Petco Text Logo
Petco Pet Logo

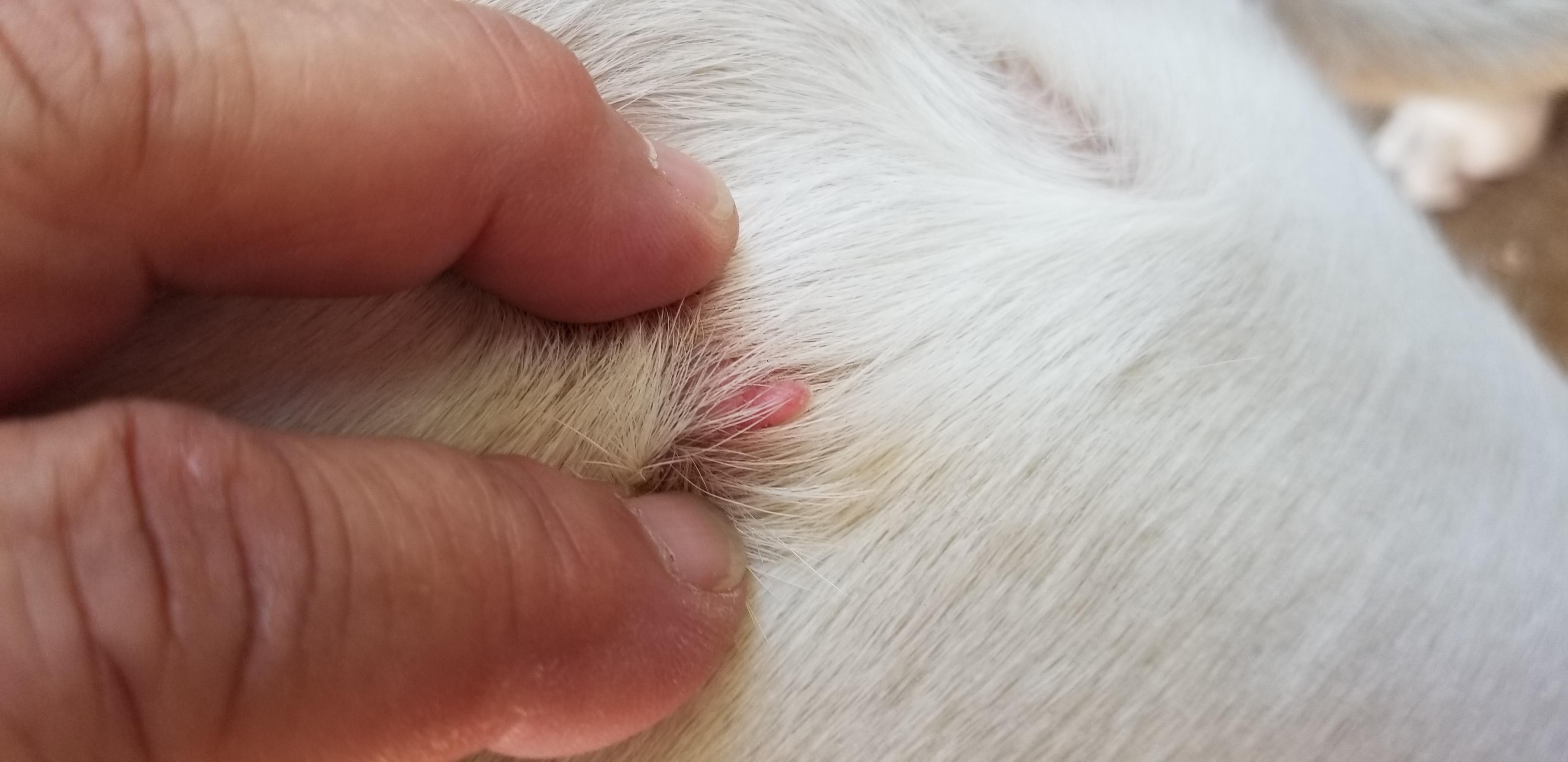
Can I wrap my pit bull's tail & what's this growth on her hip?

Updated On September 23rd, 2025

Pet's info: Dog | American Pit Bull Terrier | Female | spayed | 11 years and 3 months old | 70 lbs

My pit bull has a long tail. Around the 5th joint, the hair has rubbed off, I believe from sitting. Can I wrap it with vet wrap until the hair grows back? Plus, there is a growth on her left hip

This question includes photos that may contain sensitive content. Click to view.

View more to consider that the photos may include sensitive content.

1 Answer

Most Helpful Answer

Image profile

Answered By Ricardo Fernandez, DVM

Veterinarian, Veterinary Oncology Resident

Published on July 2nd, 2019

Thanks for using Petco Pet Education Center, formerly Petcoach! This could be a benign or malignant growth. There is no way of knowing what it is just based on its appearance. This is often differentiated by a test called a fine needle aspirate (FNA) which is a pain free, inexpensive and easy procedure which in most cases will help reach a diagnosis. Sometimes a biopsy is needed for a definitive diagnosis. I recommend that you have her evaluated by your veterinarian for further assessment and treatment. I am really hoping for something benign. As far as the tail lesion goes, it could be an infection so I would recommend having her checked by your veterinarian if it continues to be an issue. I do not think wrapping it is going to help. Good luck and have a good day!

Vote icon

1Pet Parents found this answer helpful

image
Have A Vet Question?

Book an appointment with the pros – our expert vets are here to help.

Sponsored