Petco Text Logo
Petco Pet Logo

My dog has a growing wart on his leg. When should I see a vet?

Updated On September 23rd, 2025

Pet's info: Dog | Mixed Breed | Male | neutered | 7 years and 7 months old

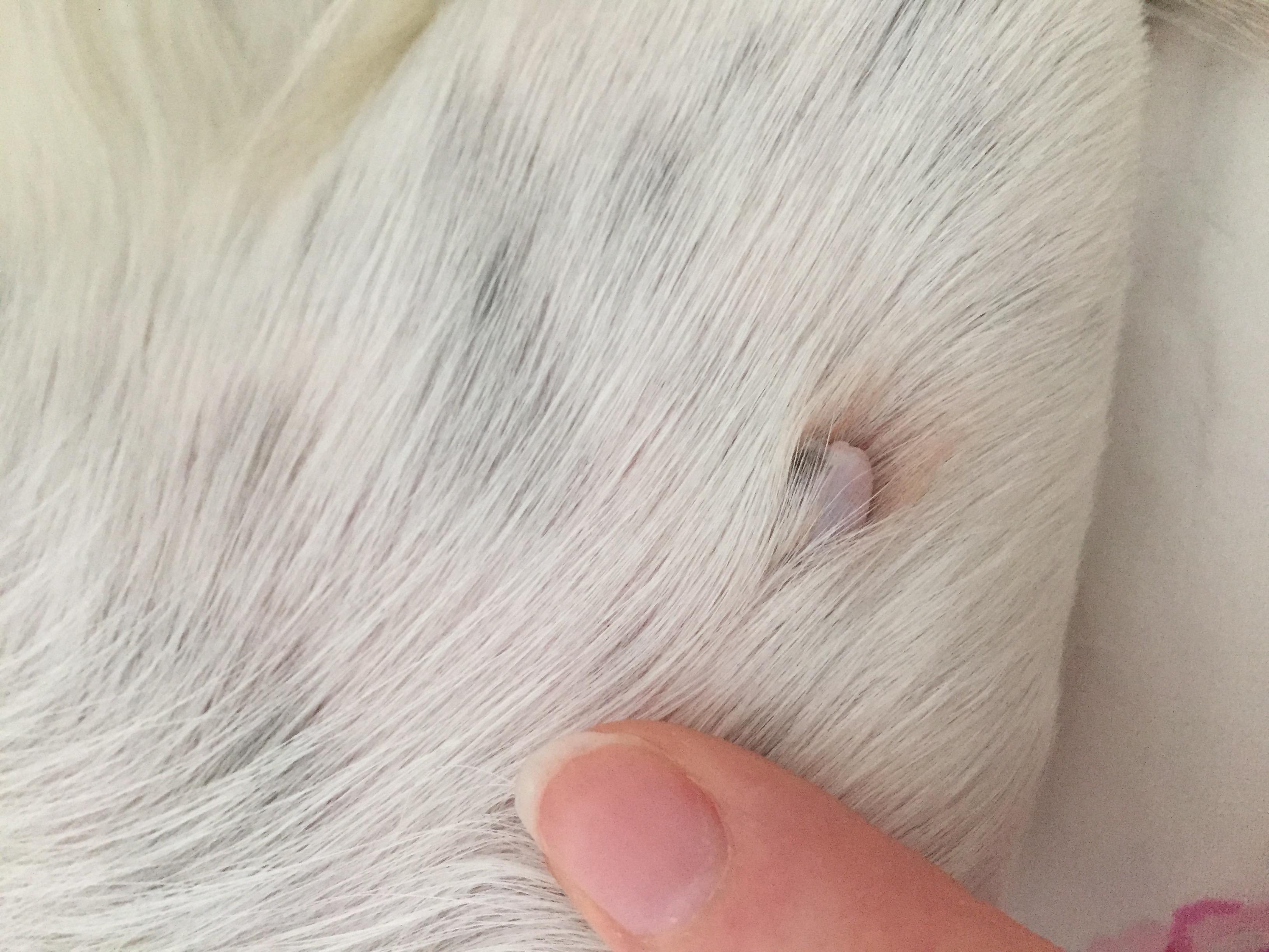
Hello, I have attached photos of my dogs leg he’s had this wart looking thing for over a year now, and has recently got bigger. Is this normal for a dog ? He’s a Sprollie and he’s 7.

This question includes photos that may contain sensitive content. Click to view.

View more to consider that the photos may include sensitive content.

1 Answer

Most Helpful Answer

Image profile

Answered By Daniela Jessen, DVM

Veterinarian

Published on January 14th, 2019

According to the pic, It looks like a possible skin tag (fibropapilloma) which harmless, some skin tags can grow a few centimeters but that's need to be confirmed by a vet on examination . that's especially important with any mass that is growing in size, appearance, or color. In addition if it is confirmed as a growing skin tag your vet may consider removal. The bottom line it will need to be checked by a vet.

Vote icon

1Pet Parents found this answer helpful

image
Have A Vet Question?

Book an appointment with the pros – our expert vets are here to help.

Sponsored