Petco Text Logo
Petco Pet Logo

Why does my dog have itchy red spots and bumps on his paws and legs?

Updated On September 23rd, 2025

Pet's info: Dog | Poodle | Male | neutered | 3 years and 11 months old | 12 lbs

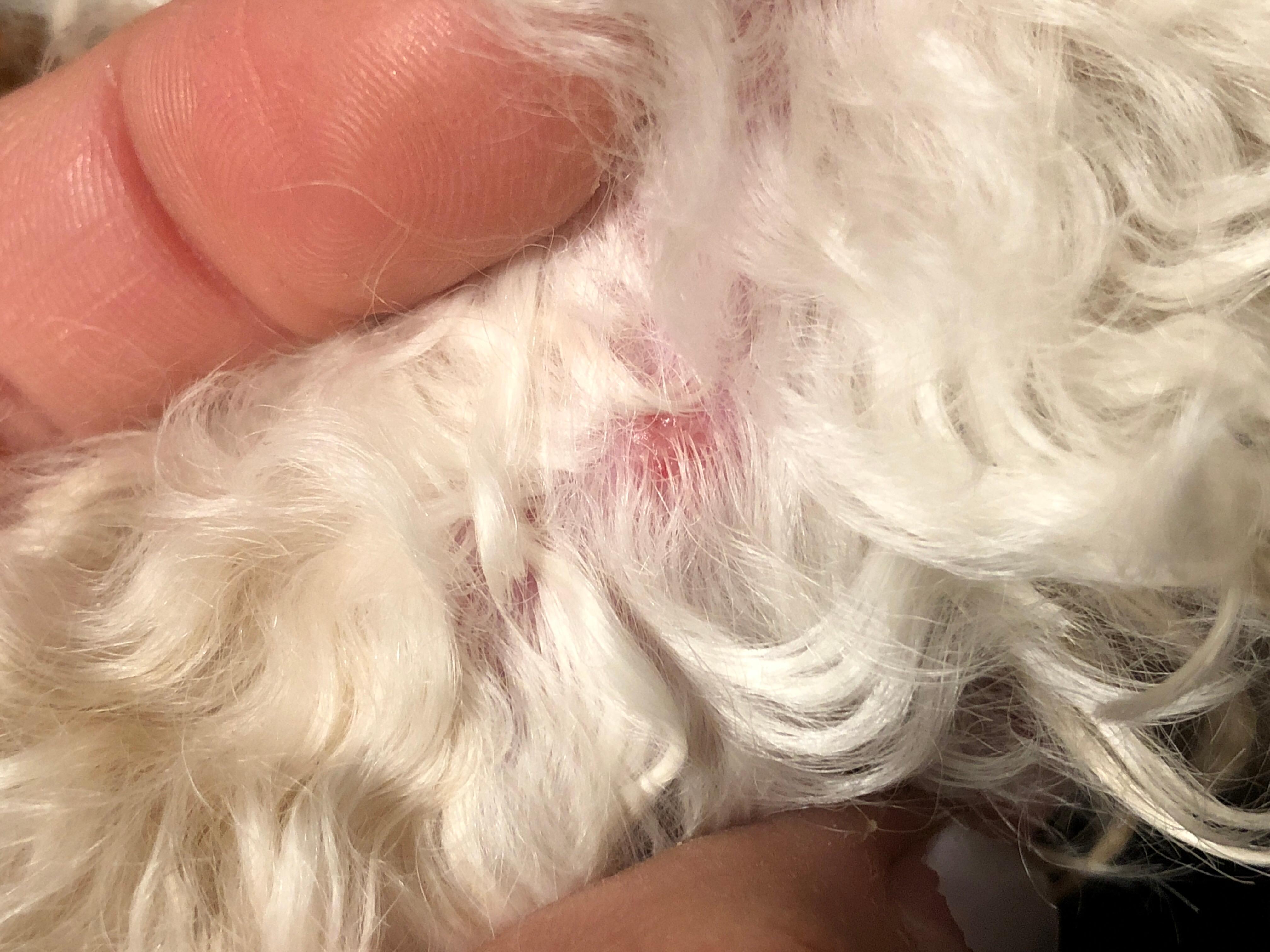
My dog has little red spots on the front side of his paws and up the leg. It’s itchy and has raised bumps you can feel under the skin. What could be the cause?

This question includes photos that may contain sensitive content. Click to view.

View more to consider that the photos may include sensitive content.

2 Answers

Most Helpful Answer

Image profile

Answered By Rodrigo Roca, DVM

Veterinarian

Published on June 27th, 2018

Hello, sorry to hear about Ginsber. It looks like he could have allergies. This is particularly suspicious because majority of the spots are on his legs which may be exposer to grasses and other environmental allergens. However, the other potential cause for this could be flea bites and flea allergy dermatitis. Please make sure that Ginsber has adequate flea control year round. You can also wipe him down with skin sensitive baby wipes each day after coming in from being outdoors to decrease his allergen exposure. If he is scratching and licking, he may need allergy medications which can be prescribed by your veterinarian. Hope this helps and best of luck.

Vote icon

8Pet Parents found this answer helpful

Other Answers

  • Published on October 27th, 2018

    This is probably due to an allergy, although it could also be infection or mites. First of all, in order to rule out skin parasites, you will need to treat with a high quality flea treatment, then ask the vet to perform a skin scrape - this might reveal an infection or a mite infestation. If all of those came back negative, the next step is to treat the allergy symptomatically and try to discover the cause of the allergy. Three main type of allergies are usually affecting pets: food allergies, flea and parasite related ones and environmental type (allergens coming from trees, pollens, dust etc etc). Some medications can be given by the vet in order to repair any possible skin lesions (like steroids and antibiotics). Hope this answer was helpful, but please do not hesitate to contact us again on the forum or by requesting a consultation if you have any more questions or to discuss it any further.

    Vote icon

    1Pet Parents found this answer helpful

See More Answers
image
Have A Vet Question?

Book an appointment with the pros – our expert vets are here to help.

Sponsored