Petco Text Logo
Petco Pet Logo

My kitten has osteoarthritis. Vet won't operate. What should I do?

Updated On September 23rd, 2025

Pet's info: Cat | Mixed Breed | Female | spayed | 1 year and 6 months old | 7.7 lbs

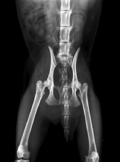
My kitten is one year old, she has calicivirus and has been diagnosed with osteoarthritis. These are hers x-rays. My vet doesn't want to operate. I don't know what to do. Sorry for my grammar mistakes, I am not native english.

This question includes photos that may contain sensitive content. Click to view.

View more to consider that the photos may include sensitive content.

1 Answer

Most Helpful Answer

Image profile

Answered By Rodrigo Roca, DVM

Veterinarian

Published on February 8th, 2019

Hello, sorry to hear about Kairi. It sounds like besides her calicivirus, she is having some difficult time walking? If so, it is believed that this is secondary to osteoarthritis. Young cats with osteoarthritis can often have more than one joint affected and is often something that is management medically. Finding the underlying cause for this osteoarthritis such as infection, an inflammatory response, auto-immune disease, or an old injury must be determined. Surgery may not be able to treat the osteoarthritis but rather help her walk easier. Surgical intervention is often pursued as a salvage procedure and not before diagnosing the source of the osteoarthritis and its effect. I would recommend asking your veterinarian to refer Kairi to an orthopedic surgeon so that they may evaluate her and determine if one or more joints are affected and if surgery or medical management is best for her. Hope this helps and best of luck.

Vote icon

1Pet Parents found this answer helpful

image
Have A Vet Question?

Book an appointment with the pros – our expert vets are here to help.

Sponsored