Petco Text Logo
Petco Pet Logo

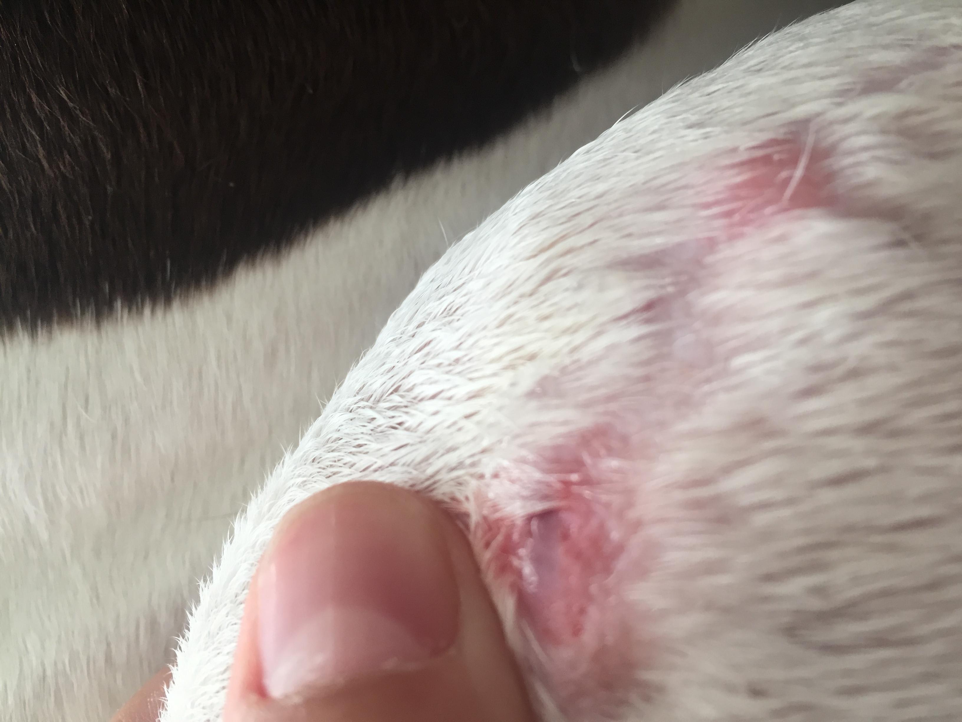
Dog's ACL surgery scar has red bumps and pus. Why isn't it healing?

Updated On September 23rd, 2025

Pet's info: Dog | Mixed Breed Large (61lb +) | Female | spayed | 63 lbs

My dog had ACL surgery 3 months ago. Her scar is healed but she has been licking it and gets these red bumps with pus in them. Shouldn't this be healed by now? Her incision is healed but these are on top of the scar. We have been putting iodine and Neosporin on it. They don't seem to go away. She has already been treated twice for a bacterial infection in her scar but that was before it was fully healed. What can we do?

This question includes photos that may contain sensitive content. Click to view.

View more to consider that the photos may include sensitive content.

1 Answer

Most Helpful Answer

Image profile

Answered By Andrea M. Brodie, DVM

Veterinarian

Published on October 4th, 2018

One of the main problems here is that your dog is licking the incision. The licking causes microscopically small injuries into which your dog licks bacteria. These bacteria cause infection and pus to form. so it is important to keep the dog from licking by preferably putting an e-collar on Kat until the incision is completely healed. If your dog keeps licking even after it is healed then you need to take Kat to your vet for a recheck as there may be pain or irritation that entices Kat to lick.

Vote icon

3Pet Parents found this answer helpful

image
Have A Vet Question?

Book an appointment with the pros – our expert vets are here to help.

Sponsored