Petco Text Logo
Petco Pet Logo

My dog has pus-filled bumps. What shampoo and how to treat them?

Updated On September 23rd, 2025

Pet's info: Dog | Pug | Female | spayed | 19 lbs

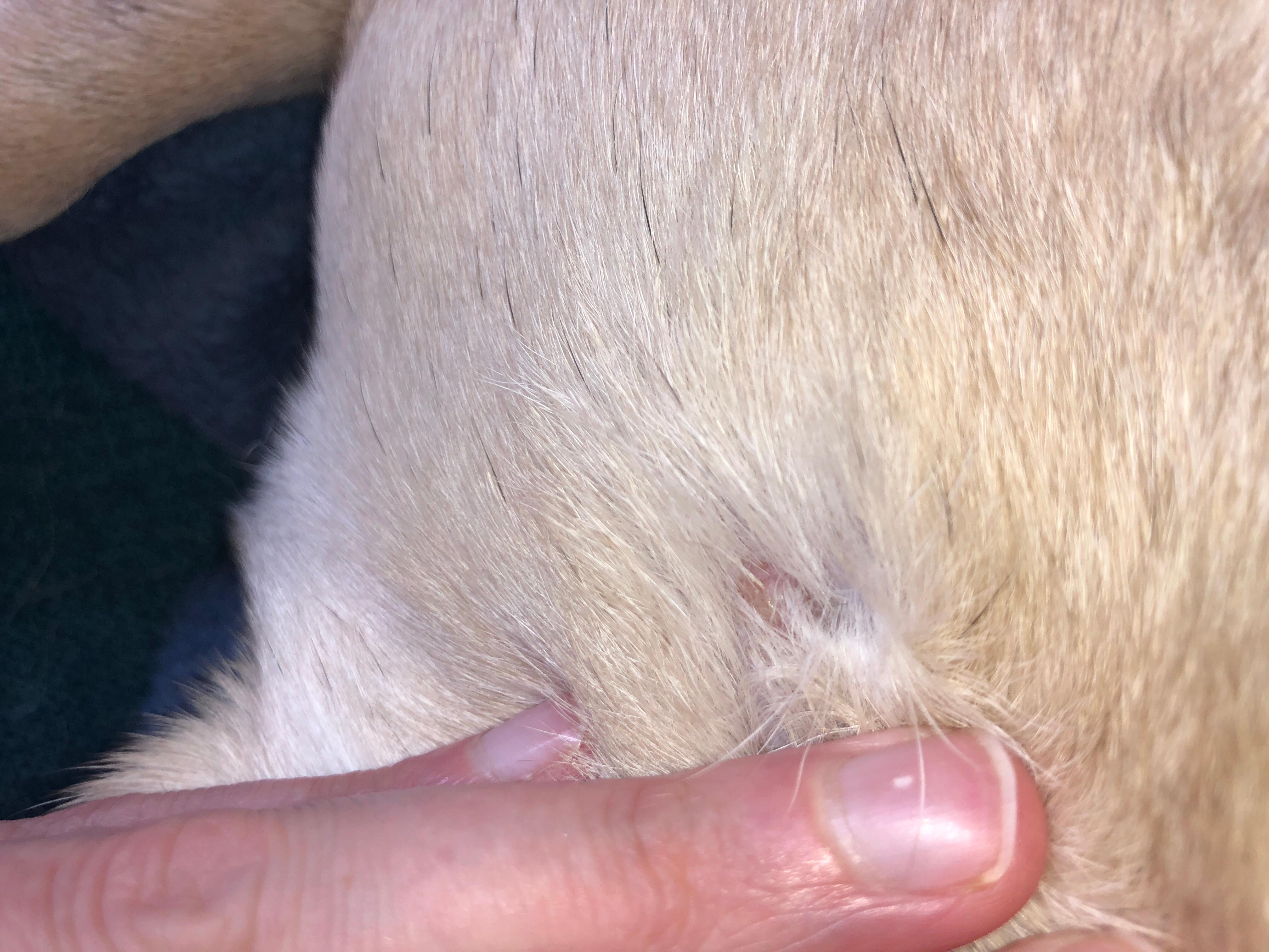
My dog has little pus filled lumps around hair follicles and I’ve been using an anti fungal shampoo on her, I think it’s helping but I’m unsure how long it will take to work and how much I can use the shampoo.

This question includes photos that may contain sensitive content. Click to view.

View more to consider that the photos may include sensitive content.

1 Answer

Most Helpful Answer

Image profile

Answered By Dr. Leigh, DVM

Veterinarian

Published on April 7th, 2019

If it is filled with pus then you might need to use an anti-bacterial shampoo to treat a bacterial infection. You probably shouldn't be bathing more then twice a week. You could try a topical spray, like Vetericyn wound spray, and see if that helps. Otherwise, she should be examined by a vet to determine the cause and treat. She may need an antibiotic, anti-fungal, and/or other medications and your vet can prescribe. it might also be a sebaceous cyst that needs to be removed.

Vote icon

1Pet Parents found this answer helpful

image
Have A Vet Question?

Book an appointment with the pros – our expert vets are here to help.

Sponsored