Petco Text Logo
Petco Pet Logo

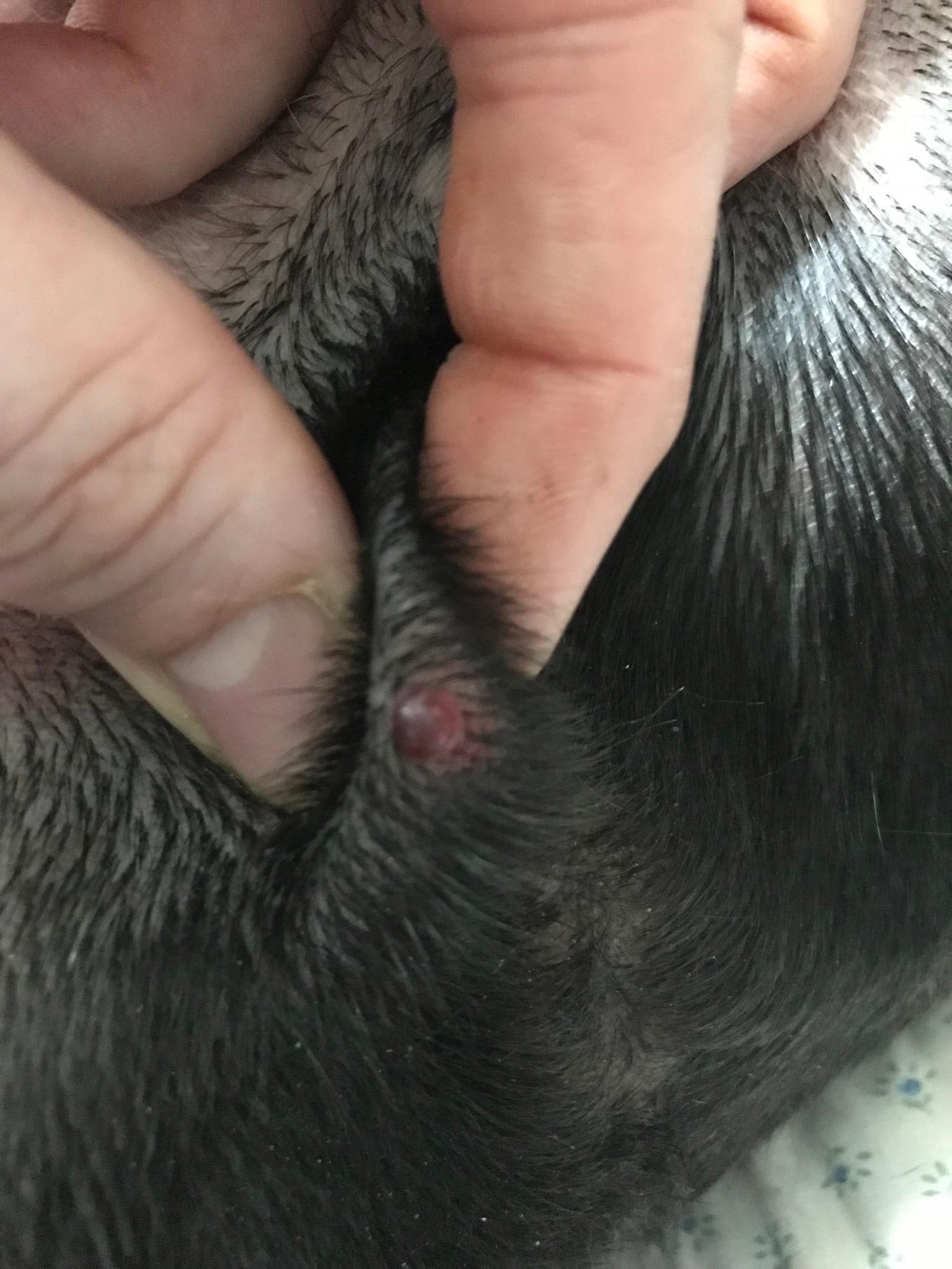
My dog has a raised reddish lump on his foreskin area. What is it?

Updated On September 23rd, 2025

Pet's info: Dog | Boxer | Male | neutered | 70 lbs

Found a raised reddish lump on dogs foreskin area

This question includes photos that may contain sensitive content. Click to view.

View more to consider that the photos may include sensitive content.

1 Answer

Most Helpful Answer

Image profile

Answered By Ann Dion, DVM

Veterinarian

Published on October 20th, 2018

Hello and welcome to Petco Pet Education Center, formerly Petcoach. Thank you for the picture, that is more helpful. The lump doesn't look infected or like a wound, however these are still possible. The lump looks like it could be a bit of a blocked gland, a cyst, an abnormal wart, or a tumor is always possible as well as some tumors, especially Mast Cell tumors, can look like anything. I would recommend monitoring it for now, if it is bleeding, growing (or growing and shrinking), bothering Bogart (he is chewing/scratching at it), or if there is any discharge, then I would get it checked right away. Otherwise, I would wait a few weeks and see if it goes away on it's own. If it doesn't go away in a few weeks, then I would recommend having it removed by your vet and sent away for histopathology. Your vet might do an "FNA" (fine needle aspirate) prior to removing it to determine what it is. Best of luck with Bogart!

Vote icon

3Pet Parents found this answer helpful

image
Have A Vet Question?

Book an appointment with the pros – our expert vets are here to help.

Sponsored