Petco Text Logo
Petco Pet Logo

My dog has flaky skin and sheds. Is it allergies, fleas, or infection?

Updated On September 23rd, 2025

Pet's info: Dog | Mixed Breed | Male | neutered | 25 lbs

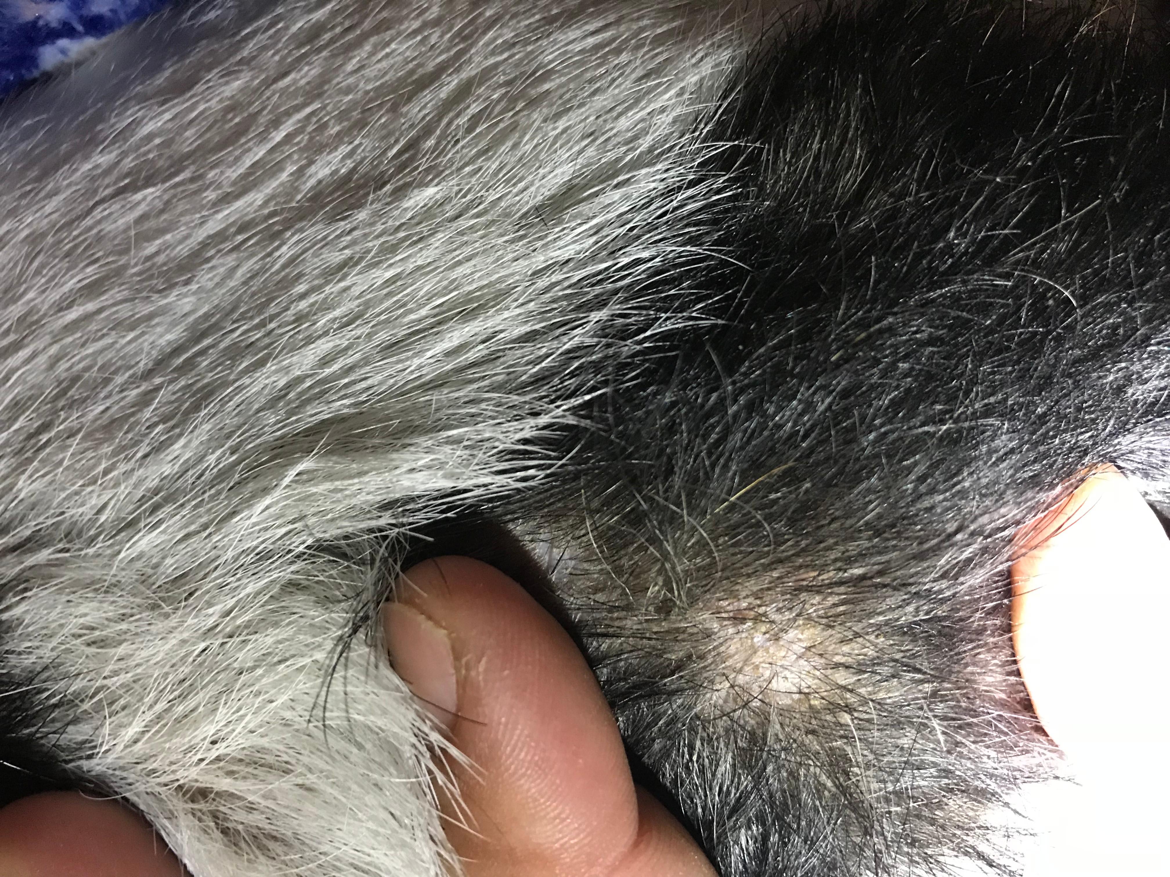
My JRT mix has environmental allergies since moving to a more rural area here in Florida. I switched his food to Nutrish Just 6 in case but now hes shedding a lot more and his skin is very flakey and nothing that he's ever had before. Does it still look like skin allergies in the picture?? Or something more serious?? It's mainly on his back close to tail and at the top of his tail in his dark fur. Was also wondering if he could be allergic to laundry fragrances too?

This question includes photos that may contain sensitive content. Click to view.

View more to consider that the photos may include sensitive content.

1 Answer

Most Helpful Answer

Image profile

Answered By Rodrigo Roca, DVM

Veterinarian

Published on October 27th, 2018

Hello, I am sorry to hear about Bentley. It is possible that Bentley is experiencing environmental allergies if he is itchy and having dry/flaky skin. Another sign of environmental allergies can be licking/ chewing on paws. If Bentley continues to itch and have skin problems medications can be added to help minimize his environmental allergies. Alternatively it is possible that Bailey is having skin problems for another reason. The areas that you describe are most commonly affected in pets that are dealing with a flea problem. If you notice any dark colored debris in those areas, this could potentially be the problem. Bentley could also have a skin infection or other problem. If he continues to itch and experience dandruff I would recommend having him evaluated by a veterinarian. They may perform skin tests such as a skin scrape or impression smear to look for infection and other abnormalities. Hope this helps, good luck!

Vote icon

1Pet Parents found this answer helpful

image
Have A Vet Question?

Book an appointment with the pros – our expert vets are here to help.

Sponsored