Petco Text Logo
Petco Pet Logo

Why does my outdoor cat keep getting wounds? Is it cat fights?

Updated On September 23rd, 2025

Pet's info: Cat | Mixed Breed | Male | unneutered

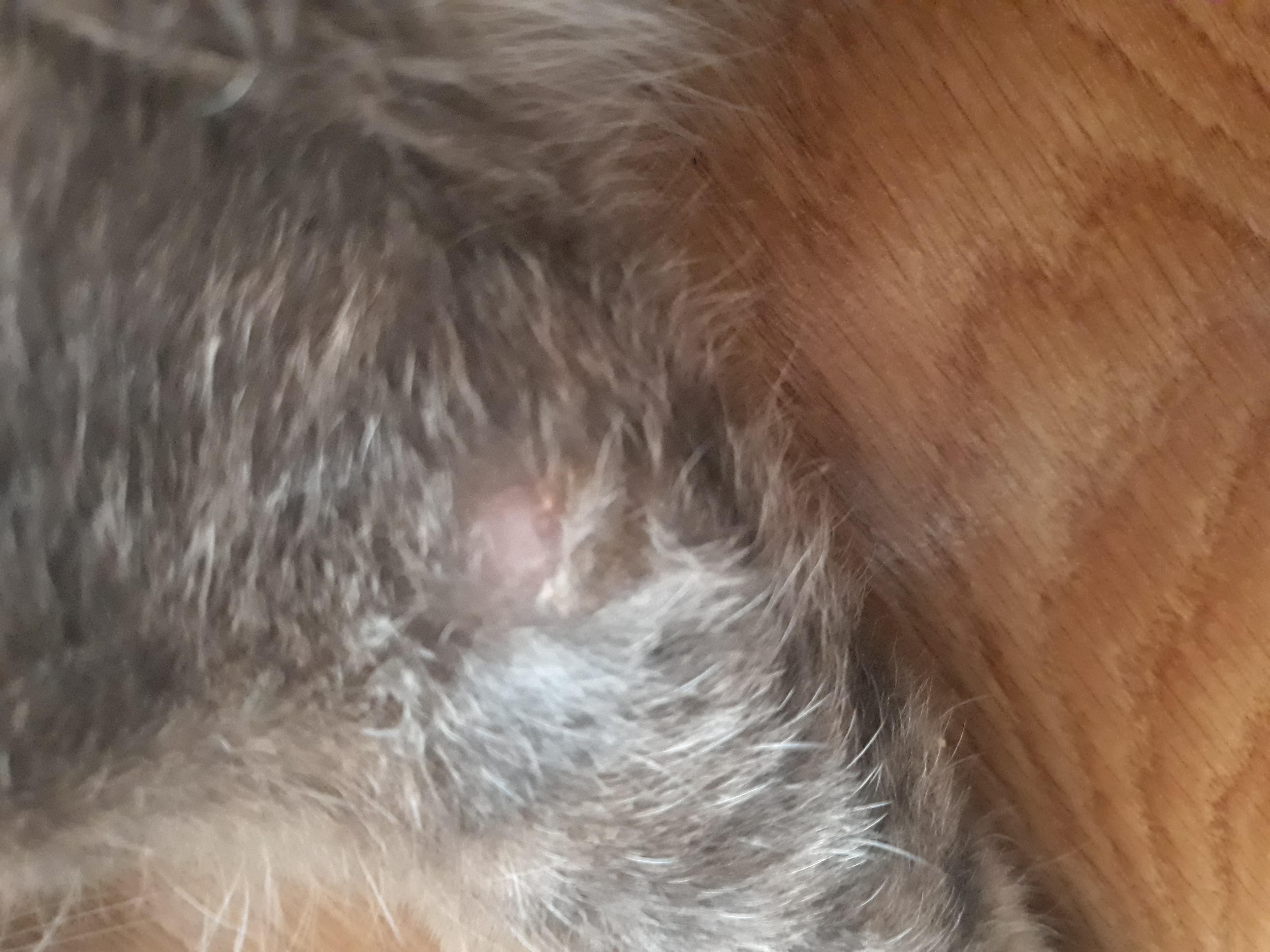
Hi, I recently noticed that my cat got these wounds and I don't know where from. He is an outdoor cat. At first there was just one wound, then the second appeared a few days later. I'm beginning to notice another one on his shoulder blade. This is what it looks like. Is it just because of cat fights or is there more to it? Thank you!

This question includes photos that may contain sensitive content. Click to view.

View more to consider that the photos may include sensitive content.

1 Answer

Most Helpful Answer

Image profile

Answered By Andrea M. Brodie, DVM

Veterinarian

Published on July 29th, 2018

These could indeed be fight and bite wounds. Usually they heal by themselves, however sometimes they turn into abscesses which would need to be addressed. Check for swelling, pain , fluctuation, fever, pussy discharge. If any of this occurs, take Sivko to a veterinarian for an exam.

Vote icon

1Pet Parents found this answer helpful

image
Have A Vet Question?

Book an appointment with the pros – our expert vets are here to help.

Sponsored