Petco Text Logo
Petco Pet Logo

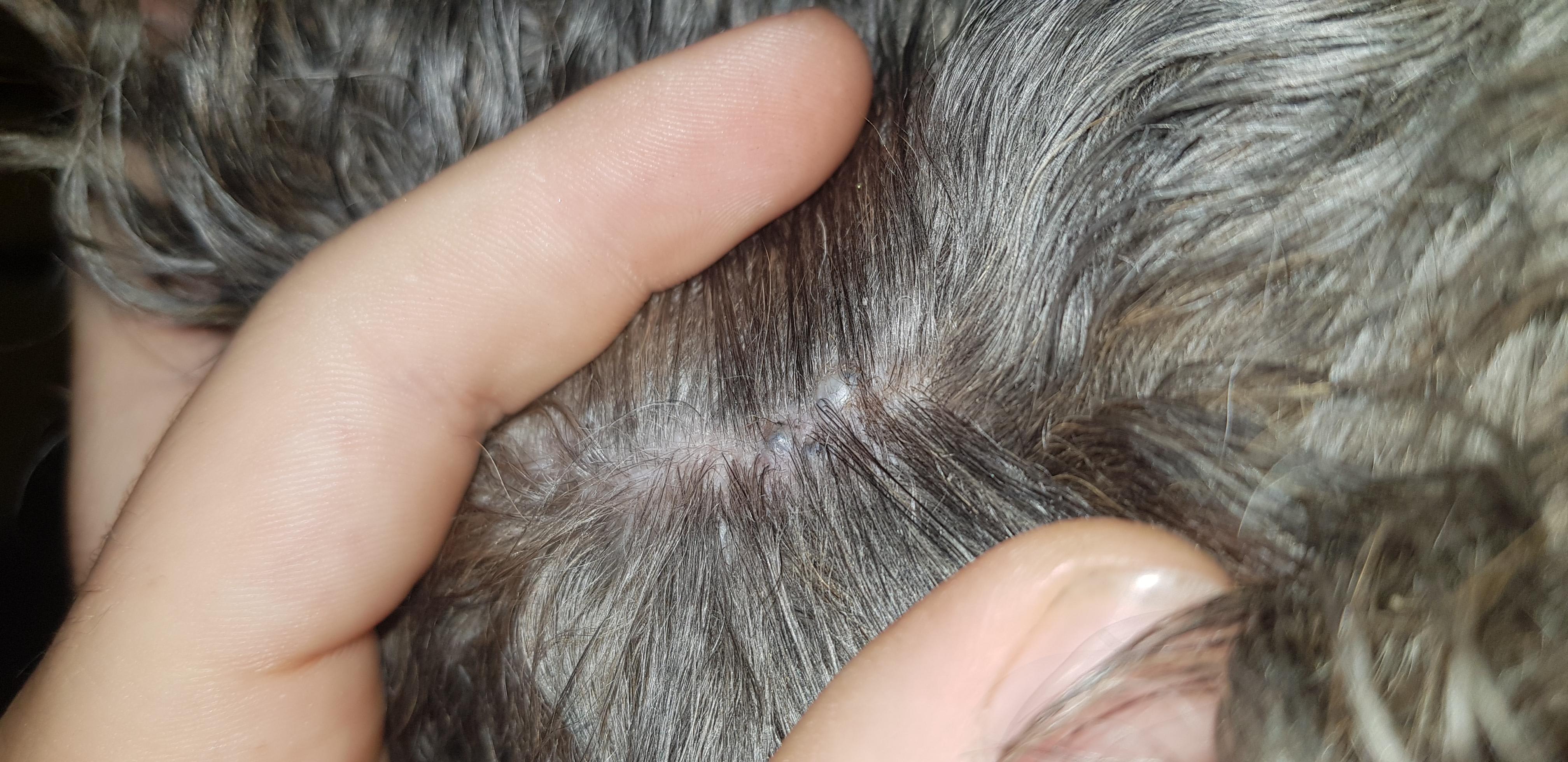
My dog has three solid neck lumps. Are they microchips or cysts?

Updated On September 23rd, 2025

Pet's info: Dog | Mixed Breed | Male | neutered | 10 years and 10 months old | 12 lbs

Hello, I have found three lumps on the back of my Chihuahua cross bichon fries neck. We mentioned it to our vet at our previous visit and he said it would probably be the microchip as there was only one lump at the time. The lumps feel quite solid and located on the lower neck. I will attach some close up images

This question includes photos that may contain sensitive content. Click to view.

View more to consider that the photos may include sensitive content.

1 Answer

Most Helpful Answer

Image profile

Answered By Dr. Strydom, DVM

Veterinarian

Published on December 26th, 2018

Those appear to be benign cysts - nothing to do with the microchip. These are very common in small breed dogs. I suggest you monitor them and if they get larger or cause him any discomfort then you should have your vet examine them. Hope this helps. Best wishes.

Vote icon

1Pet Parents found this answer helpful

image
Have A Vet Question?

Book an appointment with the pros – our expert vets are here to help.

Sponsored