Petco Text Logo
Petco Pet Logo

My dog has a red lump on his leg. What could it be and will it spread?

Updated On September 23rd, 2025

Pet's info: Dog | Olde English Bulldogge | Male | neutered | 3 years and 8 months old | 75 lbs

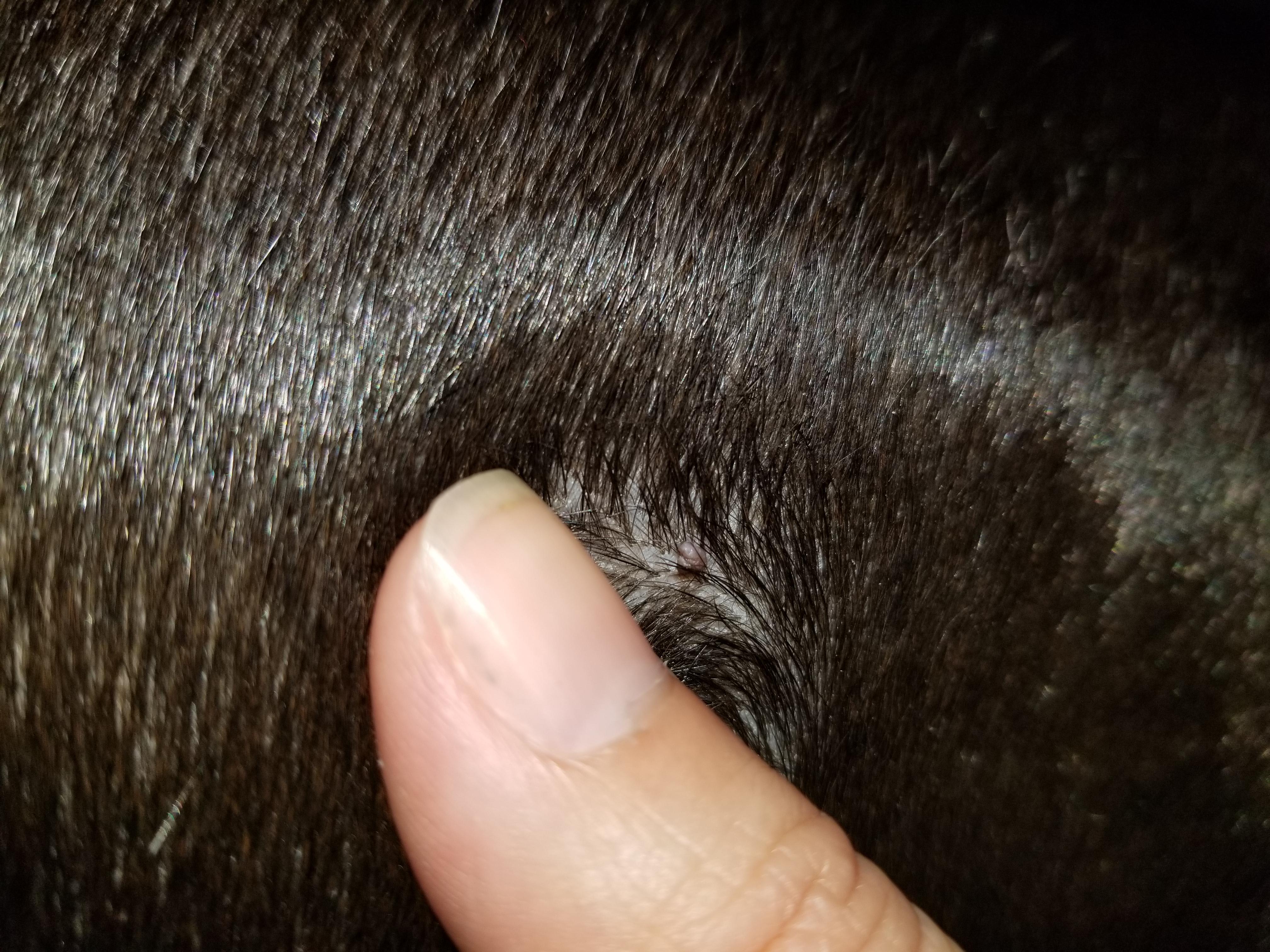
My dog has a red irritated lump on his leg. It started out as what looked like a skin tag but then it turned into a mass. Upon inspection of the sight again he has another skin tag growing near the red mass now. What is this thing and how do I prevent it from spreading

This question includes photos that may contain sensitive content. Click to view.

View more to consider that the photos may include sensitive content.

1 Answer

Most Helpful Answer

Image profile

Answered By Linda G, MS, DVM

Veterinarian

Published on January 26th, 2019

Hello. Unfortunately, there is no way to stop these small growths from occurring. Removal is curative, but small cysts & lumps, as well as skin tags, can continue to appear. It is just who Benjamin is. It is always best to have your vet take a look & monitor these growths. Some should be removed while others should be left alone. It is important to know what they are & your vet can take a small sample with a syringe & needle & examine the cells under the microscope. The ones you show do not appear to be very worrisome, but do have your vet make note on Benjamin's chart to follow their growth. Thanks for using Petco Pet Education Center, formerly Petcoach.

Vote icon

1Pet Parents found this answer helpful

image
Have A Vet Question?

Book an appointment with the pros – our expert vets are here to help.

Sponsored