Petco Text Logo
Petco Pet Logo

My dog has tiny bumps on his skin. When should I see a vet?

Updated On September 23rd, 2025

Pet's info: Dog | Yorkshire Terrier | Male | 1 year and 7 months old | 6.3 lbs

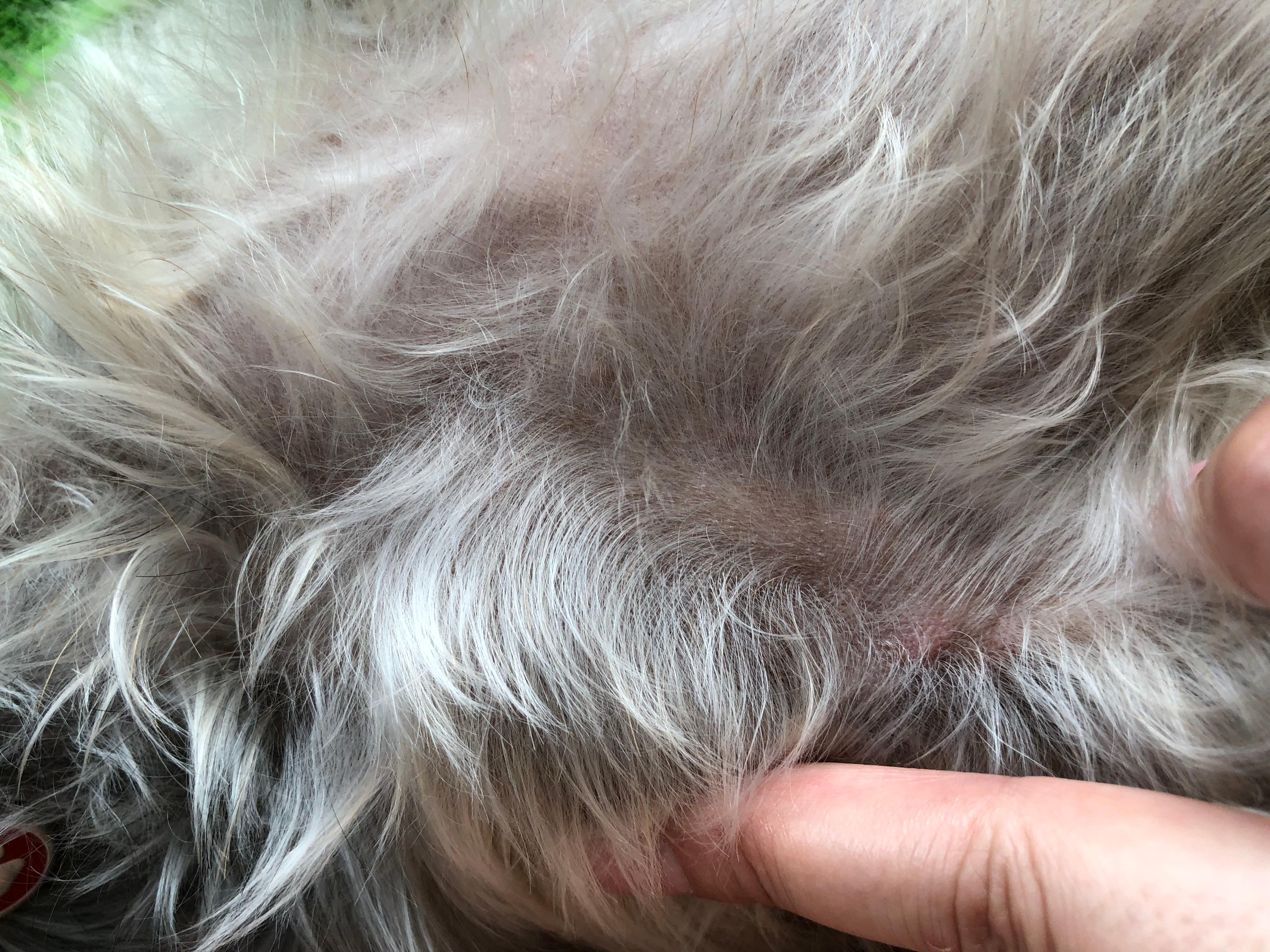
a little bumps came on the dog’s skin, could you tell me what is that?

This question includes photos that may contain sensitive content. Click to view.

View more to consider that the photos may include sensitive content.

1 Answer

Most Helpful Answer

Image profile

Answered By David Elbeze, DVM, MRCVS

Veterinarian

Published on July 16th, 2018

This is very tiny and probably nothing but i can't tell you what it is at this point and without testing it. monitor it over several weeks, if it continues growing take him to the vet in order to get it checked.

Vote icon

1Pet Parents found this answer helpful

image
Have A Vet Question?

Book an appointment with the pros – our expert vets are here to help.

Sponsored