Petco Text Logo
Petco Pet Logo

My dog has a small pink bump on her neck. Is it a harmless wart?

Updated On September 23rd, 2025

Pet's info: Dog | Mixed Breed Small (up to 22lb) | Female | 11 lbs

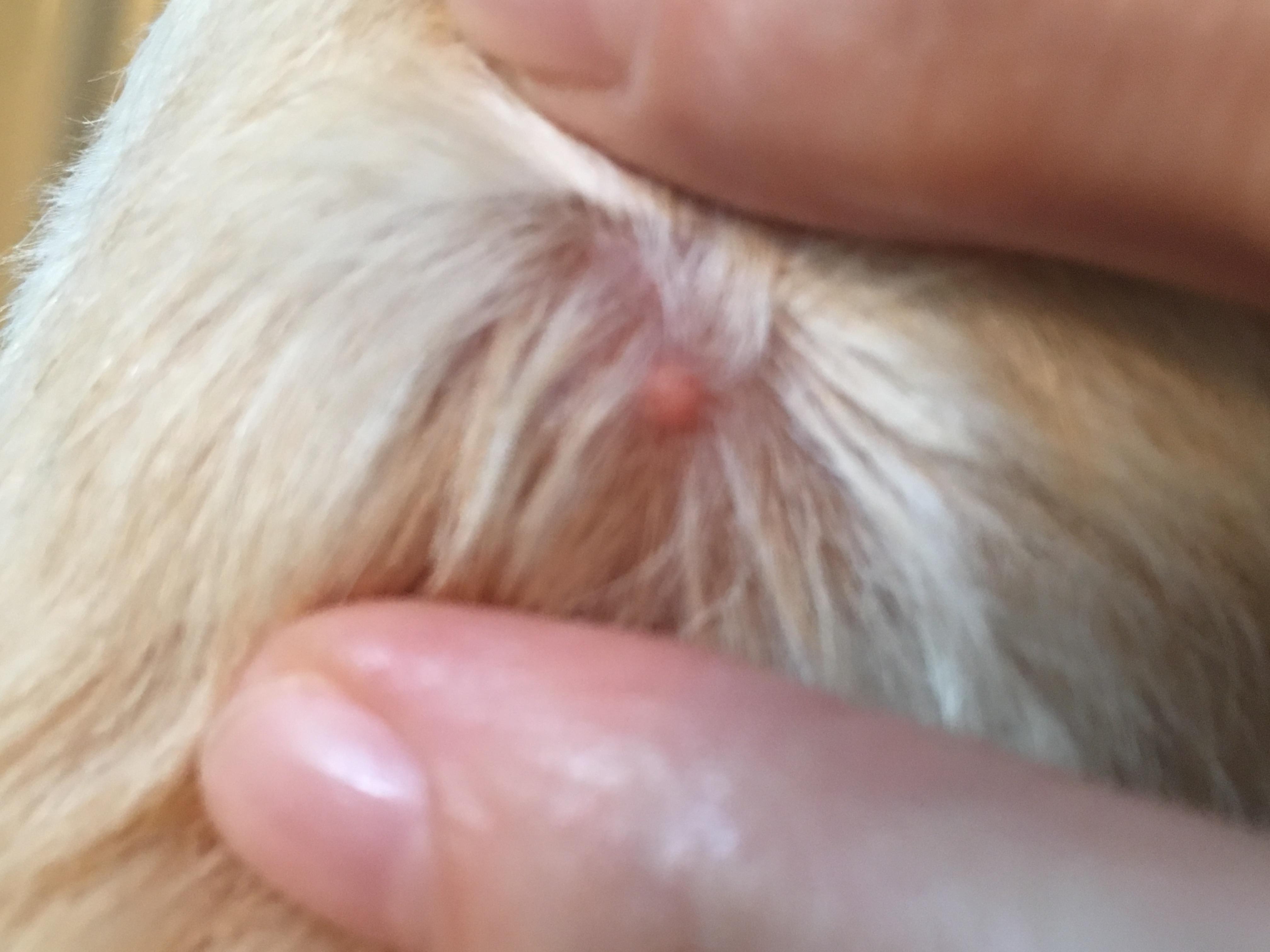
My dog has a small pink raised bump on her neck, it’s about the size of the head of a needle.. maybe a little bigger. It’s been there for a few months and hasn’t grown in size. It doesn’t seem to be bothering her. Any idea what it could be?

This question includes photos that may contain sensitive content. Click to view.

View more to consider that the photos may include sensitive content.

1 Answer

Most Helpful Answer

Image profile

Answered By Andrea M. Brodie, DVM

Veterinarian

Published on November 23rd, 2018

This is likely a harmless wart, especially since it has not changed in size or shape for many months. Continue monitoring it and if it changes in shape, size or color have your veterinarian examine it. Your vet may then want to do a fine needle aspirate (he takes some material from the bump with a needle and then looks at it under the microscope) to determine whether the mass is concerning.

Vote icon

37Pet Parents found this answer helpful

image
Have A Vet Question?

Book an appointment with the pros – our expert vets are here to help.

Sponsored