Petco Text Logo
Petco Pet Logo

My dog has a small leg wound. Is it an emergency or can it wait?

Updated On September 23rd, 2025

Pet's info: Dog | Mixed Breed Medium (23 - 60lb) | Male | neutered | 8 years and 7 months old | 45 lbs

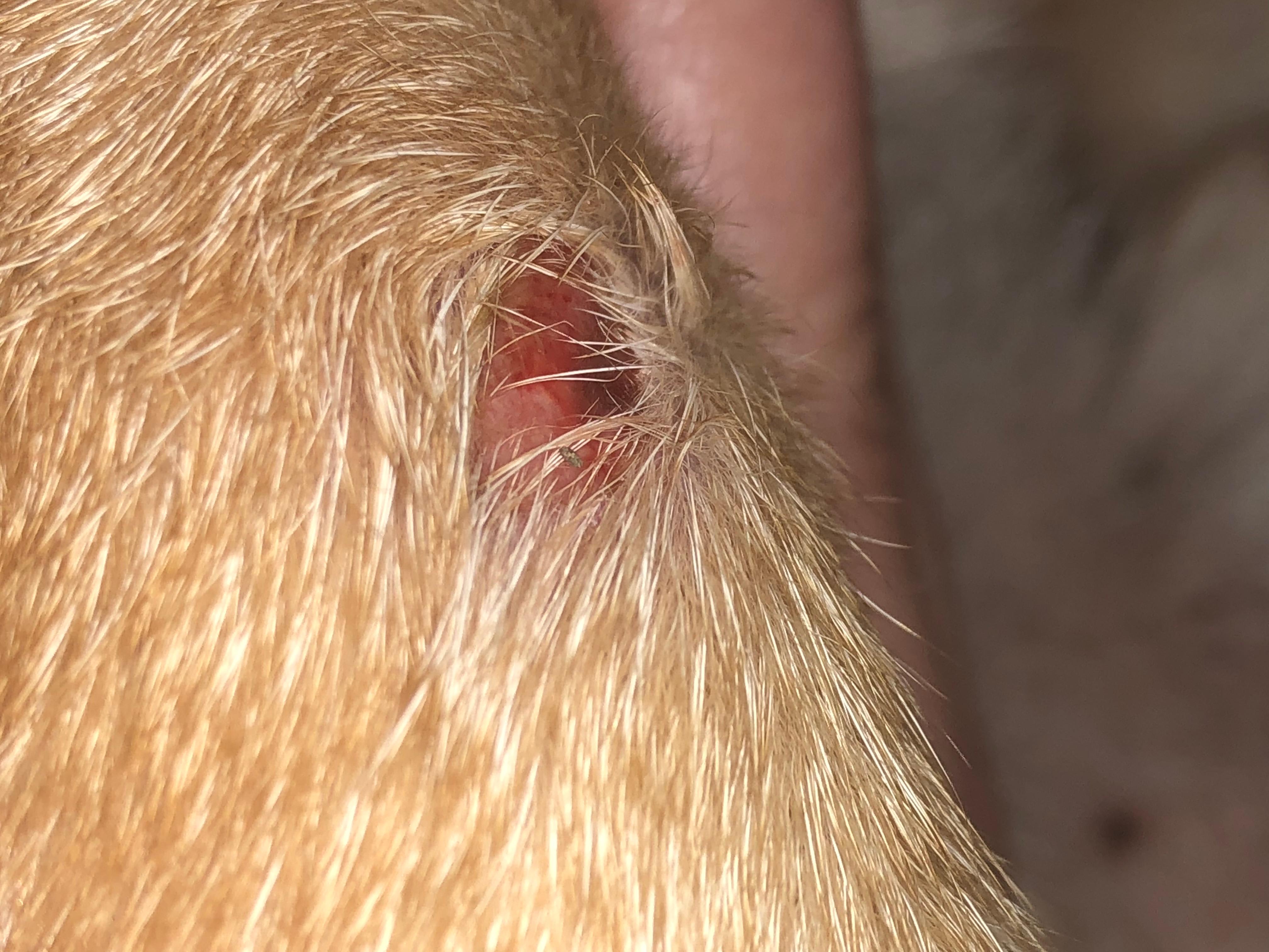
My 8 year old Shepherd mix has a small hold or wound on his back right leg. It’s about the size of a q-tip head and about 1/8” deep. Is this an emergency or something that can wait until next Friday?

This question includes photos that may contain sensitive content. Click to view.

View more to consider that the photos may include sensitive content.

1 Answer

Most Helpful Answer

Image profile

Answered By Dr. Strydom, DVM

Veterinarian

Published on August 18th, 2018

It is hard to tell the depth of wound from the photo. If the wound is very deep I would say you need to get Brock seen by a veterinarian as soon as possible. If it is not deep, then you can just keep it clean and apply some Neosporin (or similar product) to it twice a day until you can get him to the vet. Don't use hydrogen peroxide on it. Just use a mild, gentle soap. Hope this helps. Best wishes.

Vote icon

1Pet Parents found this answer helpful

image
Have A Vet Question?

Book an appointment with the pros – our expert vets are here to help.

Sponsored