Petco Text Logo
Petco Pet Logo

My dog ate a bone, had diarrhea, normal, no poop. Should I worry?

Updated On September 23rd, 2025

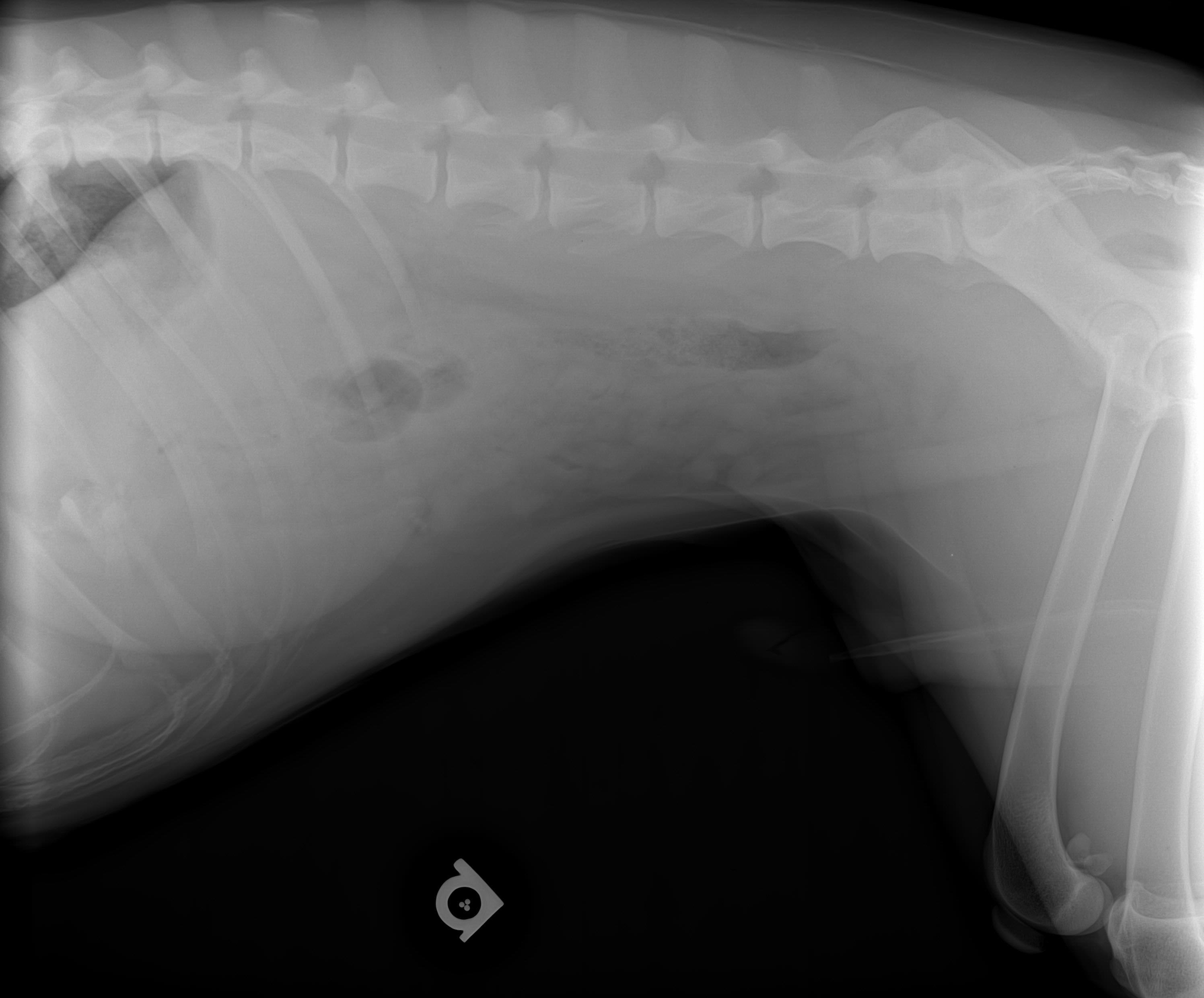
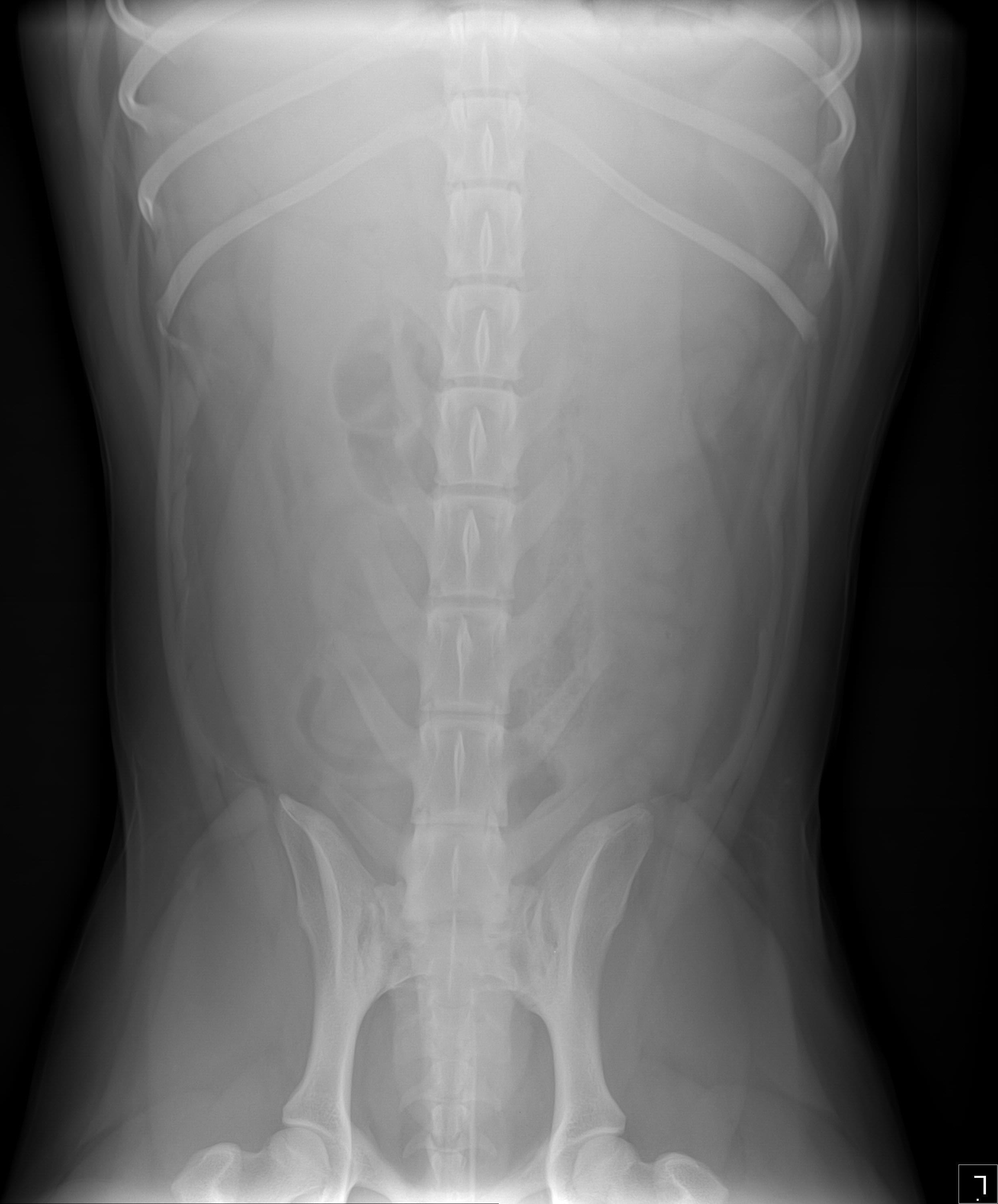
Friday Kyro swallowed big bone off street. Sat & Sun lot of Diarrhea & some vomiting. Sun an Emergency Vet took X ray. Emergency Vet saw piece in stomach. Prescribed Metronidazole & Famotidine, suggested 1/4 cup of rice & 1/4 cup of chicken as feedings which I did a few. Today my Vet said NO rice but feed chicken, pumpkin and peas. My Vet did NOT see bone in stomach. Sunday only slight water as bowl movements. Today no bowl movements. Kyro eating & acting normal. No extended stomach or delicate

This question includes photos that may contain sensitive content. Click to view.

View more to consider that the photos may include sensitive content.

1 Answer

Most Helpful Answer

Image profile

Answered By Jenna Beyer, DVM, MBA, cVMA

Veterinarian, Certified Veterinary Acupuncturist

Published on October 15th, 2018

Bones can dissolve in the stomach with enough time. It sounds like Kyro had a bout of pancreatitis that caused the vomiting and diarrhea. If Kyro is now acting normal, I would continue to feed the bland diet and see what happens. It may take a day or two for there to be enough food ingested to create solid poop. If he stops eating, starts vomiting again, or seems lethargic, he should be re-examined by a vet.

Vote icon

1Pet Parents found this answer helpful

image
Have A Vet Question?

Book an appointment with the pros – our expert vets are here to help.

Sponsored