Petco Text Logo
Petco Pet Logo

My cat has flat brown spots and hair loss. Is it skin cancer?

Updated On September 23rd, 2025

Pet's info: Cat | Norwegian Forest Cat | Female | spayed | 14 years and 3 months old

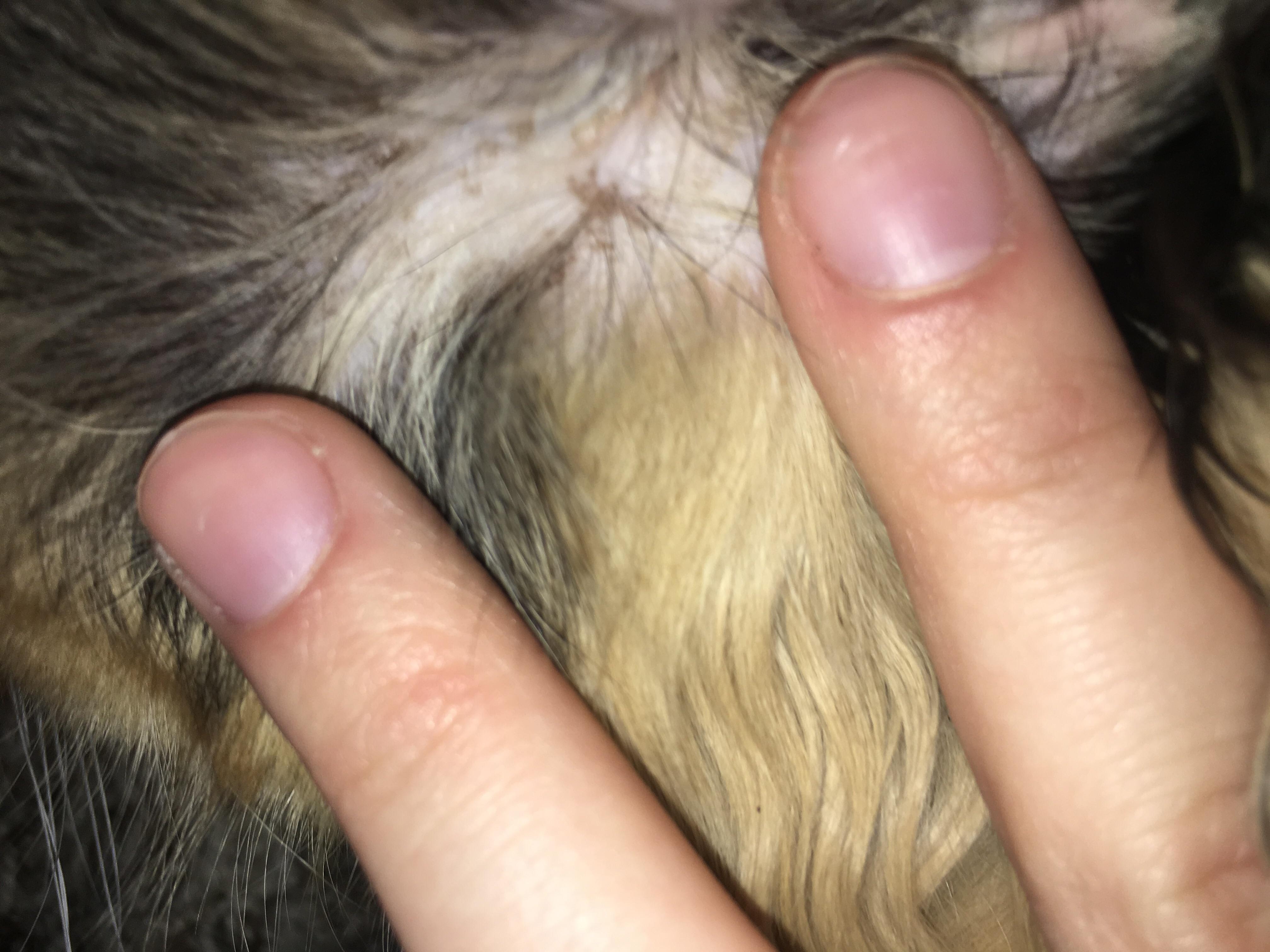
I feel like my cat has begun to get skin cancer. I noticed while petting her these brown blotchy spots on her skin, and that there isn’t as much hair there as there used to be. Could anyone tell me whether this is something I should take her in for? Carmen, my cat, is 14, and was told at one time by another vet on her that she believed she had dermatitis due to this raised, red bumps on her skin. But these are different. They’re flat, brown, and blotchy.

This question includes photos that may contain sensitive content. Click to view.

View more to consider that the photos may include sensitive content.

1 Answer

Most Helpful Answer

Image profile

Answered By Ricardo Fernandez, DVM

Veterinarian, Veterinary Oncology Resident

Published on April 1st, 2018

Thanks for using Petco Pet Education Center, formerly Petcoach! While it is hard to tell just in these pictures, I think cancer is less likely and something more benign like allergies and dermatitis is more likely. Ultimately, this requires further investigation to know for sure. This is possibly due to allergies. It really comes down to figuring out what is causing her allergies so that they can be treated or the specific allergen avoided. A secondary infection is likely and also needs to be addressed. There are many things that can cause allergies though in most cases they can be broken down into 3 big categories: flea, food and environmental allergies. Allergies are usually worked up in a stepwise fashion starting with flea allergies as this is the easiest and cheapest to take care of. If not on a flea preventative, then it would be a good idea to get started on one. If already on one then it would be a good idea to change to something else (there are many new products out in the market). If not improved in 1-3 months then it is time to move on and check for food allergies by switching to a novel diet (new protein and new carbohydrate). If that does not seem to be the issue then you are left out having to check for environmental allergies which require blood and/or skin tests. Allergies can be very frustrating to deal with at first but so rewarding at the end when we are able to treat them effectively!

Vote icon

1Pet Parents found this answer helpful

image
Have A Vet Question?

Book an appointment with the pros – our expert vets are here to help.

Sponsored