Petco Text Logo
Petco Pet Logo

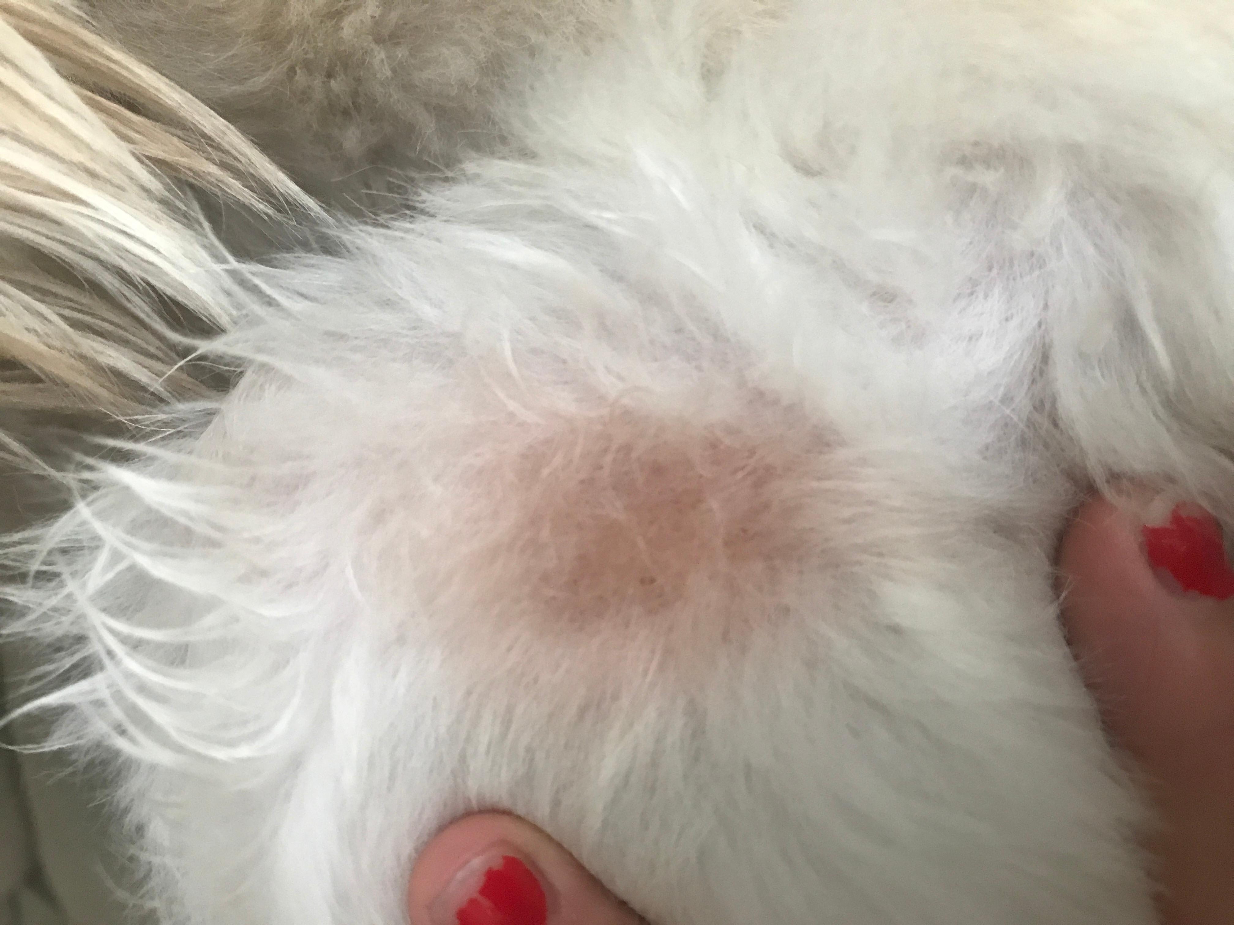
Why is my maltipoo licking a rough, red spot on her upper thigh?

Updated On September 23rd, 2025

Pet's info: Dog | Mixed Breed | Female | spayed | 3 years and 8 months old | 15 lbs

My maltipoo just developed this reddish spot within the past week. She's eating, playful, etc and doesn't seem too bothered by it until I look at it and at that point she licks it. It seems a bit rough but no visable bites, large scabs, etc. Should we take her in? this is on her rear upper thigh.

This question includes photos that may contain sensitive content. Click to view.

View more to consider that the photos may include sensitive content.

1 Answer

Most Helpful Answer

Image profile

Answered By Jenny, DVM

Veterinarian

Published on October 14th, 2017

The color change is saliva staining from her licking it constantly. It may have been started as a small bite that has since healed but it bothers her. You can try a bath to clean then area then apply cortisone cream. You can also get an e collar to discourage licking. if it is not better by Monday then I would have her checked by your vet

Vote icon

2Pet Parents found this answer helpful

image
Have A Vet Question?

Book an appointment with the pros – our expert vets are here to help.

Sponsored