Petco Text Logo
Petco Pet Logo

My dog has bites after late Simparica. Is it fleas or allergies?

Updated On September 23rd, 2025

Pet's info: Dog | Mixed Breed Small (up to 22lb) | Male | neutered | 9 months and 18 days old | 8.4 lbs

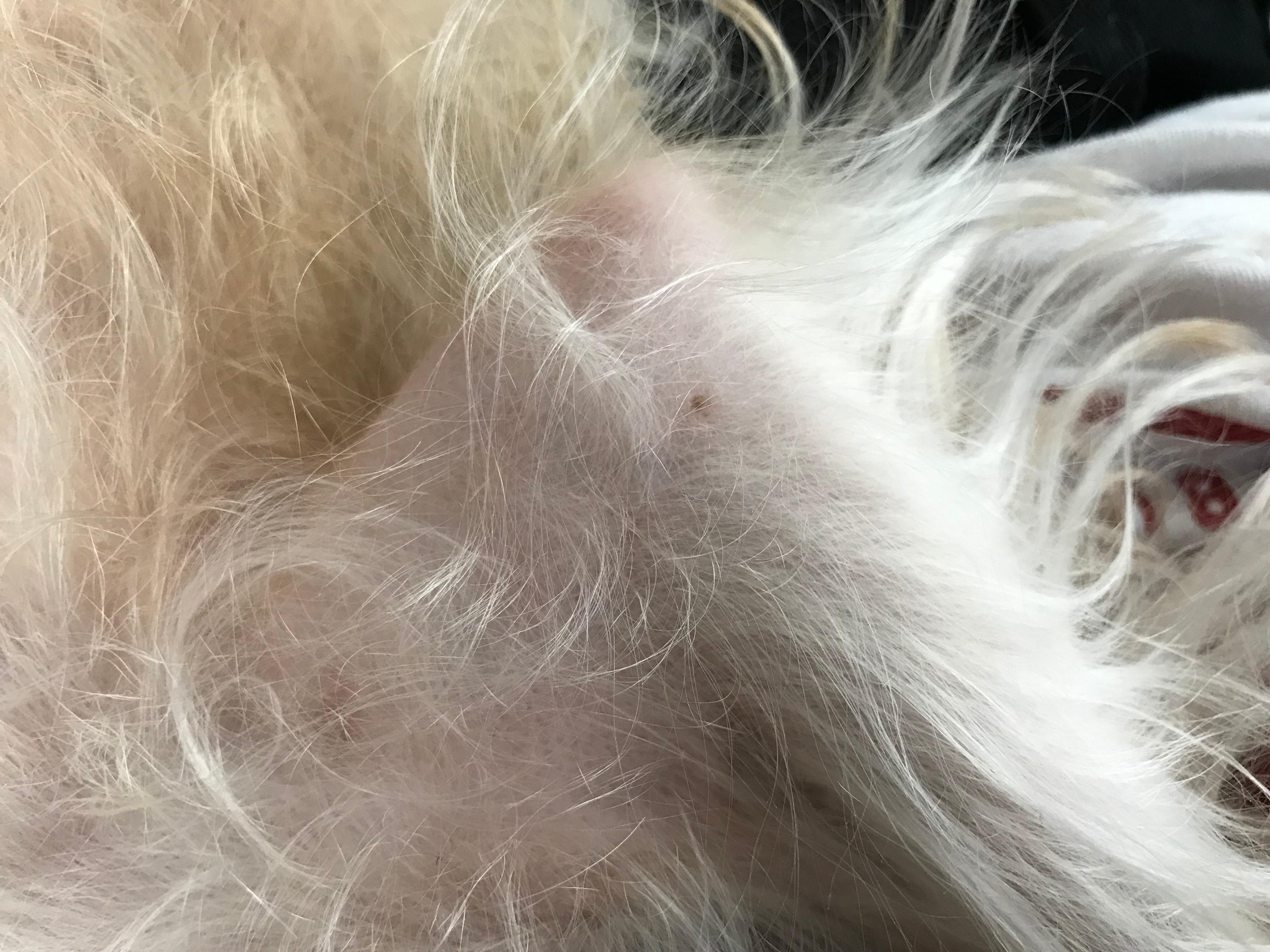
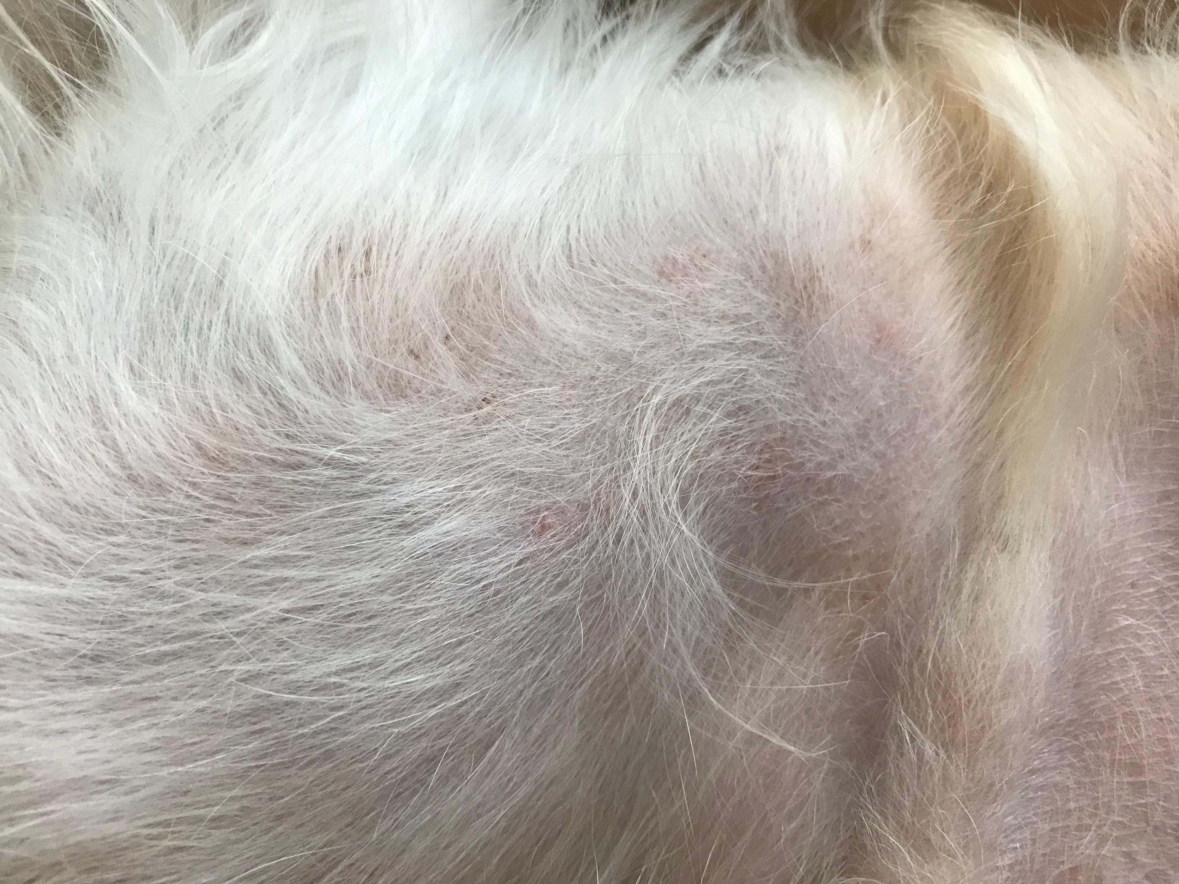
I put my dog on Simparica. This month I gave it to him 5 days later than usual and he got bites on his thighs, belly and arms. I have spray tick/flea sprays and clean everything out already. I dont see any flea/ticks jumping around him or his stuff or anywhere around the house. Is there anything else I could do? Should I get a flea/tick shampoo? Does 5 days late really make a difference?

This question includes photos that may contain sensitive content. Click to view.

View more to consider that the photos may include sensitive content.

1 Answer

Most Helpful Answer

Image profile

Answered By Linda G, MS, DVM

Veterinarian

Published on January 28th, 2019

Hello. I do not think giving it 5 days late makes a tremendous difference. You can certainly use a shampoo, that will not interfere with things, but please consider that this may be allergies & you may need to talk to your vet about additional things that can be done to help the skin. Thanks for using Petco Pet Education Center, formerly Petcoach.

Vote icon

2Pet Parents found this answer helpful

image
Have A Vet Question?

Book an appointment with the pros – our expert vets are here to help.

Sponsored