Petco Text Logo
Petco Pet Logo

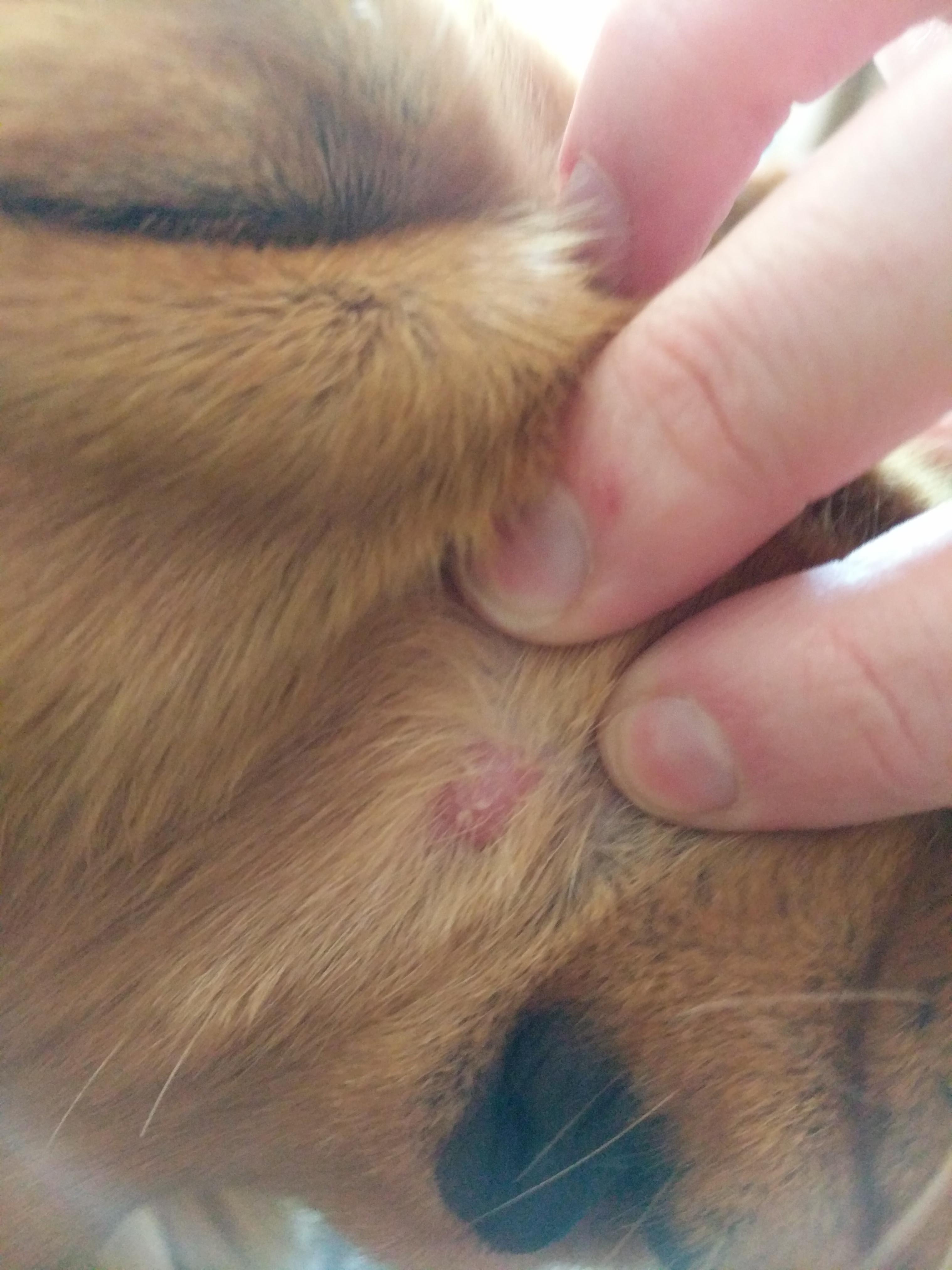
My golden has a hairless spot on her face. Could it be a dog bite?

Updated On September 23rd, 2025

Pet's info: Dog | Golden Retriever | Female | unspayed | 1 year and 8 months old | 60 lbs

1.5 year old female golden retriever. Just noticed a hairless mole/lump/scar on the right side of her face below her whiskers towards the end of her mouth... Could it be from my other golden maybe biting her too hard when they play

This question includes photos that may contain sensitive content. Click to view.

View more to consider that the photos may include sensitive content.

1 Answer

Most Helpful Answer

Image profile

Answered By Daniel Fonza, DVM

Veterinarian

Published on August 23rd, 2018

It does not appear to be a wound, just an area of irritation and hair loss. This could be the start of a skin infection in this area that may have been caused by a bite from the other dog. I would recommend applying a antibiotic ointment such as Sentry Wound Ointment (can be found at PetCo) and apply twice daily for 5-7 days. If the area becomes bigger or new lesions develop, I would recommend having Penelope examined by a veterinarian so that the most appropriate diagnostic and treatment recommendations can be made. I hope this helps guide you in the right direction! Please let me know if you have any further questions or concerns and I would be more than happy to help you further.

Vote icon

1Pet Parents found this answer helpful

image
Have A Vet Question?

Book an appointment with the pros – our expert vets are here to help.

Sponsored