Petco Text Logo
Petco Pet Logo

My dog coughs a month, breathing worse, vet says tests normal. Help!

Updated On September 23rd, 2025

Pet's info: Dog | Mixed Breed Large (61lb +) | Female | spayed | 10 years old | 80 lbs

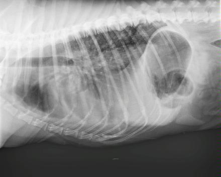
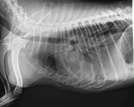
My dog has had a cough for over a month. They said her blood work and xray seem normal. I feel like her breathing is getting a bit worse. Her resting rate is about 35 bpm. She's on doxycioline which doesn't seem to be helping.

This question includes photos that may contain sensitive content. Click to view.

View more to consider that the photos may include sensitive content.

1 Answer

Most Helpful Answer

Image profile

Answered By Stacey Anstaett, DVM

Veterinarian

Published on December 25th, 2018

You might ask your veterinarian if the X-rays could be reviewed by a radiologist. While the resolution that the forum pictures allow makes them a bit difficult to interpret, I am concerned that the X-rays do not appear normal, and she may have a more serious underlying condition. It may be that she has some underlying heart disease, cancer, or an infection that requires a more broad spectrum of antibiotic. I agree the blood work you've attached is unremarkable. Was a CBC performed as well? Check back with your vet about a radiology review, and a recheck exam as well. A consult with a cardiologist may be recommended, depending on the radiologist's opinion. I'm sorry I don't have better news, or a solution to offer you to try at home, but I think you need to circle back and followup with your vet on this. Thank you for asking Petco Pet Education Center, formerly Petcoach.

Vote icon

1Pet Parents found this answer helpful

image
Have A Vet Question?

Book an appointment with the pros – our expert vets are here to help.

Sponsored