Petco Text Logo
Petco Pet Logo

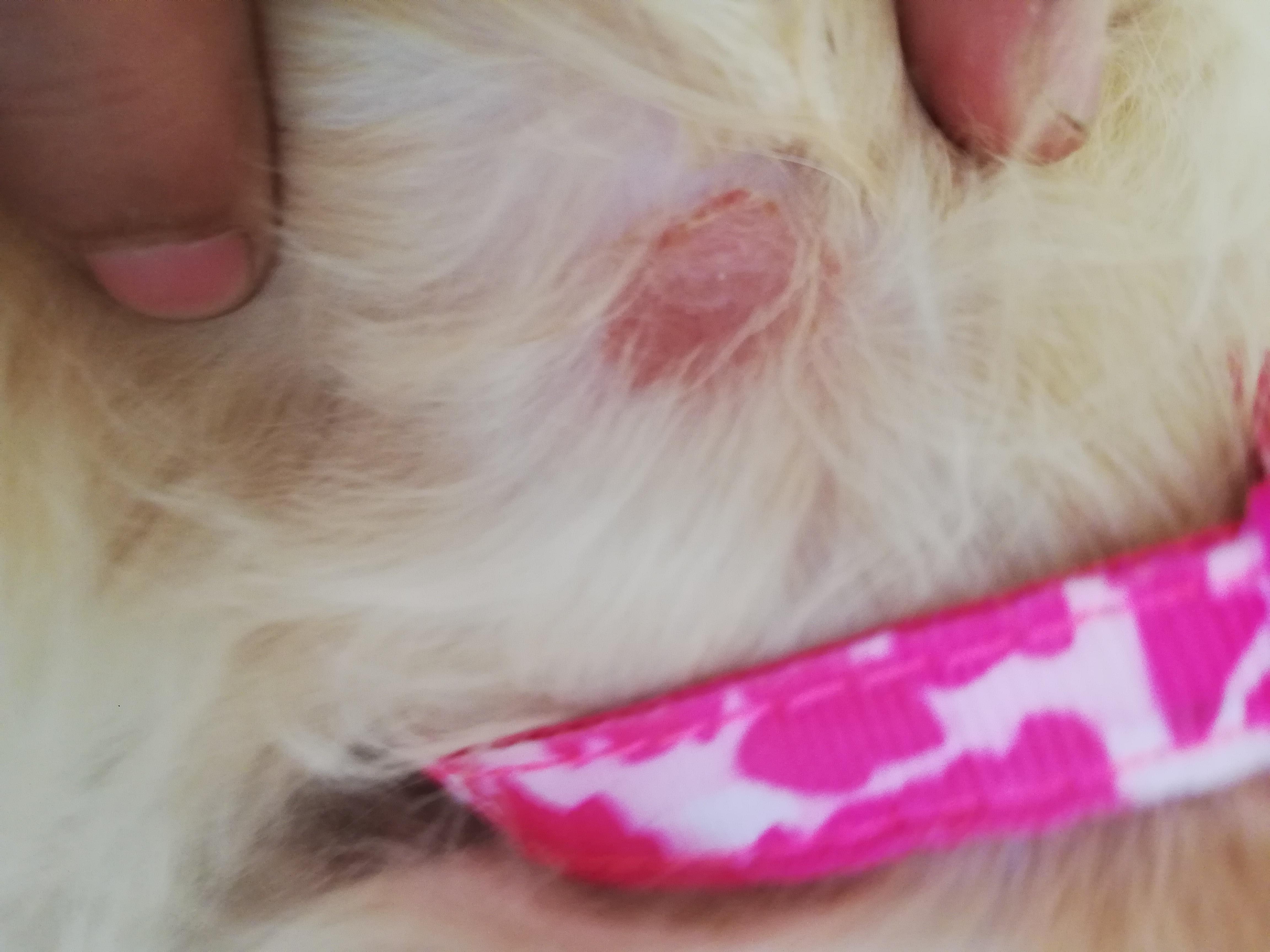
What causes my puppy's belly blisters and round wound on her neck?

Updated On September 23rd, 2025

Pet's info: Dog | Mixed Breed Small (up to 22lb) | Female | 4 months old | 5.62 lbs

Hello! Good morning/evening! So my 4 month old terrier poodle have blisters on her belly. IDK how she got them. She seems normal (eats, drinks, plays fine). She eats Pedigree Stage 1 Weaning. And then I just saw this round wound in her neck area. I feel bad for my puppy. It's like she's sick always. What could be the cause of her blisters? And what is that round wound?

This question includes photos that may contain sensitive content. Click to view.

View more to consider that the photos may include sensitive content.

1 Answer

Most Helpful Answer

Image profile

Answered By Dr. Melanie, BVSc MS

Veterinarian

Published on May 25th, 2019

So Chowy could have puppy pyoderma, which is a skin infection. That can be common in puppies and is due to their sensitive skin. The round would could be from a injury, or it could be ringworm or another skin infection. Have her seen by a vet. The vet can diagnose what is causing these skin lesions, and can treat her. Best of luck.

Vote icon

1Pet Parents found this answer helpful

image
Have A Vet Question?

Book an appointment with the pros – our expert vets are here to help.

Sponsored