Petco Text Logo
Petco Pet Logo

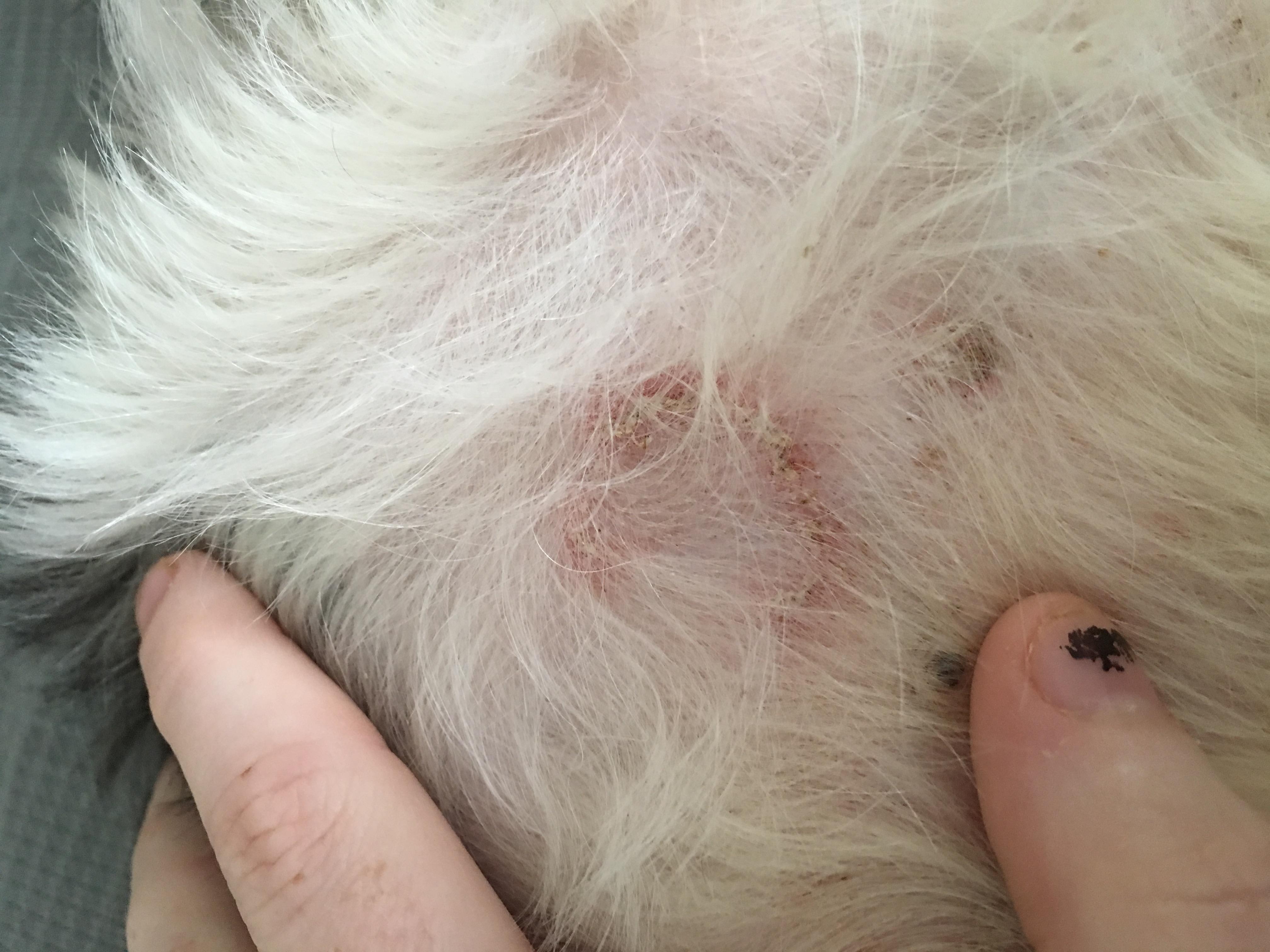
My dog has a full body rash. Could it be ringworm? Can I treat it OTC?

Updated On September 23rd, 2025

Pet's info: Dog | Shih Tzu | Female | spayed | 9 years and 7 months old | 18 lbs

Does this look like it could be ringworm and can it be treated over the counter? It’s all over her body

This question includes photos that may contain sensitive content. Click to view.

View more to consider that the photos may include sensitive content.

1 Answer

Most Helpful Answer

Image profile

Answered By Ricardo Fernandez, DVM

Veterinarian, Veterinary Oncology Resident

Published on September 17th, 2018

Thanks for using Petco Pet Education Center, formerly Petcoach! This looks like a skin infection. Although in theory possible, ringworm seems unlikely. You can try to use a medicated shampoo containing chlorhexidine twice weekly for 2 weeks. If there is no improvement or in the meantime this appears to be getting worse, have her evaluated by a veterinarian for further assessment and treatment. Good luck and have a good day!

Vote icon

6Pet Parents found this answer helpful

image
Have A Vet Question?

Book an appointment with the pros – our expert vets are here to help.

Sponsored