Petco Text Logo
Petco Pet Logo

Why is my indoor cat losing hair and has spots around her collar?

Updated On September 23rd, 2025

Pet's info: Cat | Mixed Breed | Female | spayed | 8 years and 5 months old | 9 lbs

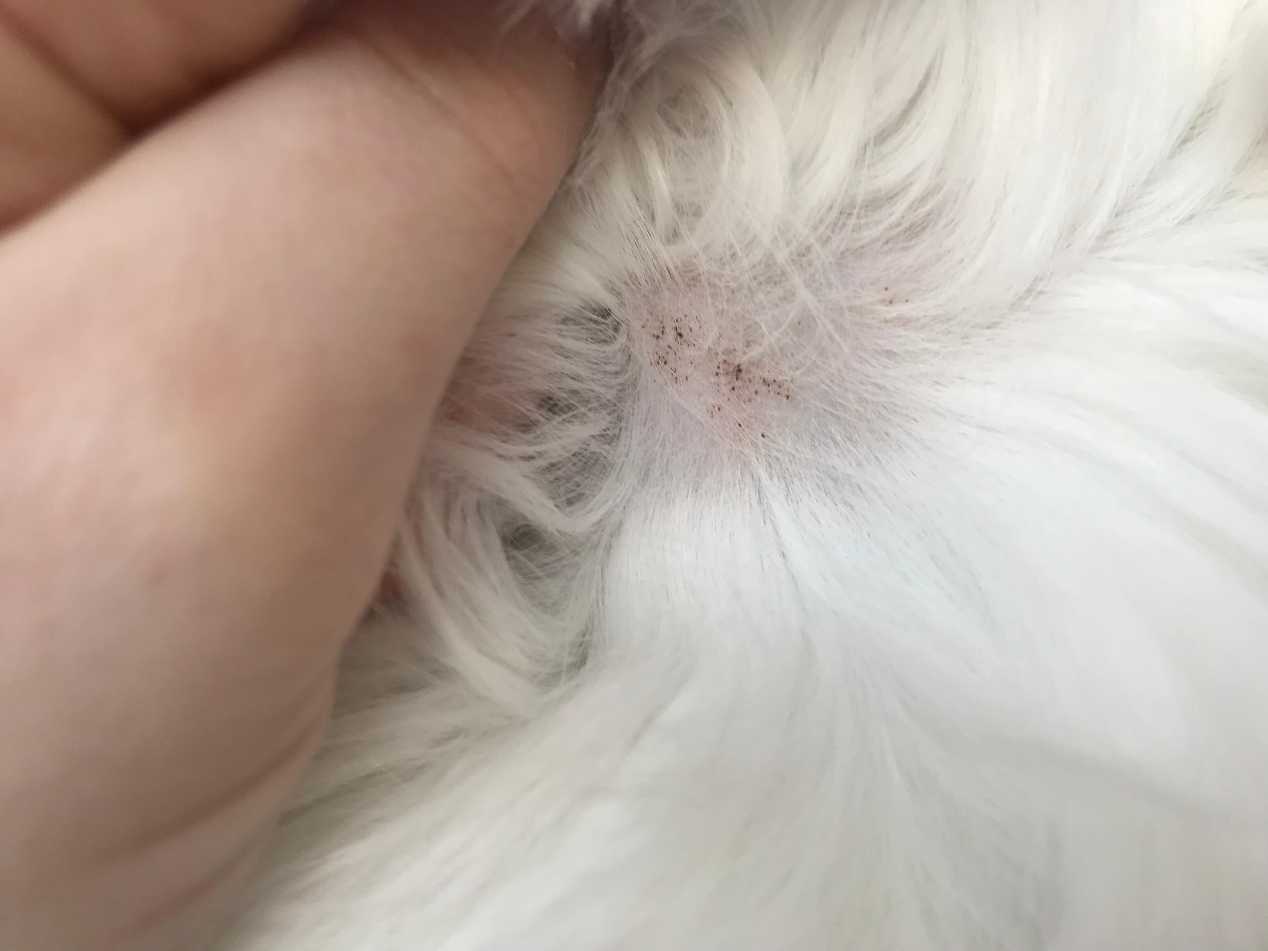
My cat has some hair loss along her bottom neck line with a little big of spots, she's an indoor cat and has never been outdoors. We live in an apartment build, she's not itching or grooming more than normal - the hair loss is only along her collar line but she's worn a collar her whole life (she's 8). I'm not suspecting mites or ringworm, could it just be worn our from the collar? The vets in Toronto are super expensive, so I'm trying to avoid going!

This question includes photos that may contain sensitive content. Click to view.

View more to consider that the photos may include sensitive content.

1 Answer

Most Helpful Answer

Image profile

Answered By Daniel Fonza, DVM

Veterinarian

Published on March 23rd, 2018

Hi there and thank you for using Petco Pet Education Center, formerly Petcoach to address your concern. From the pictures, it appears that there is "dirt" in the affected area you are referring to. This could be dry blood from a scab that was previously there or it could be what we call "flea dirt" which is dry blood from fleas. I would recommend administering a flea preventative such as Frontline and see if this helps. If the area becomes larger or multiple more areas begin to develop, I would recommend having a vet take a look at Soya so that the most appropriate diagnostic and treatment recommendations can be made. I would keep the collar off of her as well. Please let me know if you have any other questions or concerns and I would be more than happy to help you further.

Vote icon

1Pet Parents found this answer helpful

image
Have A Vet Question?

Book an appointment with the pros – our expert vets are here to help.

Sponsored