Petco Text Logo
Petco Pet Logo

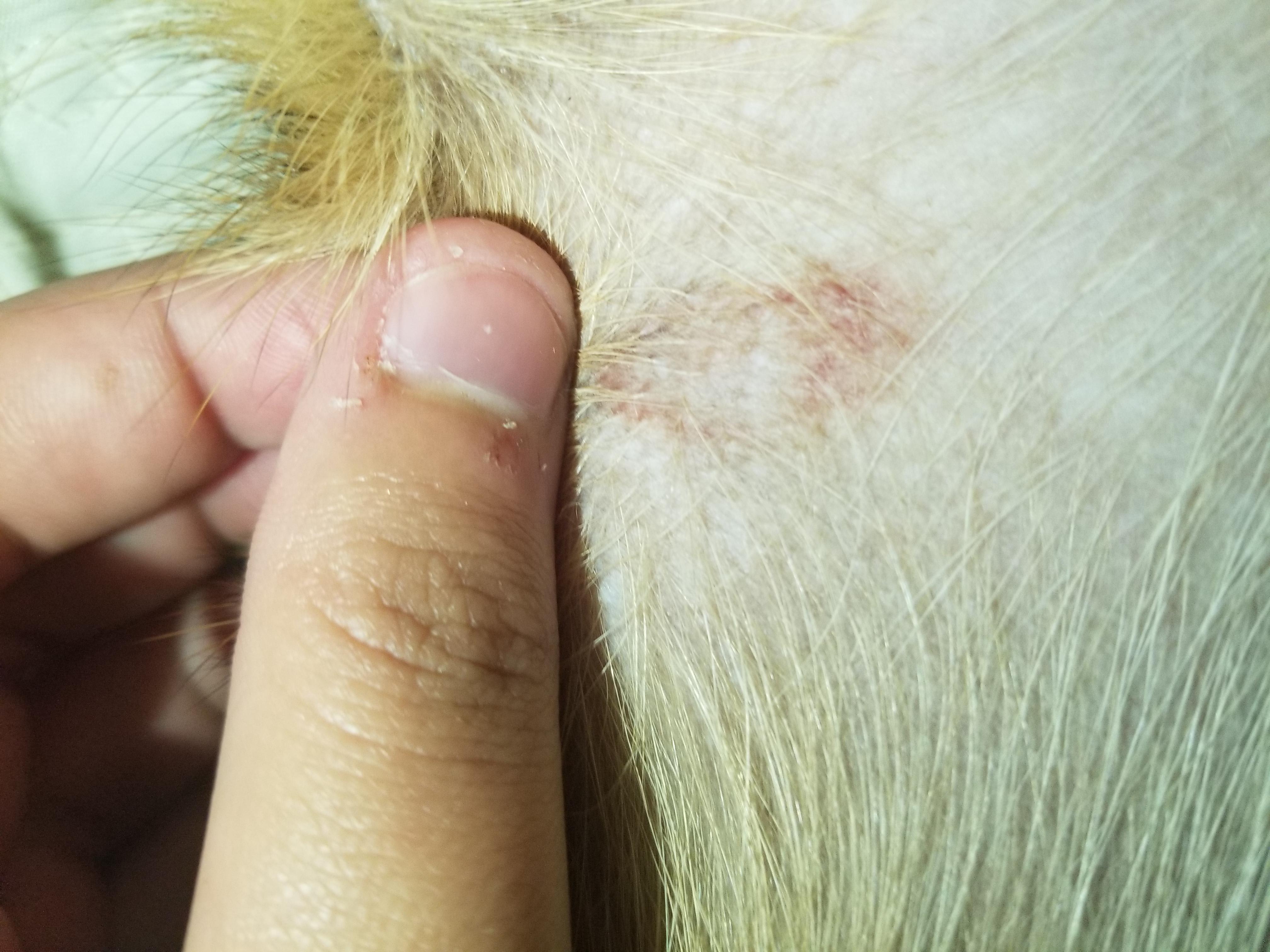
What's this fading spot on my dog? Ringworm, tick, or fly bite?

Updated On September 23rd, 2025

Pet's info: Dog | Belgian Malinois | Male | neutered | 5 months and 27 days old | 50 lbs

Ringworm, tick bite or possibly fly bite, it just appeared over night and seem to be fading.

This question includes photos that may contain sensitive content. Click to view.

View more to consider that the photos may include sensitive content.

1 Answer

Most Helpful Answer

Image profile

Answered By Andrea M. Brodie, DVM

Veterinarian

Published on September 29th, 2018

There is no way to diagnose this via a photo, I am afraid. Only a hands-on exam in combination with a brush sample or a swab can help identify whether this is a fungal or bacterial lesion or a sting or bite. I would observe it over the weekend, and should it increase in size, start to ooze or change in appearance other than fade, you should have a veterinarian examine this lesion. there is no one treatment for all these causes. Do not put any ointment on it , just observe it.

Vote icon

1Pet Parents found this answer helpful

image
Have A Vet Question?

Book an appointment with the pros – our expert vets are here to help.

Sponsored