Petco Text Logo
Petco Pet Logo

My unspayed cat has red scratch marks. What could be the cause?

Updated On September 23rd, 2025

Pet's info: Cat | Mixed Breed | Female | unspayed | 3 years and 7 months old | 7 lbs

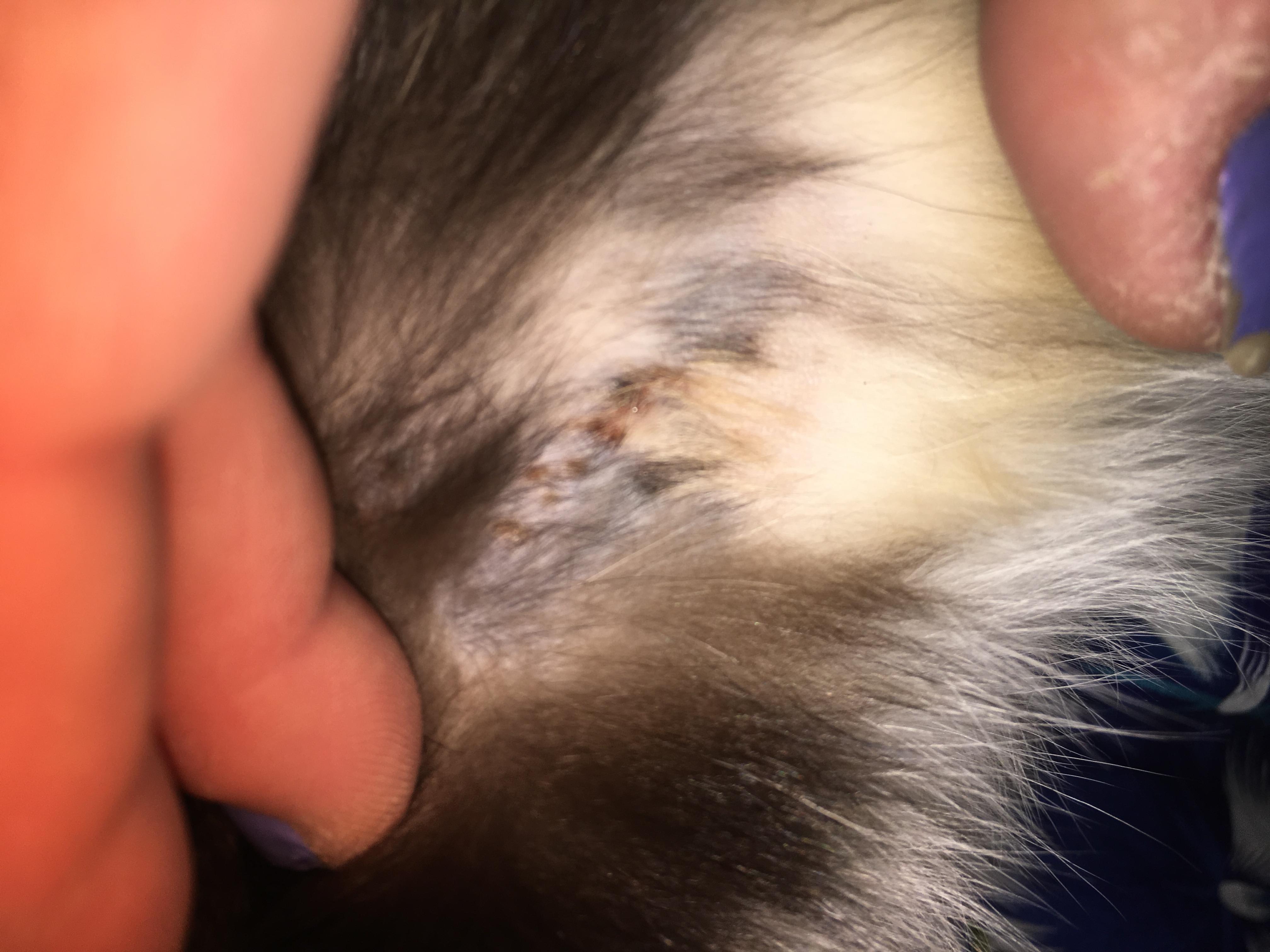
I wrote question about my cat Minks and I don’t think I ever got a response from you. So I’ll try again about 2 and a half weeks ago she had one, well it looked like maybe one of my other cats clawed her, (they play all the time!) and beside the claw mark were these little red like scratch marks they weren’t bleeding just little red lines less than a quarter inch and maybe two were about a little bigger that a quarter inch. I had sent pic with the question I sent you . Anyway I’m out of room..

This question includes photos that may contain sensitive content. Click to view.

View more to consider that the photos may include sensitive content.

1 Answer

Most Helpful Answer

Image profile

Answered By Dr. Melanie, BVSc MS

Veterinarian

Published on June 9th, 2019

I'm sorry you may not have gotten your question answered! I see what you mean from the pictures. It could be claw marks from one of the other cats. I see that she isn't spayed, and if she was in heat recently and there is an intact male cat in your house, it could be she was injured when the male tried to mount her. Keep an eye on these and if they do not go away, get worse, or become infected, have Minks seen by a vet. I hope this helps!

Vote icon

1Pet Parents found this answer helpful

image
Have A Vet Question?

Book an appointment with the pros – our expert vets are here to help.

Sponsored