Petco Text Logo
Petco Pet Logo

My dog's rear end is swollen, red, and leaking fluid. What's happening?

Updated On September 23rd, 2025

Pet's info: Dog | Maltipoo | Male | unneutered | 5 years and 3 months old | 7 lbs

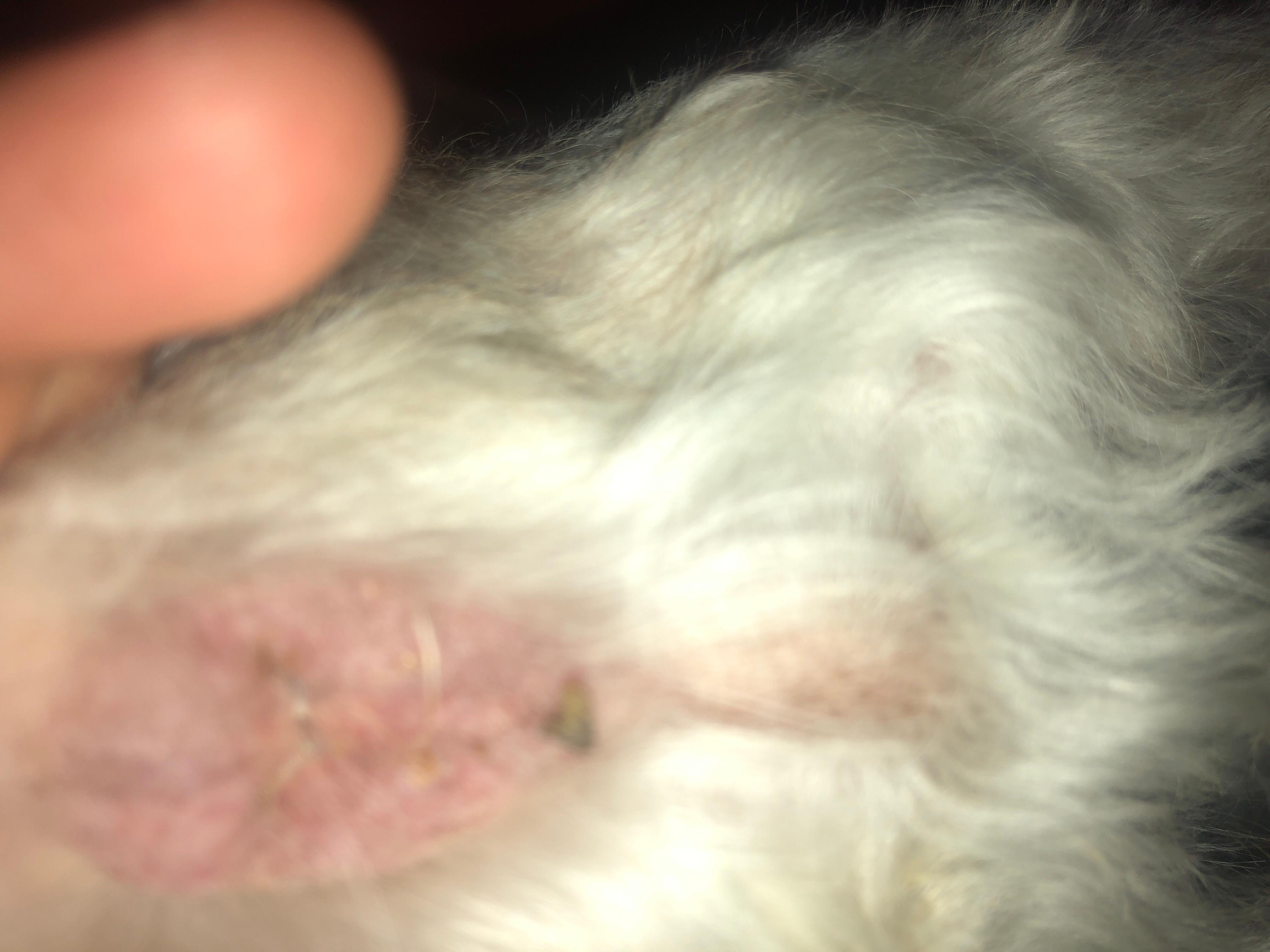
My dog butthole appear to be swollen and red. I am not sure what his butthole looked like before because he has recently gotten a hair cut. His butthole is also appears to be leaking some kind of fluid. Is this normal? if not can you tell me what is wrong?

This question includes photos that may contain sensitive content. Click to view.

View more to consider that the photos may include sensitive content.

1 Answer

Most Helpful Answer

Image profile

Answered By Dr. Massimo Orioles, DVM, Cert AVP, MRCVS

Veterinarian

Published on July 3rd, 2019

There may be a mild to moderate swelling possibly due to anal glands impaction/inflammation, which may be discharging excess of fluid. A clinical examination at your local veterinarian is essential to confirm these clinical suspicions and treat appropriately. Anal gland expression may be needed. Hope this answer was helpful, but please do not hesitate to contact us again on the forum or by requesting a consultation if you have any more questions or to discuss it any further. If this answer was helpful please let us know, this will be used to improve our service!

Vote icon

9Pet Parents found this answer helpful

image
Have A Vet Question?

Book an appointment with the pros – our expert vets are here to help.

Sponsored