Petco Text Logo
Petco Pet Logo

Is my Golden Retriever's hip dysplasia genetic? Can I breed?

Updated On September 23rd, 2025

Pet's info: Dog | Golden Retriever | Male | unneutered | 2 years and 8 months old

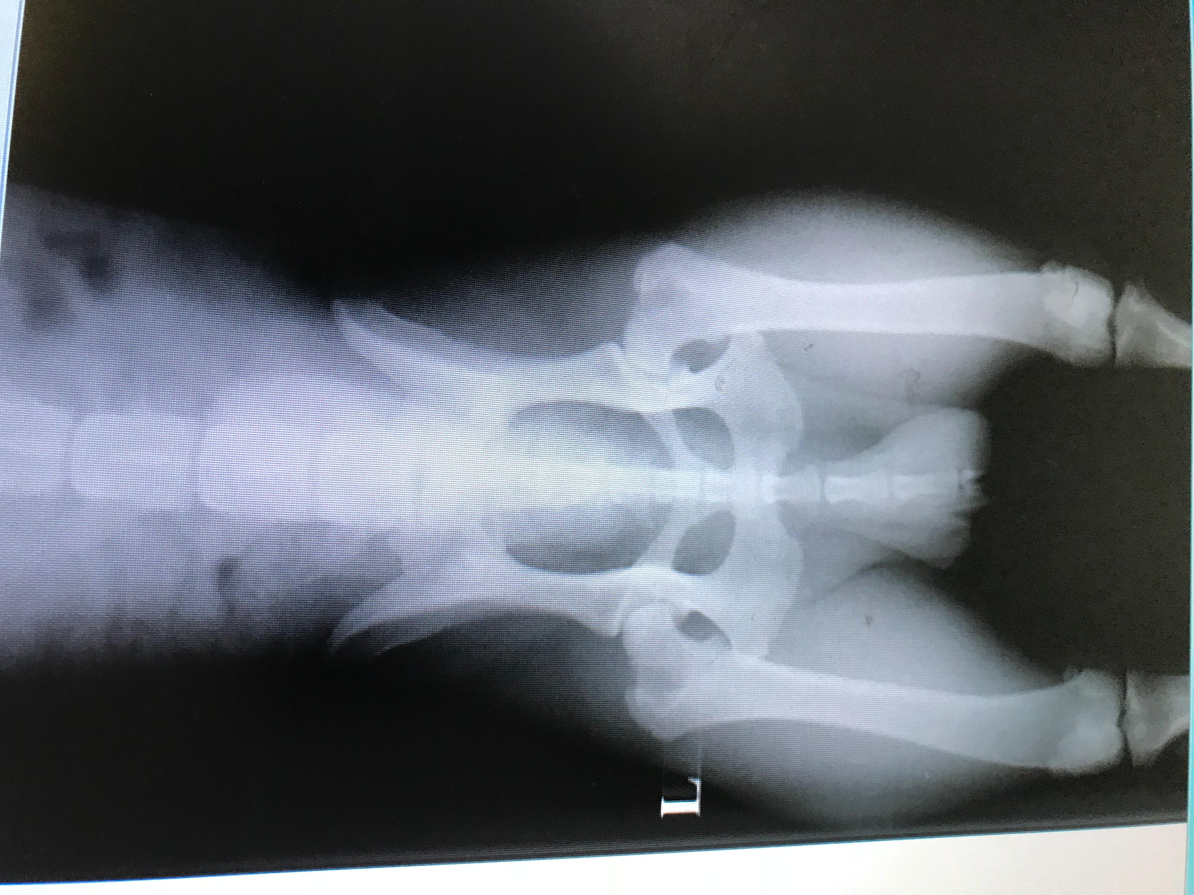
Hi My golden retriever have dysplasia and i wonder how can i get it's genetically or traumatic ?he is 3 years and wanna this info for breeding

This question includes photos that may contain sensitive content. Click to view.

View more to consider that the photos may include sensitive content.

1 Answer

Most Helpful Answer

Image profile

Answered By Dr. Melanie, BVSc MS

Veterinarian

Published on November 25th, 2017

Unfortunately hip dysplasia is genetic, and it is something that is common in Golden Retrievers. It is never recommended to breed a dog with hip dysplasia due to the genetic component of the disease. In it's most severe form, it can cause crippling lameness and severe arthritis. If you want to breed Toby, you need to get him hip scored by a vet, and only dogs with very low scores should be bred. I hope this helps!

Vote icon

1Pet Parents found this answer helpful

image
Have A Vet Question?

Book an appointment with the pros – our expert vets are here to help.

Sponsored