Petco Text Logo
Petco Pet Logo

My dog has brown tacky specks on his belly fur. Is it yeast?

Updated On September 23rd, 2025

Pet's info: Dog | Shih Tzu | Male | neutered | 1 year and 10 months old | 17 lbs

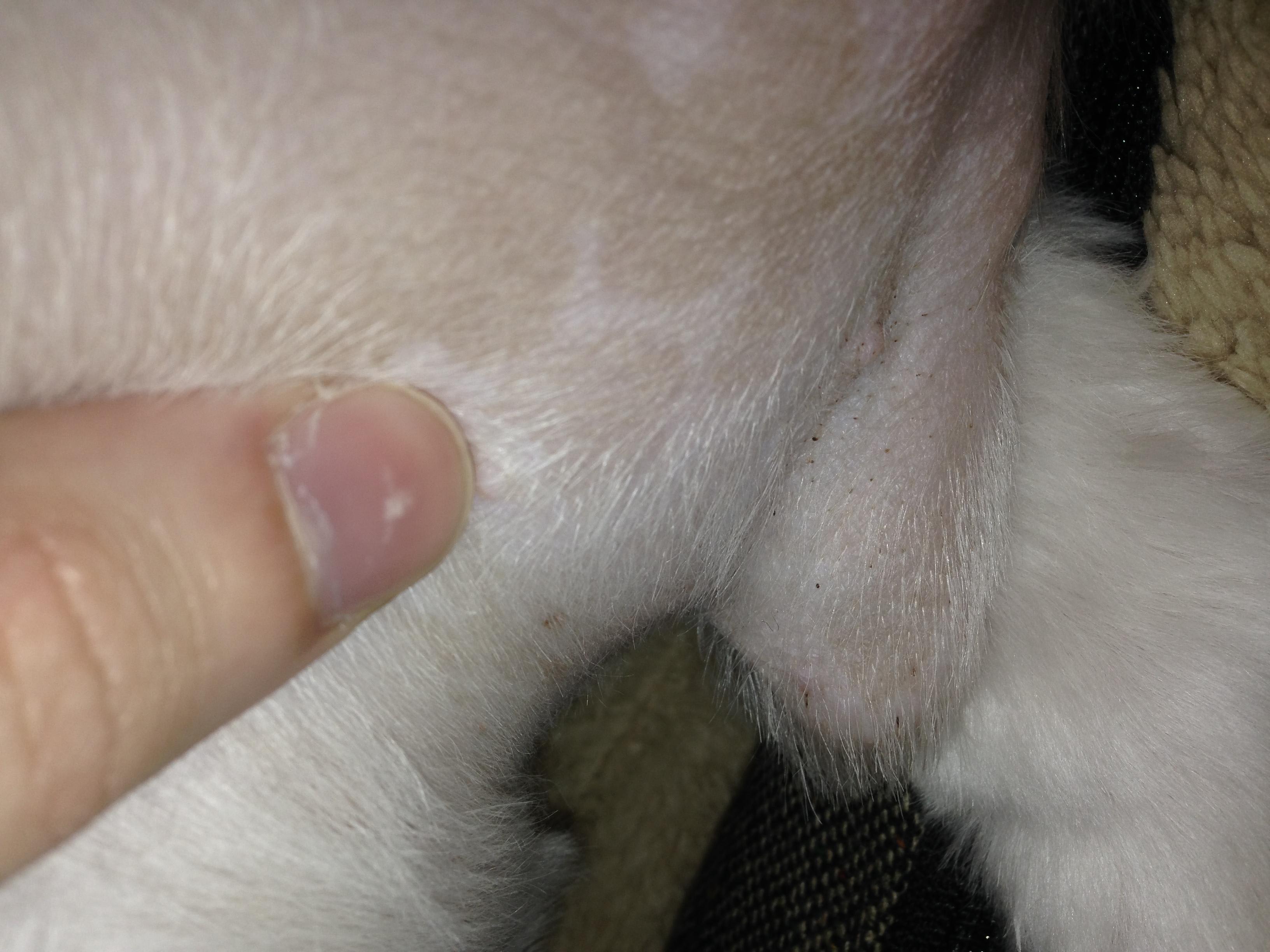
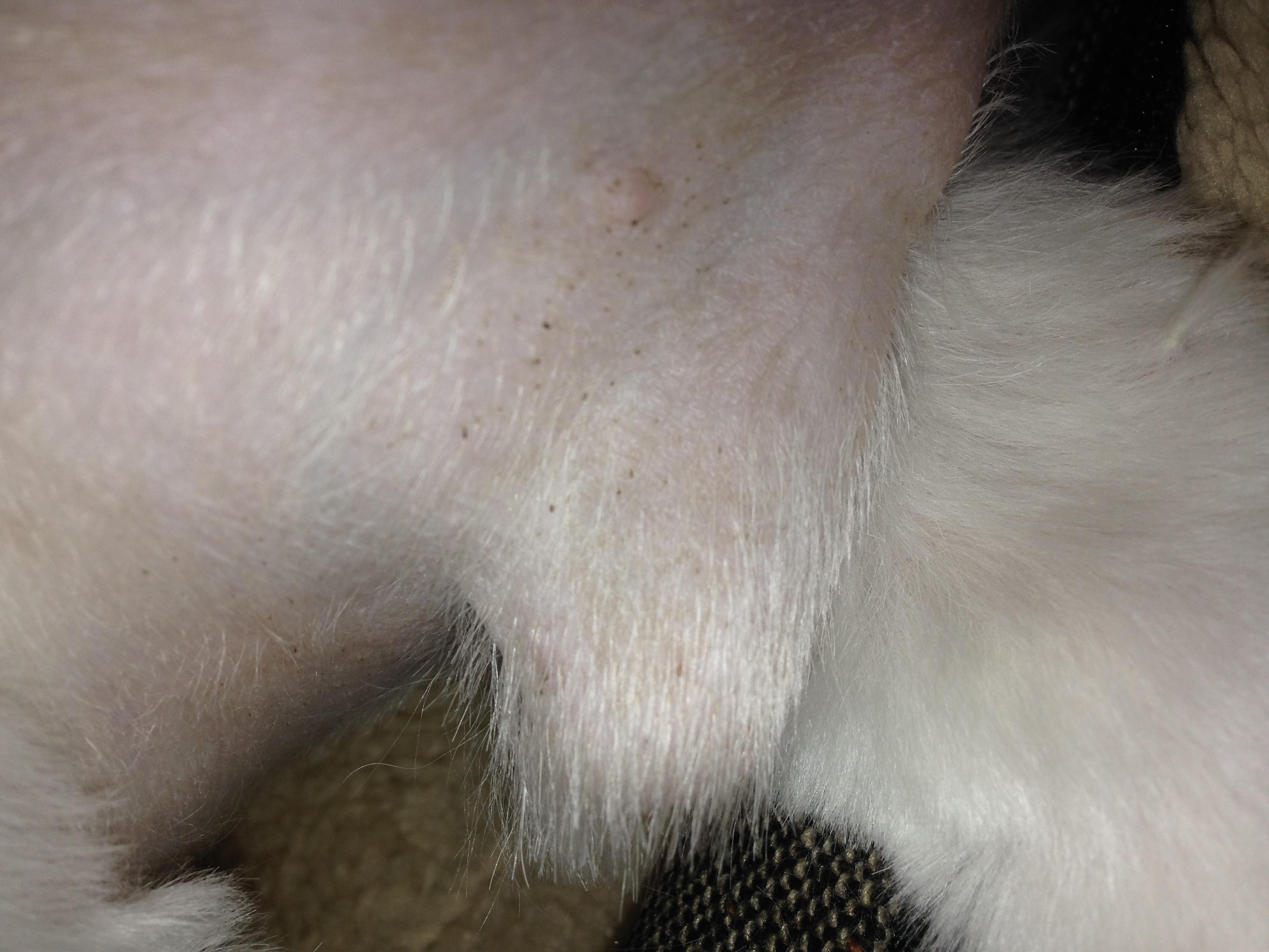
My dog has brown specks attached to the skin and fur under his body, mostly caked around the nipple area and the penis. It has gotten worse over time. The fur feels a bit tacky and looks a little beige in the area the specks are. They are not clogged pores since they are above the skin, and he has no history of fleas. He is never around dirt, and he has had baths. I am thinking maybe it is oil or yeast related? Please note, I am not referring to the areas of hyperpigmentation. Thank you

This question includes photos that may contain sensitive content. Click to view.

View more to consider that the photos may include sensitive content.

1 Answer

Most Helpful Answer

Image profile

Answered By Ricardo Fernandez, DVM

Veterinarian, Veterinary Oncology Resident

Published on May 30th, 2018

Thanks for using Petco Pet Education Center, formerly Petcoach! This looks like it could be the result of a skin infection. You can try to use a medicated shampoo containing chlorhexidine twice weekly for 2 weeks. You may find that online or at your local pet store. If there is no improvement or in the meantime this appears to be getting worse, have him evaluated by a veterinarian for further assessment and treatment. Good luck and have a good night!

Vote icon

1Pet Parents found this answer helpful

image
Have A Vet Question?

Book an appointment with the pros – our expert vets are here to help.

Sponsored