Petco Text Logo
Petco Pet Logo

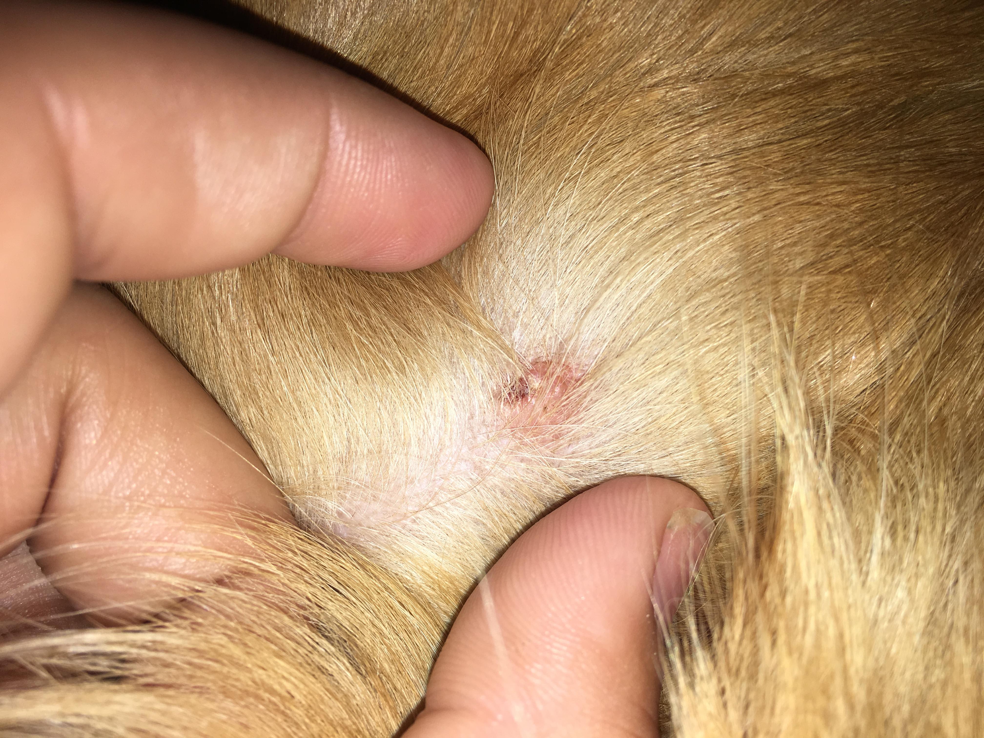
My Golden Retriever has ear gunk & a scab. Is it an ear infection?

Updated On September 23rd, 2025

Pet's info: Dog | Golden Retriever | Male | neutered | 2 years old | 60 lbs

Wondering what this zit like infected area is and also the q tips are what came out of his ear, curious if he has an ear infection. He’s a golden retriever. 2 years old.

This question includes photos that may contain sensitive content. Click to view.

View more to consider that the photos may include sensitive content.

1 Answer

Most Helpful Answer

Image profile

Answered By Jenny, DVM

Veterinarian

Published on October 7th, 2017

With that amount of dirt and wax from his ears, it is possible it is ear mites, a bacterial or yeast infection, or just dirt. If there is an odor, any redness or he is shaking or scratching his head, then I would get his ears checked to make sure. The scab may be a pustules from a bite. If it is the only one, then you can apply some cortisone cream and alternate it with Neosporin. If it does not improve over the next 2 days, then it will need to be checked by your regular vet.

Vote icon

1Pet Parents found this answer helpful

image
Have A Vet Question?

Book an appointment with the pros – our expert vets are here to help.

Sponsored