Petco Text Logo
Petco Pet Logo

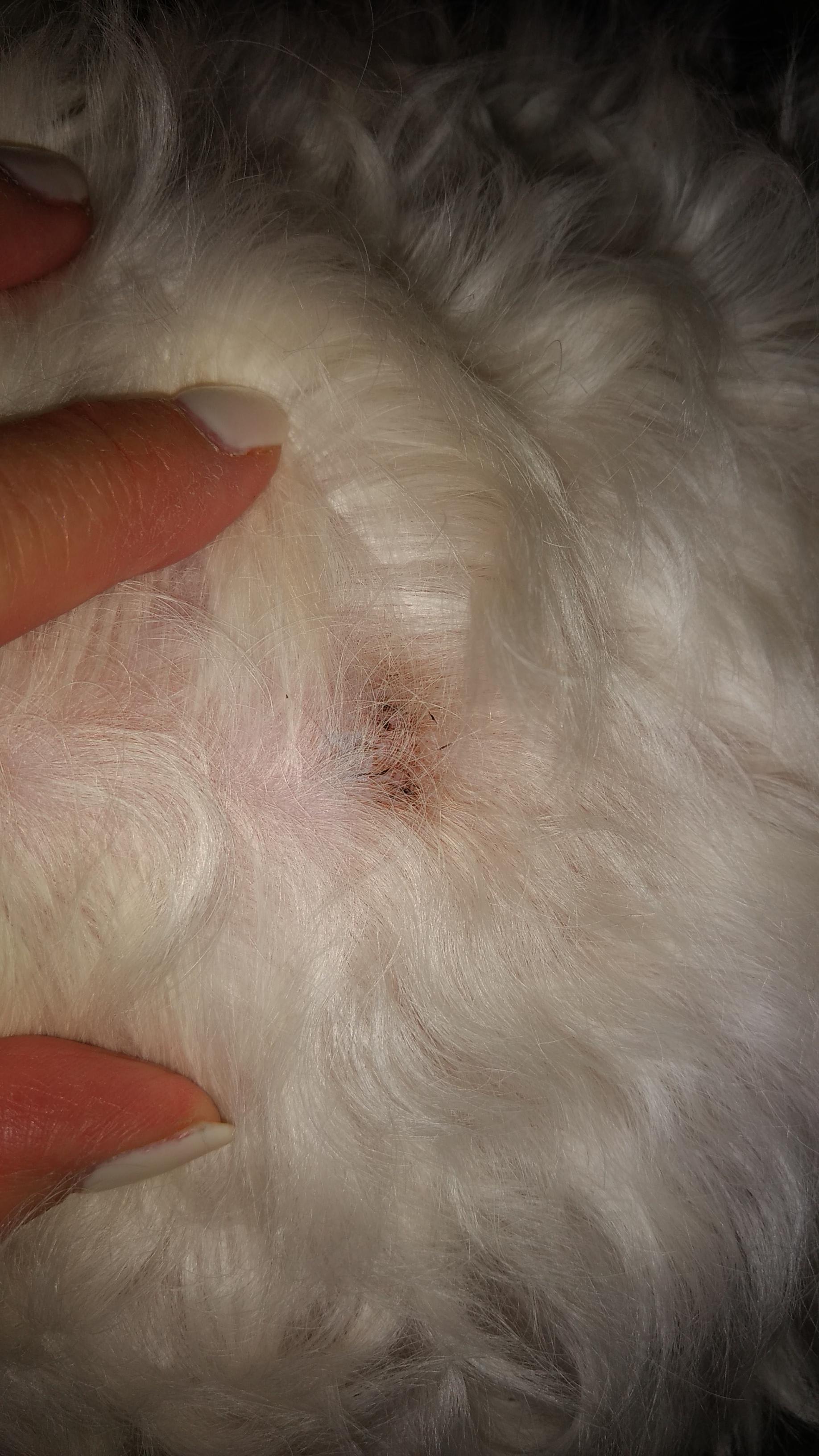
My senior dog has a reddish spotted lump on her back. Is it serious?

Updated On September 23rd, 2025

Pet's info: Dog | Mixed Breed Medium (23 - 60lb) | Female | spayed | 6 years and 4 months old | 25 lbs

My 7 yr old mixed poodle, Maltese mix has lost her eyesight and now has a reddish spotted lump on hwr back. Should I be concerned?

This question includes photos that may contain sensitive content. Click to view.

View more to consider that the photos may include sensitive content.

1 Answer

Most Helpful Answer

Image profile

Answered By Ricardo Fernandez, DVM

Veterinarian, Veterinary Oncology Resident

Published on March 5th, 2018

Thanks for using Petco Pet Education Center, formerly Petcoach! This could be a benign or malignant growth. This is often differentiated by a test called a fine needle aspirate (FNA) which is a pain free, inexpensive and easy procedure which in most cases will help reach a diagnosis. Sometimes a biopsy is needed for a definitive diagnosis. I recommend that you have her evaluated by your veterinarian for further assessment and treatment. I am really hoping for something benign. Good luck and have a good night!

Vote icon

1Pet Parents found this answer helpful

image
Have A Vet Question?

Book an appointment with the pros – our expert vets are here to help.

Sponsored