Petco Text Logo
Petco Pet Logo

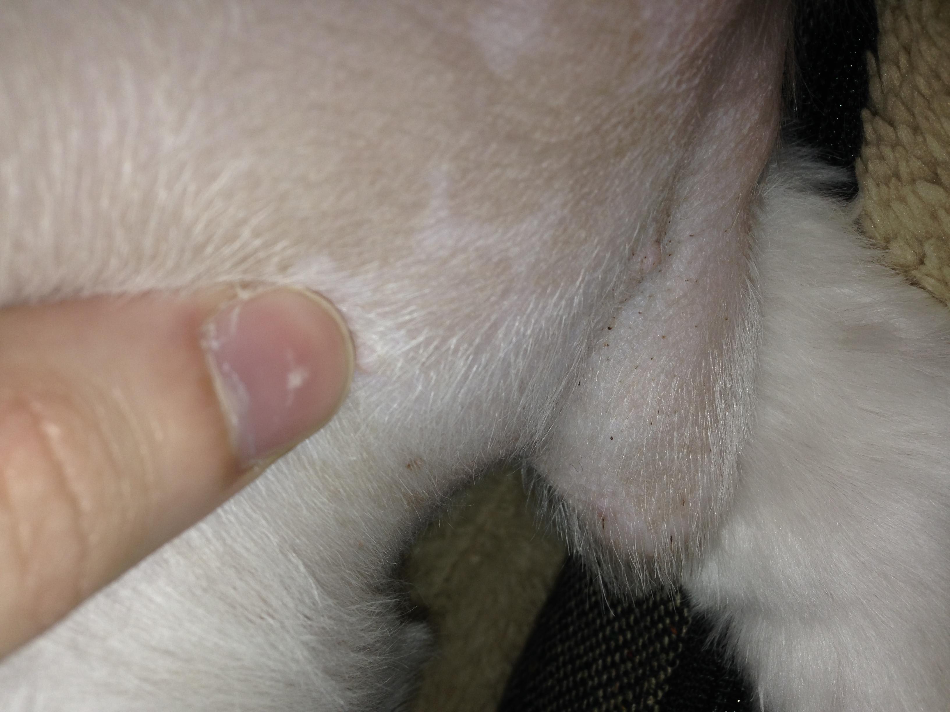
Why does my dog have brown, tacky specks on his underbelly, is it oil?

Updated On September 23rd, 2025

Pet's info: Dog | Shih Tzu | Male | neutered | 1 year and 10 months old | 17 lbs

Since I adopted my dog in January he has had brown specks attached to the skin and fur under his body, mostly caked around the nipple area and the penis. It has slowly gotten worse over time. The fur feels a bit tacky and appears a little beige in the area the specks are. These specks are definitely not clogged pores since they are above the skin, and he has no history of fleas. He is never around dirt, and he has had a bath three times. I am thinking maybe it is oil or yeast related? Thank you

This question includes photos that may contain sensitive content. Click to view.

View more to consider that the photos may include sensitive content.

1 Answer

Most Helpful Answer

Image profile

Answered By Christie Long, DVM

Veterinarian, Certified Veterinary Acupuncturist

Published on May 27th, 2018

I don't see much here, and the little black/brown specs I do see just appear to be normal sebaceous material from the oil glands in the hair follicles. You could certainly monitor for more generalized changes, as this may be a sign of a skin condition called sebaceous adenitis. However, at this moment it doesn't look too concerning.

Vote icon

1Pet Parents found this answer helpful

image
Have A Vet Question?

Book an appointment with the pros – our expert vets are here to help.

Sponsored