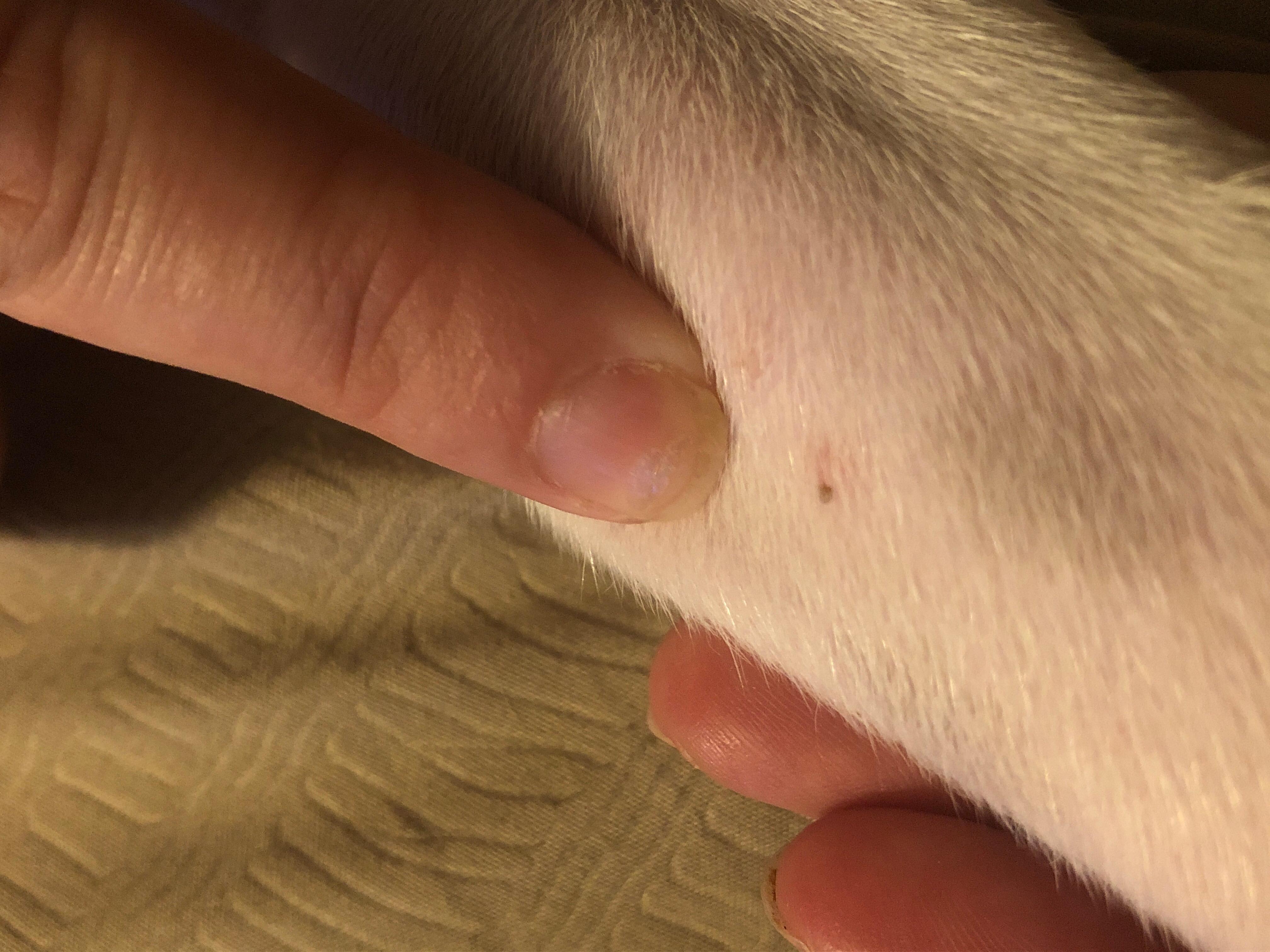
My dog has bites all over him but we don’t see any fleas. What else could it be

This question includes photos that may contain sensitive content. Click to view.

View more to consider that the photos may include sensitive content.

2 Answers

Most Helpful Answer

Image profile

Answered By Dr. Elizabeth

Veterinarian

Published on July 8th, 2019

I can't tell from to photo, but are those 'seed ticks'? Other possible causes of itching/scratching/bites include mites or ant bites. If you cannot identify the cause, I recommend to have Bull examined by the veterinarian who may recommend a medication to treats the possible parasites and medications to help with any itching. Best of luck.

Vote icon

4Pet Parents found this answer helpful

Other Answers

  • Image profile

    Answered By Ricardo Fernandez, DVM

    Veterinarian, Veterinary Oncology Resident

    Published on

    Thanks for using Petco Pet Education Center, formerly Petcoach! This is possibly due to self-trauma from him biting/chewing at his skin.This is possibly due to allergies. It really comes down to figuring out what is causing his allergies so that they can be treated or the specific allergen avoided. A secondary infection is likely and also needs to be addressed. There are many things that can cause allergies though in most cases they can be broken down into 3 big categories: flea, food and environmental allergies. Allergies are usually worked up in a stepwise fashion starting with flea allergies as this is the easiest and cheapest to take care of. If not on a flea preventative, then it would be a good idea to get started on one. If already on one then it would be a good idea to change to something else (there are many new products out in the market). If not improved in 1-3 months then it is time to move on and check for food allergies by switching to a novel diet (new protein and new carbohydrate). If that does not seem to be the issue then you are left out having to check for environmental allergies which require blood and/or skin tests. Allergies can be very frustrating to deal with at first but so rewarding at the end when we are able to treat them effectively!

    Vote icon

    1Pet Parents found this answer helpful

See More Answers
image
Have A Vet Question?

Book an appointment with the pros – our expert vets are here to help.

Sponsored