Petco Text Logo
Petco Pet Logo

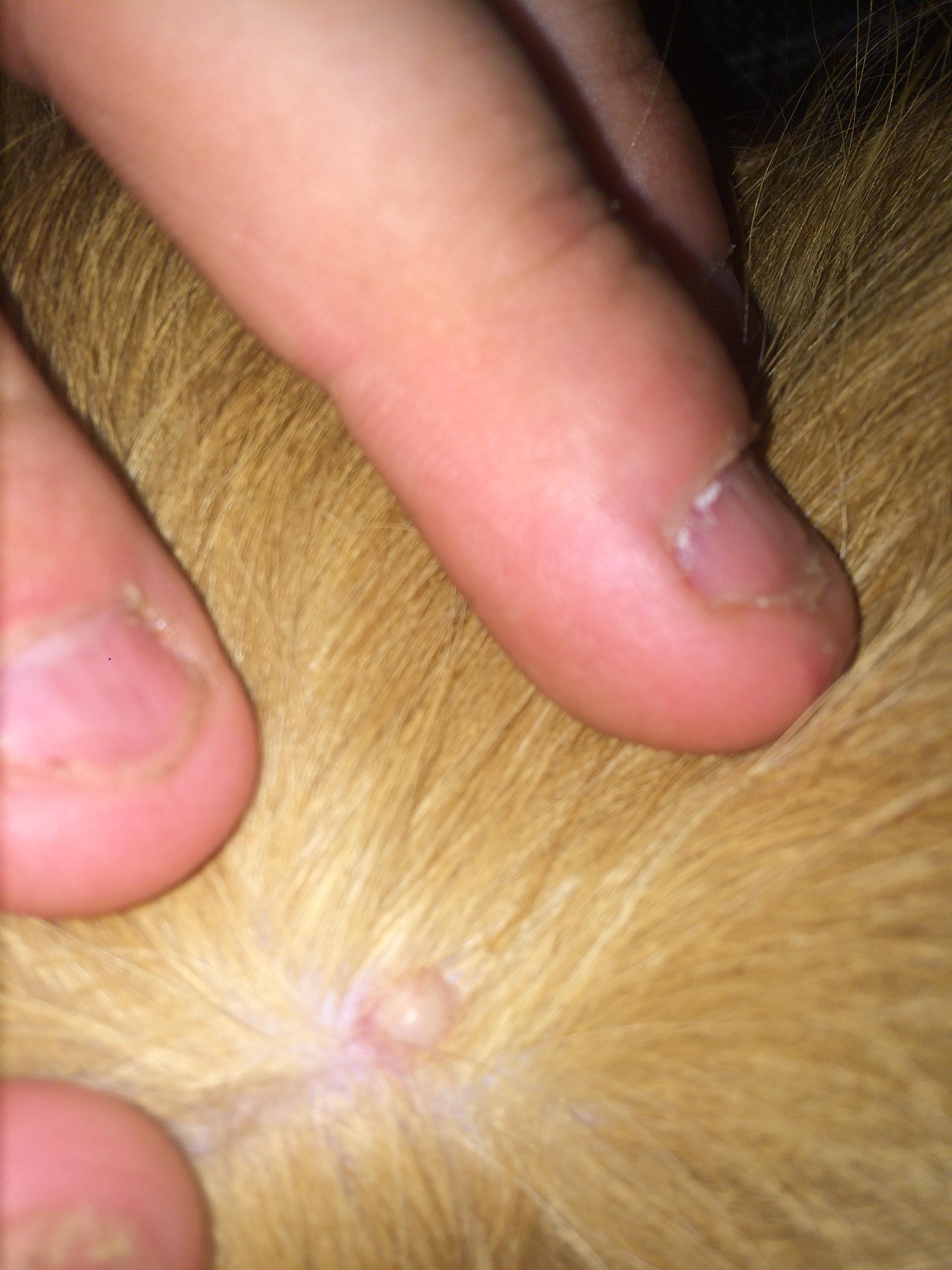
What's this hard white lump on my dog's head, size of a pinky nail?

Updated On September 23rd, 2025

Pet's info: Dog | Mixed Breed Medium (23 - 60lb) | Female | unspayed | 5 years and 10 months old | 65 lbs

I was petting my 5 year old female dog and i found a hard small white lump on the back of her head. Im not sure what it could be. its about the size of my pinky nail.

This question includes photos that may contain sensitive content. Click to view.

View more to consider that the photos may include sensitive content.

1 Answer

Most Helpful Answer

Image profile

Answered By Maria DVM

Veterinarian

Published on October 22nd, 2018

It looks almost like a cyst. I would recommend monitoring it and if it gets larger or she is uncomfortable discussing this with your veterinarian. To know definitively what it is you would need either an aspirate or a biopsy of the growth. Thank you for using Petco Pet Education Center, formerly Petcoach.

Vote icon

28Pet Parents found this answer helpful

image
Have A Vet Question?

Book an appointment with the pros – our expert vets are here to help.

Sponsored