Petco Text Logo
Petco Pet Logo

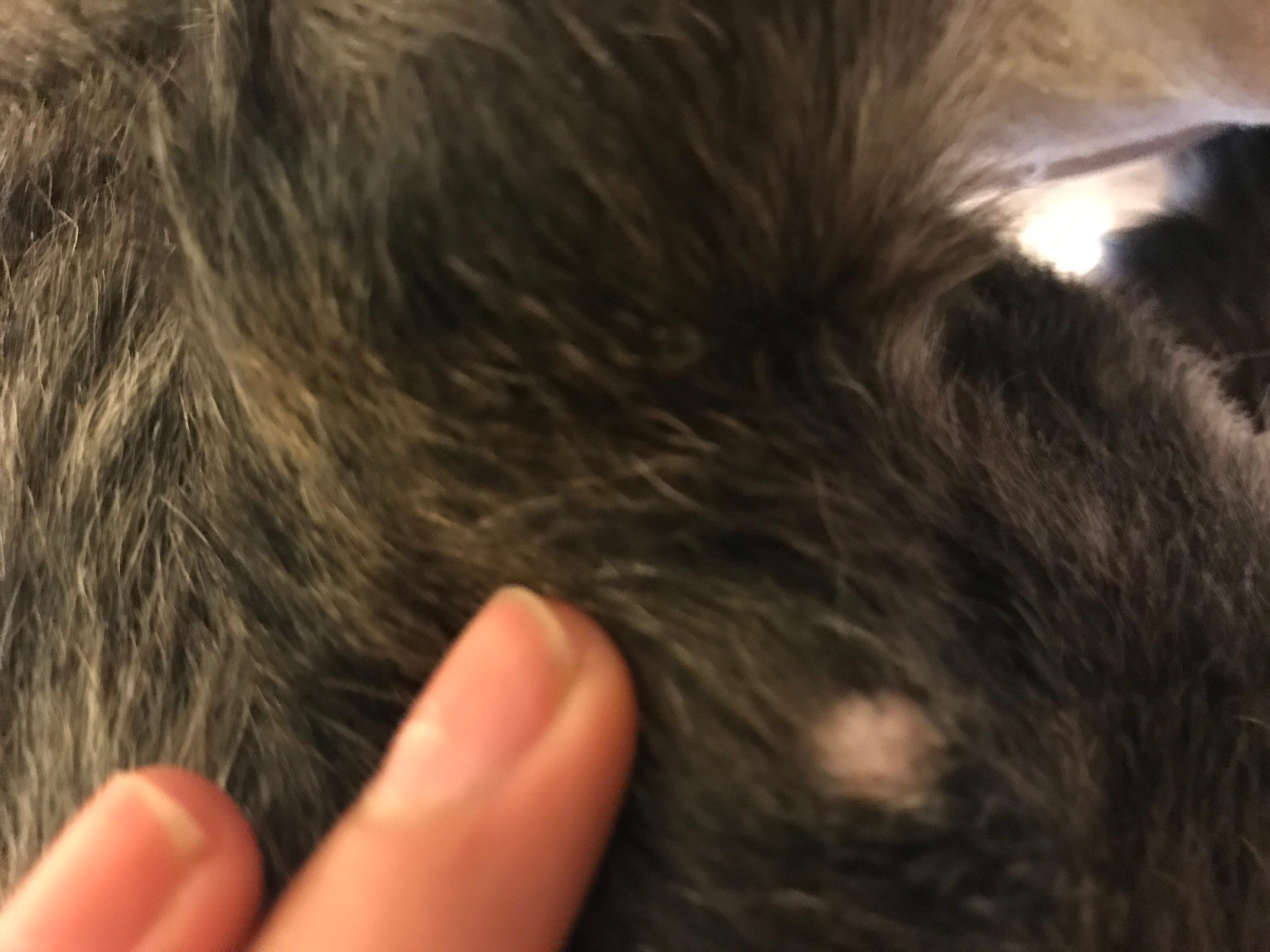
Why does my dog have a white bump on his leg and a large stomach bump?

Updated On September 23rd, 2025

Pet's info: Dog | Cairn Terrier | Male | 20 lbs

My dog has a white bump on his leg and a large bump on his stomach. Do you know what this means?

This question includes photos that may contain sensitive content. Click to view.

View more to consider that the photos may include sensitive content.

1 Answer

Most Helpful Answer

Image profile

Answered By Mara Howard, DVM

Veterinarian

Published on November 22nd, 2017

Thanks for using Petco Pet Education Center, formerly Petcoach! The pictures are a little blurry and it is hard to see exactly what may be going on with Marley's skin. A white bump on the skin can be a variety of things, including a cyst, blocked skin pore, wart, or another underlying issue. The bump on his stomach I can't distinguish in the picture. I do, however, recommend all abnormal growths be evaluated by a veterinarian to determine if they are benign (non-cancerous) or not. Typically a needle sample can determine this, and if any further treatment may be needed. Good luck!

Vote icon

6Pet Parents found this answer helpful

image
Have A Vet Question?

Book an appointment with the pros – our expert vets are here to help.

Sponsored