Petco Text Logo
Petco Pet Logo

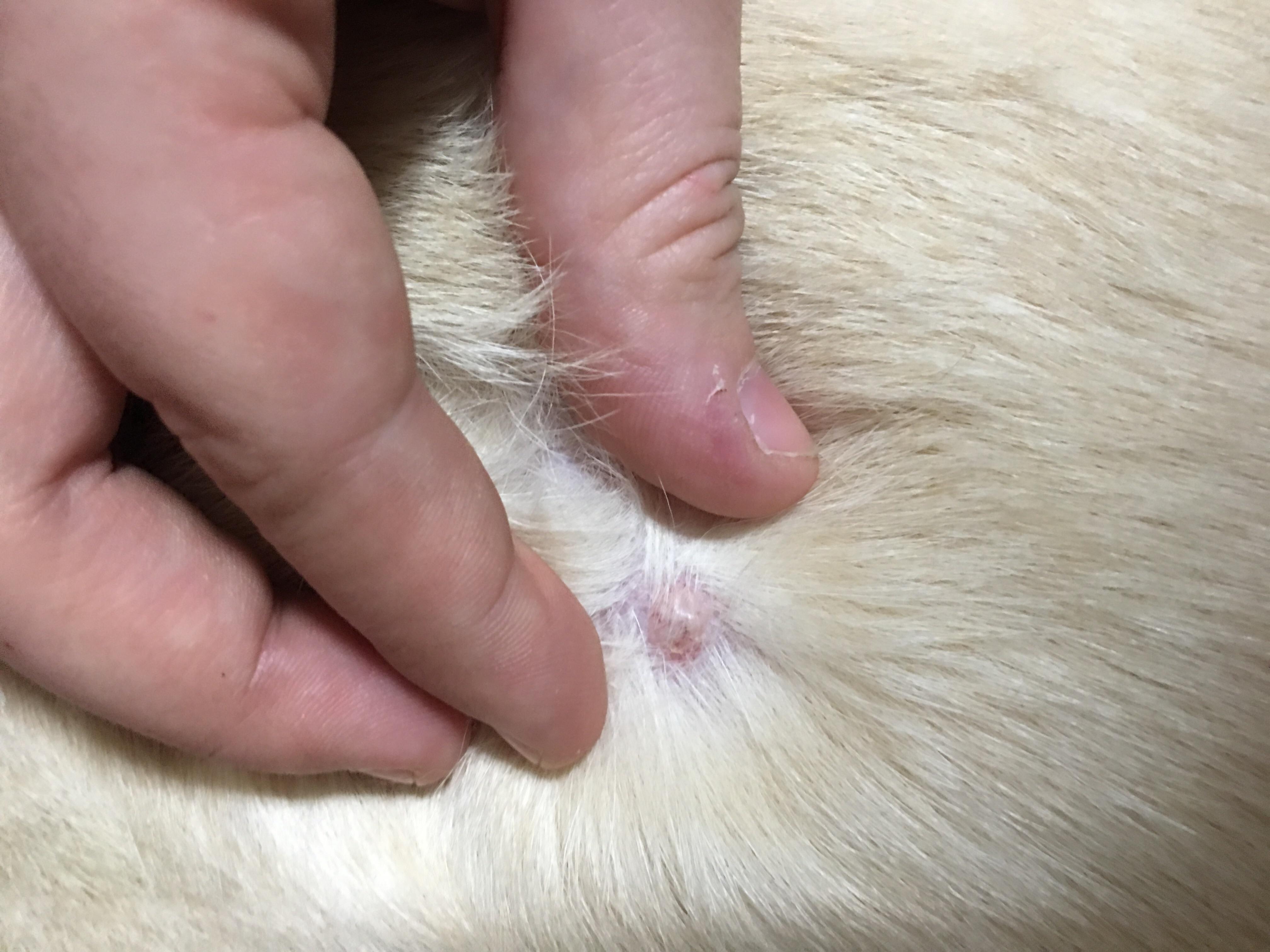
My dog has pink, round bumps on his skin. Could it be cancer?

Updated On September 23rd, 2025

Pet's info: Dog | Labrador Retriever | Male | neutered | 11 years and 3 months old | 105 lbs

My dog has roundish pink bumps on his skin and I’m worried it may be cancer. What could it be?

This question includes photos that may contain sensitive content. Click to view.

View more to consider that the photos may include sensitive content.

1 Answer

Most Helpful Answer

Image profile

Answered By Jenny, DVM

Veterinarian

Published on February 28th, 2018

Those appear to be sebaceous adenomas. These are common, wary like growths, that occur as dogs age. They are typically not cancerous but can cause a problem if they get scratched or cut. If there are several it may be best to consult with your vet about removal

Vote icon

12Pet Parents found this answer helpful

image
Have A Vet Question?

Book an appointment with the pros – our expert vets are here to help.

Sponsored