Petco Text Logo
Petco Pet Logo

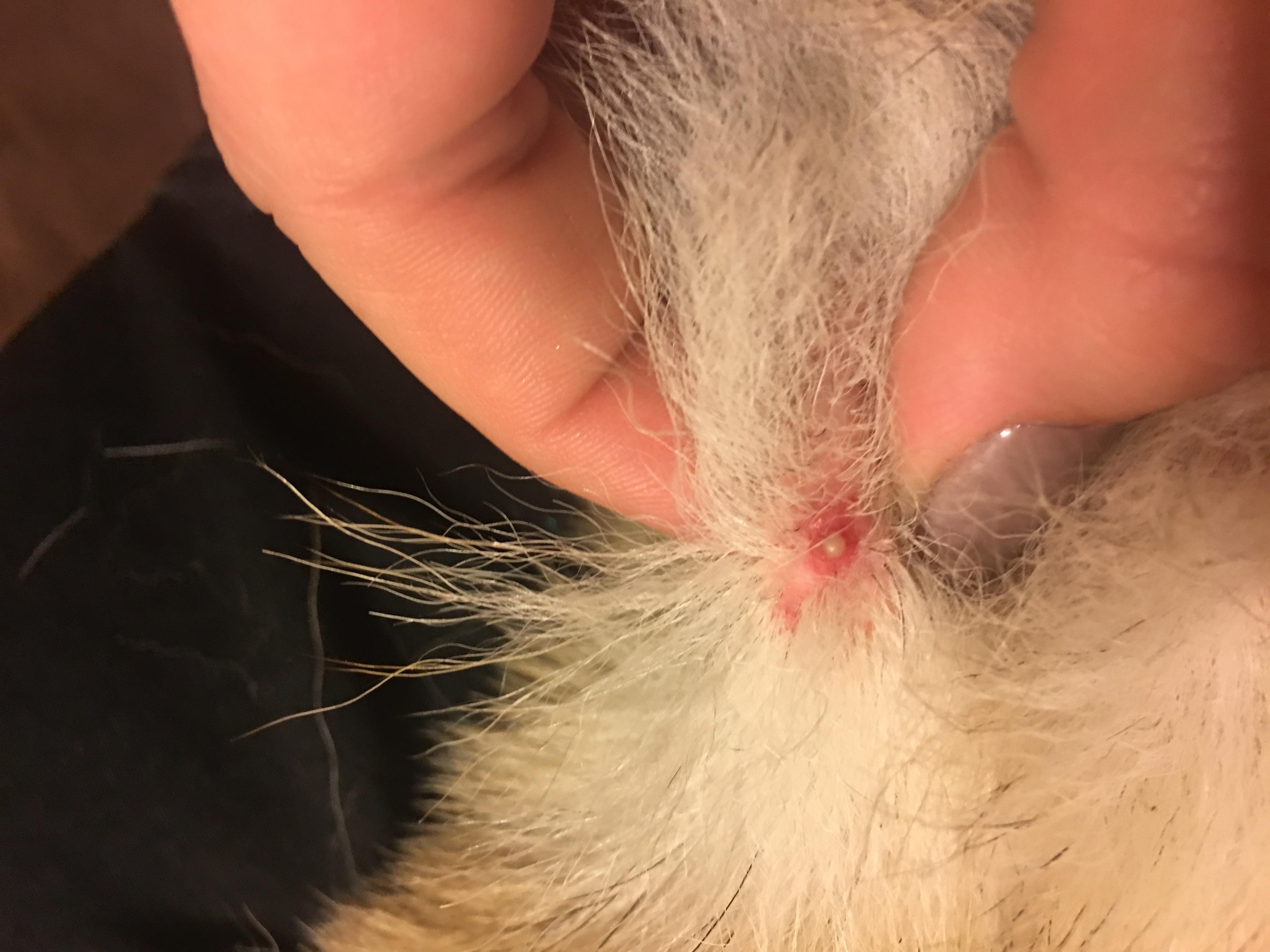
Could my German Shepherd's neck scabs be a skin infection?

Updated On September 23rd, 2025

Pet's info: Dog | German Shepherd | Male | unneutered | 1 year and 10 months old | 80 lbs

What could this be? This is my 2 year old German Shepard. He’s got kinda a scabby looking spots to a few places on his neck.

This question includes photos that may contain sensitive content. Click to view.

View more to consider that the photos may include sensitive content.

1 Answer

Most Helpful Answer

Image profile

Answered By Amber Da Silva, DVM

Veterinarian

Published on October 26th, 2017

This looks like an infection in the skin. Due to the amount of discharge and in multiple locations it will most likely need oral medication to get rid of it. It isn't an emergency, but I would recommend taking Kojack to a veterinarian. They will take a sample of it and look under a microscope to determine what kind of infection it is in order to choose the best treatment. Until you can get to the vet, you can clean it with a gentle antiseptic such as Hibiclens or dilute betadine solution (diluted to the color of weak tea) and apply a thin film of triple antibiotic ointment. Do this twice a day. I hope this helps and that Kojack gets feeling better soon!

Vote icon

1Pet Parents found this answer helpful

image
Have A Vet Question?

Book an appointment with the pros – our expert vets are here to help.

Sponsored