Petco Text Logo
Petco Pet Logo

My bunny hasn't pooped in a day and is lethargic. What's next?

Updated On September 23rd, 2025

Pet's info: Small Animal | Rabbit | Male | neutered | 3 years and 1 month old | 4.2 lbs

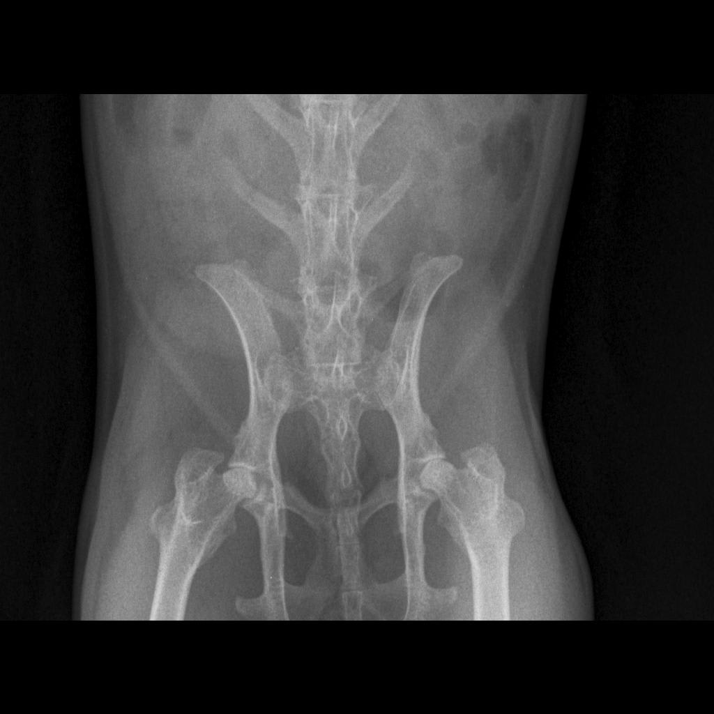
My bunny eats, but he hasn't poop for full 24h. He is lethargic, I saw him eating cecotropes, but they were dry. Yesterday, I gave him 3x simethicone 1.5ml for 3 hours, then continued 1ml for periods 3-6hr. I also gave him probiotic yr and today. Made him drink some water with apple juice and eat wet greens, but he doesn't poop. He also god flax seeds and 0.5ml virgin olive oil. Should we feed him any more, and also is it better to go give him motility drug or give him activated charcoal?

This question includes photos that may contain sensitive content. Click to view.

View more to consider that the photos may include sensitive content.

1 Answer

Most Helpful Answer

Image profile

Answered By Linda G, MS, DVM

Veterinarian

Published on December 17th, 2018

Hello. I think Moko should return to the vet for more intensive fluid therapy. I would not give charcoal as this is not indicated in this situation. If he is not producing pellets, rehydration is very critical in helping to move stool. Thanks for using Petco Pet Education Center, formerly Petcoach.

Vote icon

1Pet Parents found this answer helpful

image
Have A Vet Question?

Book an appointment with the pros – our expert vets are here to help.

Sponsored