Petco Text Logo
Petco Pet Logo

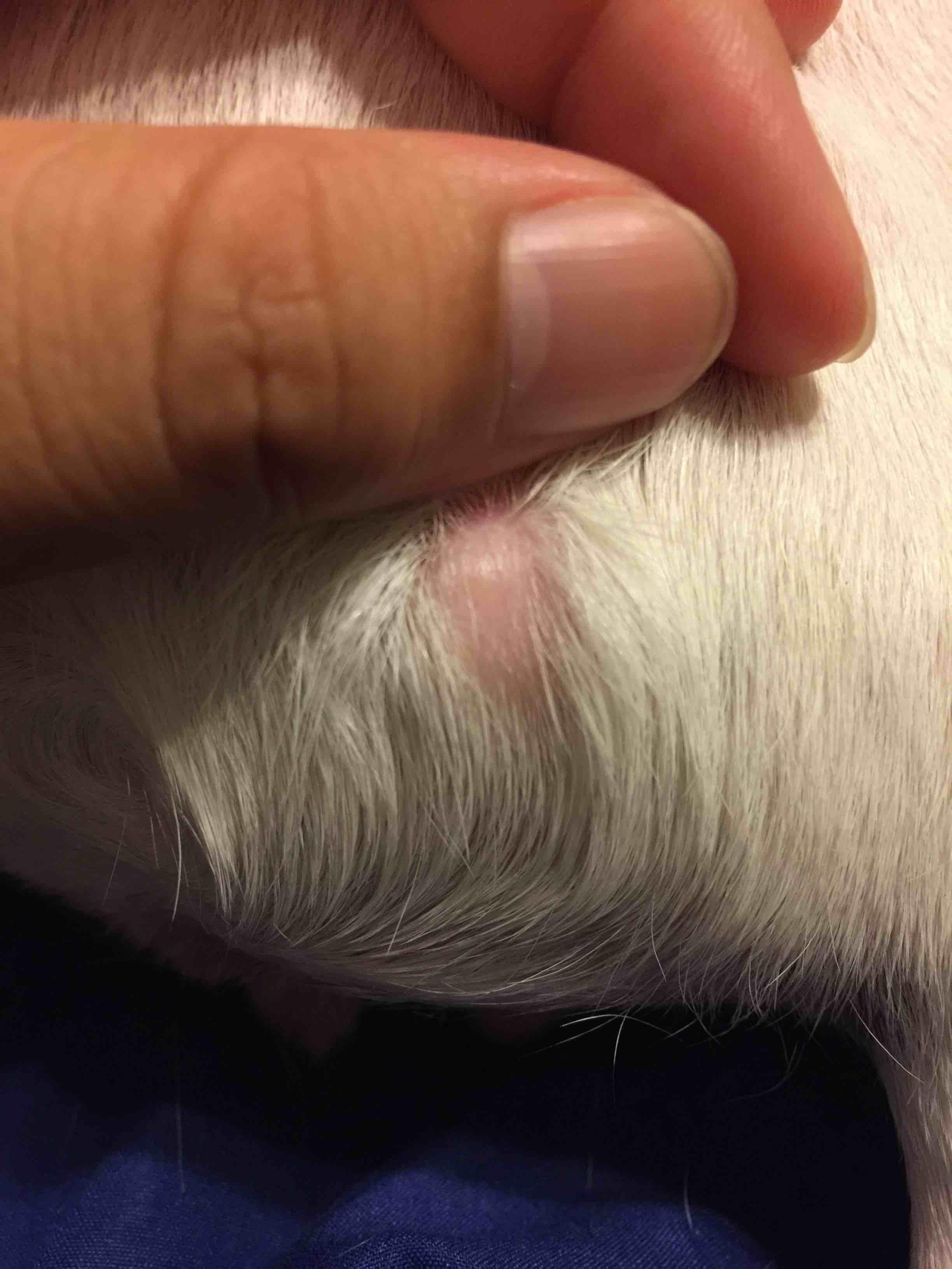
My dog has an itchy, growing bump on her butt. Is it a bite or pimple?

Updated On September 23rd, 2025

Pet's info: Dog | Chihuahua | Female | spayed | 4 years old | 8 lbs

Dove has a huge bite on her butt that seems to get bigger because she is itching. I found one flea but couldnt find anymore. She is on flea meds and heartworm. Im just worried about the bite on her butt because it looks like a bad pimple

This question includes photos that may contain sensitive content. Click to view.

View more to consider that the photos may include sensitive content.

1 Answer

Most Helpful Answer

Image profile

Answered By Lauren Kennedy, DVM

Veterinarian

Published on November 24th, 2017

It is difficult to tell from the picture but this looks like it may be a spot of local skin infection. This infection, along with the fleas, is likely what is making her so itchy. I would recommend getting Dove on a good oral flea prevention. You may want to also try giving her some benedryl to help stop the itch. If Dove is continuing to bite despite all of this the you will need to take her to the vet to be checked out. I hope this helps. Thanks for using Petco Pet Education Center, formerly Petcoach. Best of luck.

Vote icon

1Pet Parents found this answer helpful

image
Have A Vet Question?

Book an appointment with the pros – our expert vets are here to help.

Sponsored