Petco Text Logo
Petco Pet Logo

My dog has a strange growth on her neck. Should I wait or see a vet?

Updated On September 23rd, 2025

Pet's info: Dog | Mixed Breed Medium (23 - 60lb) | Female | spayed | 2 years old | 32 lbs

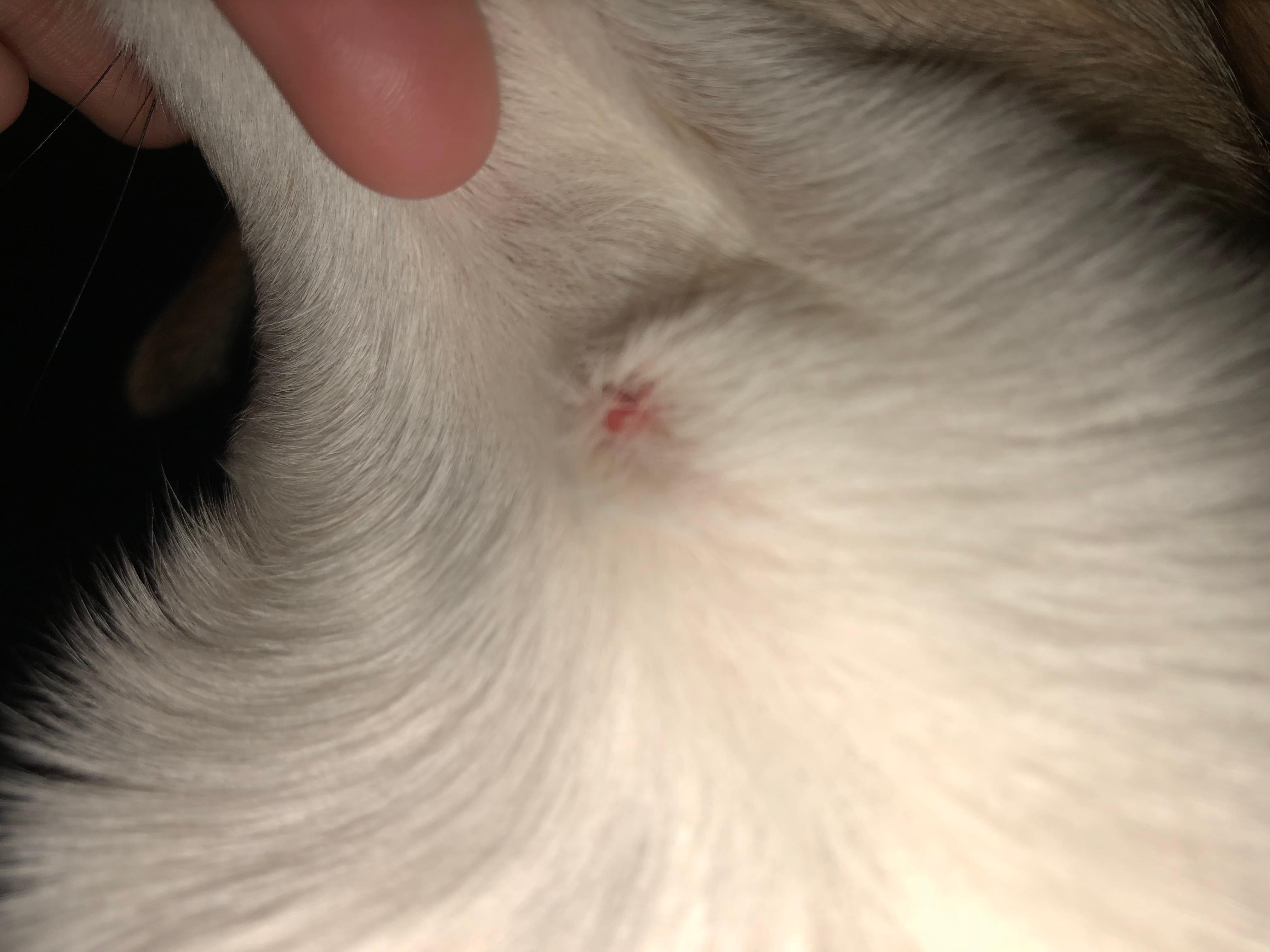
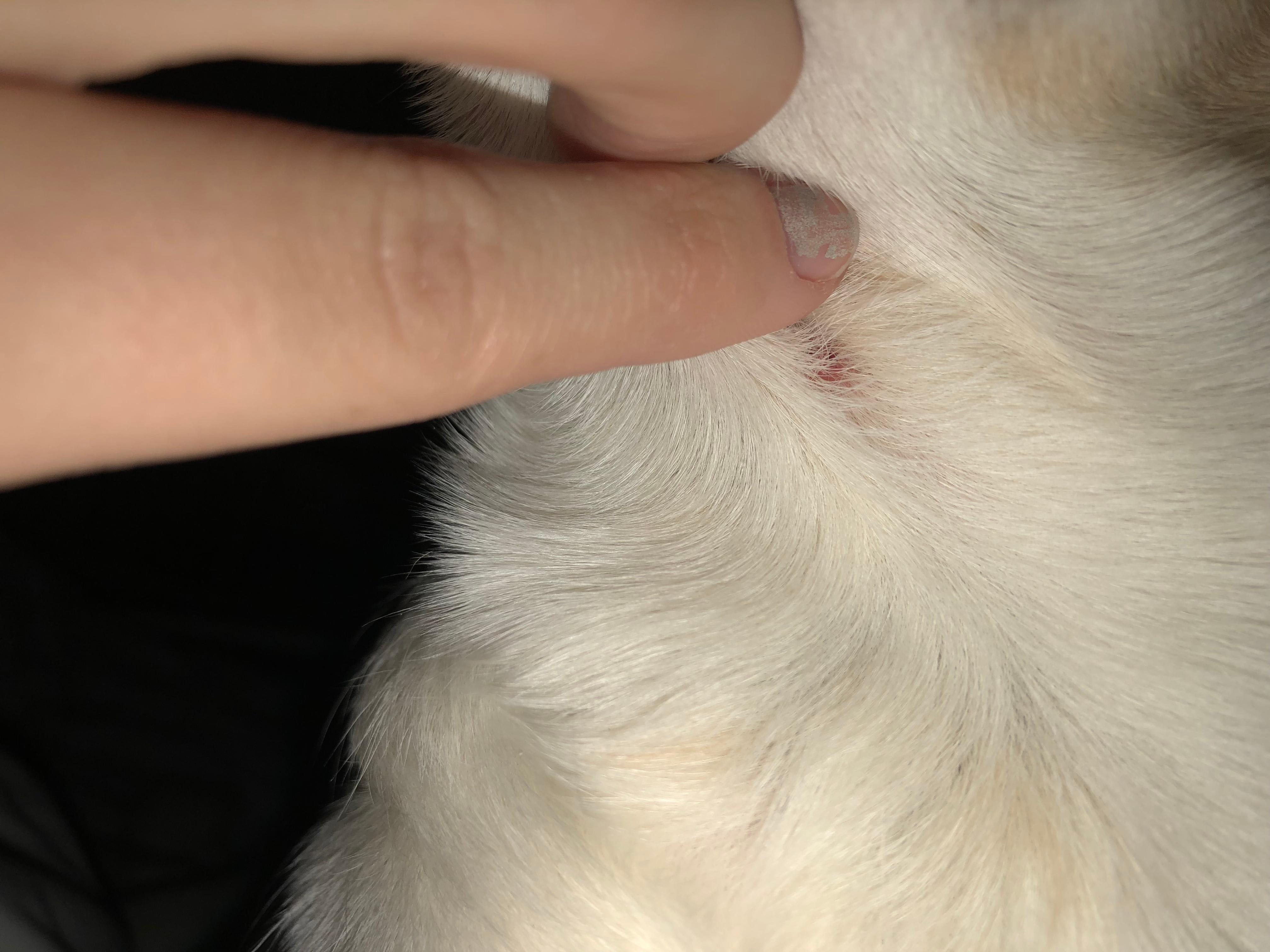
My dog has what looks like a blister on her neck, should I let it alone and see if it goes away on its own before going to her vet? (Sorry pics aren’t the greatest)

This question includes photos that may contain sensitive content. Click to view.

View more to consider that the photos may include sensitive content.

1 Answer

Most Helpful Answer

Image profile

Answered By Dr. Strydom, DVM

Veterinarian

Published on February 6th, 2018

It looks like either a wart (papilloma) or a histiocytoma tumor. Neither of these are serious. I personally would wait and see if it goes away on it's own. A histiocytoma usually will but a papilloma will not. So, if it does not go away within 4-6 weeks then I would have it checked by your vet. If you are worried though, you should go ahead and have her checked now. It is always better to be safe than sorry. Hope this helps. Best wishes!

Vote icon

1Pet Parents found this answer helpful

image
Have A Vet Question?

Book an appointment with the pros – our expert vets are here to help.

Sponsored