Petco Text Logo
Petco Pet Logo

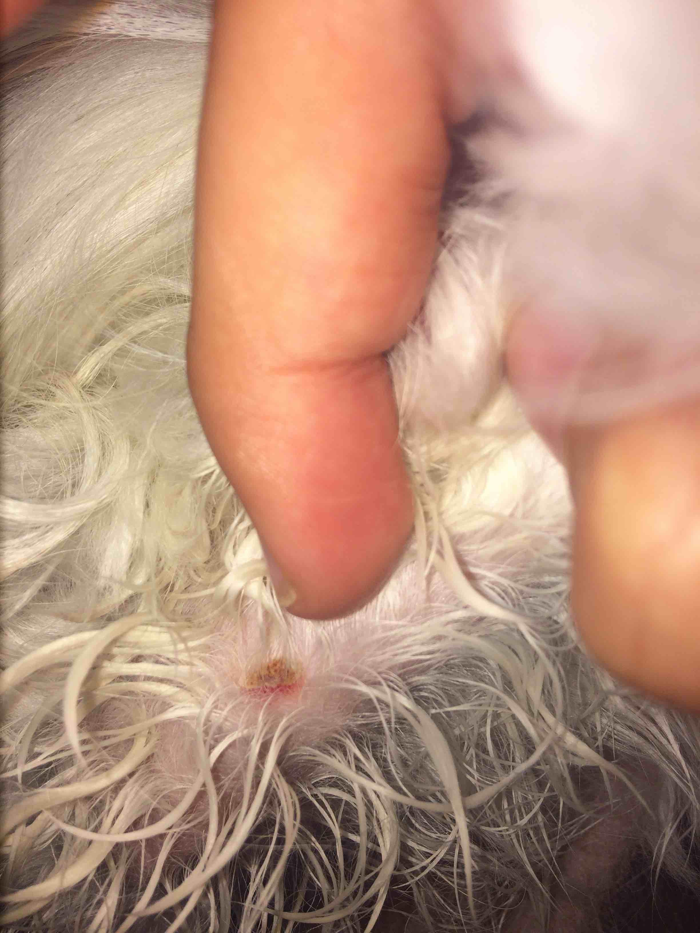
My dog has a scab on his leg and won't stop licking it. What to do?

Updated On September 23rd, 2025

Pet's info: Dog | Poodle | Male | unneutered | 7 months and 14 days old | 6 lbs

My dog is 8 months and he has a scab looking thing on his leg. He keeps licking it and getting frustrated like it's bugging him.

This question includes photos that may contain sensitive content. Click to view.

View more to consider that the photos may include sensitive content.

1 Answer

Most Helpful Answer

Image profile

Answered By Dr. Melanie, BVSc MS

Veterinarian

Published on October 1st, 2017

Thank you for providing pictures of the scab on Elliott! It looks like it could be a wound that's healing, and him licking it will disturb the healing process and could introduce infection into the area. I would put an Ecollar on him to keep him from licking it until it heals completely. You can get an Ecollar at a pet store or you can make one at home: http://dogsaholic.com/care/homemade-dog-cone.html

Vote icon

1Pet Parents found this answer helpful

image
Have A Vet Question?

Book an appointment with the pros – our expert vets are here to help.

Sponsored