Petco Text Logo
Petco Pet Logo

Why is my guinea pig biting her old wound and pulling out fur?

Updated On September 23rd, 2025

Pet's info: Small Animal | Guinea Pig | Female | unspayed | 1 year and 4 months old | 1.9375 lbs

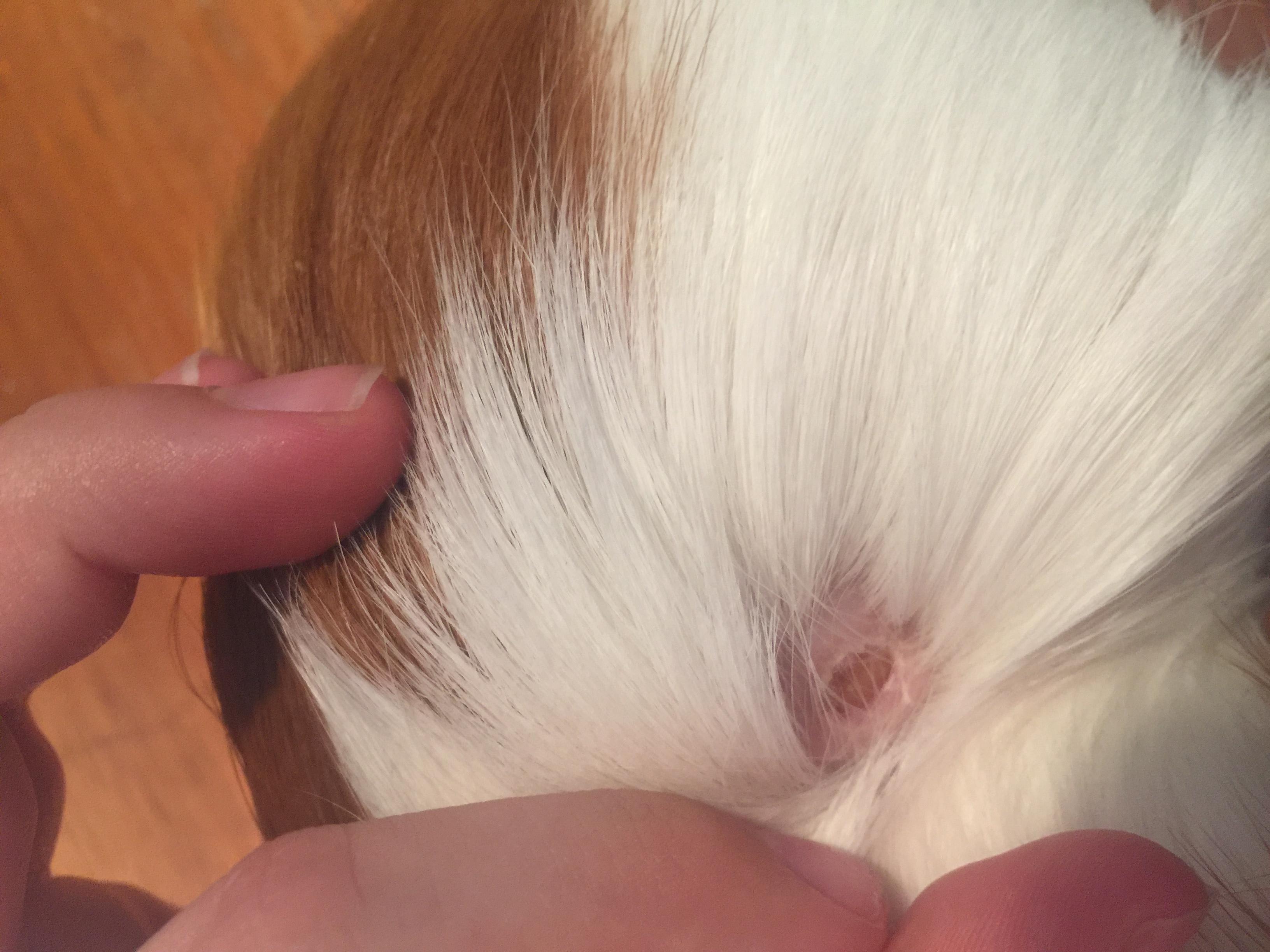
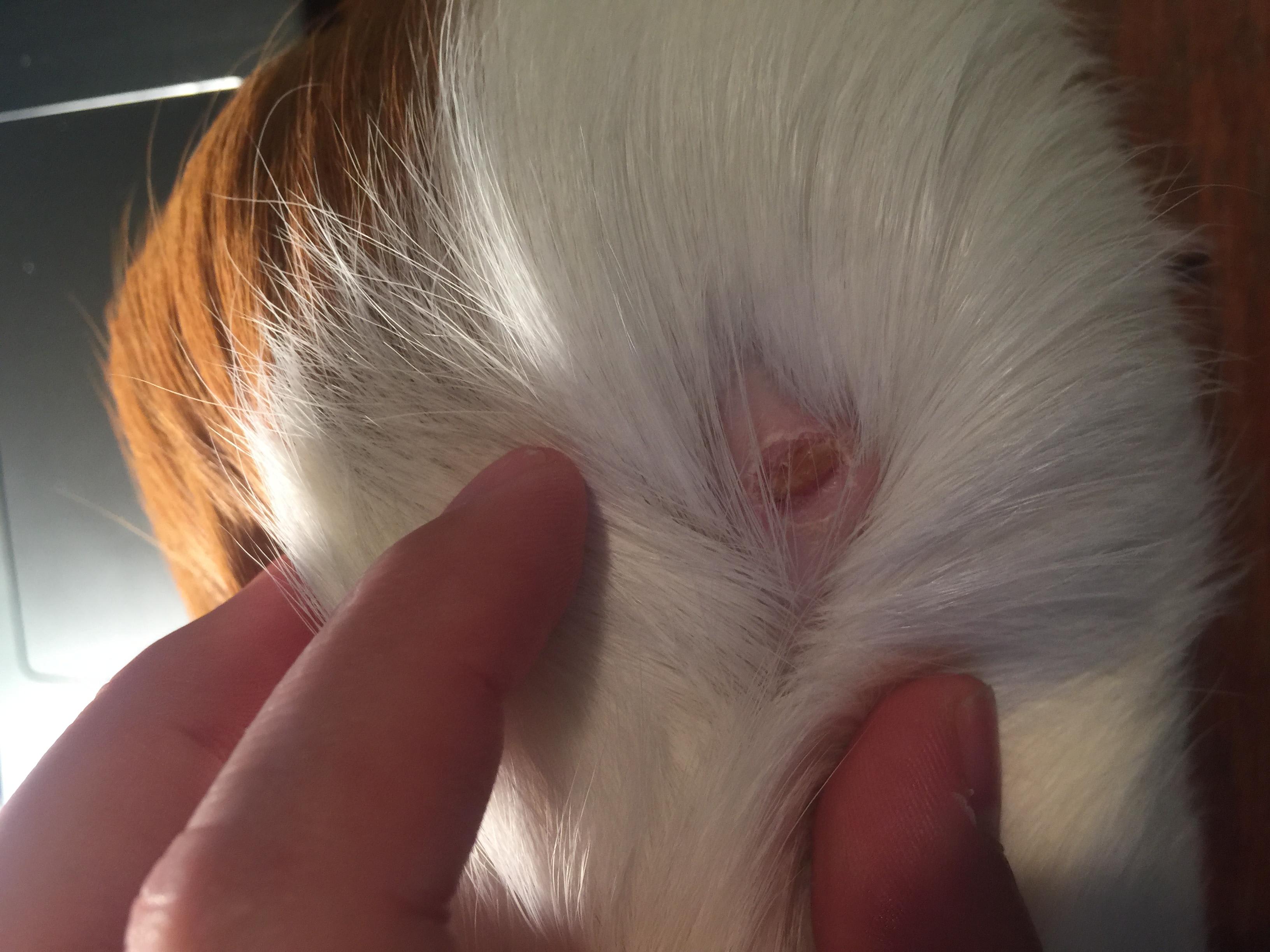
I have a 2.5 year old female guinea pig (Freya) that I got maybe 2 months ago. Her previous owner used her for breeding but retired her because she got an abscess on her side. She had it checked and drained by her vet and Freya hasn't bothered it for the 2 months I've had her. But I just got back from a 2 week vacation and she had started biting at the wound and tearing out the fur while I was gone. I was simply wondering what could be causing the sudden change. Thank you! ~Alexa

This question includes photos that may contain sensitive content. Click to view.

View more to consider that the photos may include sensitive content.

1 Answer

Most Helpful Answer

Image profile

Answered By Todd Cecil

Veterinarian

Published on June 16th, 2019

Thanks for reaching out about Freya and including photos. One of the dermal conditions guinea pigs get are dermal cysts, which rarely heal without surgical (although minor) removal. They tend to "pop", heal and then grow again. Guinea pigs are also prone to ovarian cysts which can cause some skin/hair conditions and are itchy. A veterinary visit is recommended. Good luck.

Vote icon

2Pet Parents found this answer helpful

image
Have A Vet Question?

Book an appointment with the pros – our expert vets are here to help.

Sponsored